Used Homes » Kansai » Hyogo Prefecture » Itami
 
| | Hyogo Prefecture Itami 兵庫県伊丹市 |
| JR Fukuchiyama Line "Kita-Itami" walk 12 minutes JR福知山線「北伊丹」歩12分 |
| ■ Siemens in the north-south road on both sides! ■南北両面道路に面す! |
| Facing south, Yang per good, Siemens south road, Corner lotese-style room, 2-story, Ventilation good Note: the third kind scenic zone 南向き、陽当り良好、南側道路面す、角地、和室、2階建、通風良好備考:第三種風致地区 |
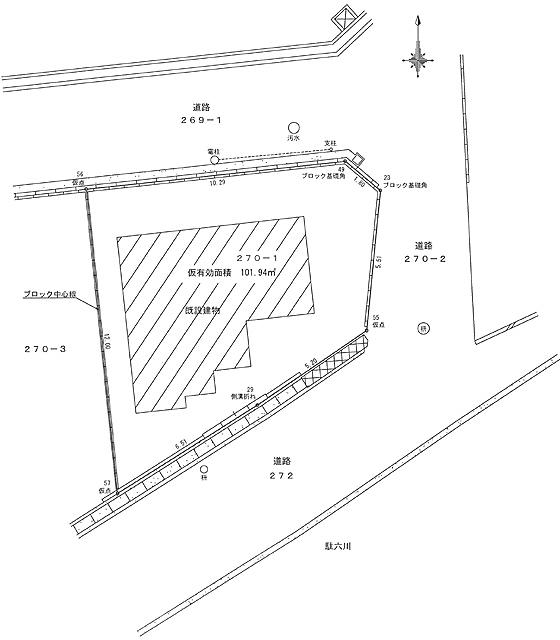
Features pickup 特徴ピックアップ | | Facing south / Yang per good / Siemens south road / Corner lot / Japanese-style room / 2-story / Ventilation good 南向き /陽当り良好 /南側道路面す /角地 /和室 /2階建 /通風良好 | Price 価格 | | 16.8 million yen 1680万円 | Floor plan 間取り | | 4DK 4DK | Units sold 販売戸数 | | 1 units 1戸 | Land area 土地面積 | | 101.94 sq m (measured) 101.94m2(実測) | Building area 建物面積 | | 71.5 sq m 71.5m2 | Driveway burden-road 私道負担・道路 | | Nothing, South 4.4m width, North 4.5m width 無、南4.4m幅、北4.5m幅 | Completion date 完成時期(築年月) | | July 1978 1978年7月 | Address 住所 | | Hyogo Prefecture Itami Midorigaoka 1 兵庫県伊丹市緑ケ丘1 | Traffic 交通 | | JR Fukuchiyama Line "Kita-Itami" walk 12 minutes JR福知山線「北伊丹」歩12分
| Related links 関連リンク | | [Related Sites of this company] 【この会社の関連サイト】 | Contact お問い合せ先 | | TEL: 0800-603-3003 [Toll free] mobile phone ・ Also available from PHS Caller ID is not notified Please contact the "saw SUUMO (Sumo)" If it does not lead, If the real estate company TEL:0800-603-3003【通話料無料】携帯電話・PHSからもご利用いただけます 発信者番号は通知されません 「SUUMO(スーモ)を見た」と問い合わせください つながらない方、不動産会社の方は
| Building coverage, floor area ratio 建ぺい率・容積率 | | 40% ・ 200% 40%・200% | Time residents 入居時期 | | Immediate available 即入居可 | Land of the right form 土地の権利形態 | | Ownership 所有権 | Structure and method of construction 構造・工法 | | Wooden 2-story 木造2階建 | Use district 用途地域 | | Quasi-residence 準住居 | Overview and notices その他概要・特記事項 | | Facilities: Public Water Supply, This sewage, Individual LPG, Parking: car space 設備:公営水道、本下水、個別LPG、駐車場:カースペース | Company profile 会社概要 | | <Mediation> Governor of Hyogo Prefecture (3) No. 203325 (with) Nichimei Yubinbango664-0881 Hyogo Prefecture Itami Koya 3-292-1 <仲介>兵庫県知事(3)第203325号(有)ニチメイ〒664-0881 兵庫県伊丹市昆陽3-292-1 |
Local appearance photo現地外観写真  Local (May 2013) Shooting
現地(2013年5月)撮影
 Local (May 2013) Shooting
現地(2013年5月)撮影
 Local (May 2013) Shooting
現地(2013年5月)撮影
Floor plan間取り図  16.8 million yen, 4DK, Land area 101.94 sq m , Building area 71.5 sq m
1680万円、4DK、土地面積101.94m2、建物面積71.5m2
Livingリビング  Indoor (May 205 years) shooting
室内(205年5月)撮影
Bathroom浴室  Room (May 2013) Shooting
室内(2013年5月)撮影
Kitchenキッチン  Room (May 2013) Shooting
室内(2013年5月)撮影
Non-living roomリビング以外の居室  Room (May 2013) Shooting
室内(2013年5月)撮影
Entrance玄関  Local (May 2013) Shooting
現地(2013年5月)撮影
Wash basin, toilet洗面台・洗面所  Room (May 2013) Shooting
室内(2013年5月)撮影
Local photos, including front road前面道路含む現地写真  Local (May 2013) Shooting
現地(2013年5月)撮影
Parking lot駐車場  Local (May 2013) Shooting
現地(2013年5月)撮影
Other introspectionその他内観  Room (May 2013) Shooting
室内(2013年5月)撮影
The entire compartment Figure全体区画図  Compartment figure
区画図
Non-living roomリビング以外の居室  Room (May 2013) Shooting
室内(2013年5月)撮影
Entrance玄関  Local (May 2013) Shooting
現地(2013年5月)撮影
Local photos, including front road前面道路含む現地写真  Local (May 2013) Shooting
現地(2013年5月)撮影
Other introspectionその他内観  Room (May 2013) Shooting
室内(2013年5月)撮影
Non-living roomリビング以外の居室  Room (May 2013) Shooting
室内(2013年5月)撮影
 Room (May 2013) Shooting
室内(2013年5月)撮影
 Room (May 2013) Shooting
室内(2013年5月)撮影
Location
|