|
|
Osaka Prefecture Kashiwara
大阪府柏原市
|
|
Kintetsu Osaka line "Hozenji" walk 14 minutes
近鉄大阪線「法善寺」歩14分
|
|
■ Down payment $ 0 OK ■ With dishwasher 2013 June refurbished With parking Land 30 square meters more than
■頭金0円OK■ 食洗器付 H25年6月改装済 駐車場付 土地30坪超
|
|
Check POINT immediately Available, 2 along the line more accessible, System kitchen, Yang per good, LDK15 tatami mats or moreese-style room, Face-to-face kitchen, 2-story, Warm water washing toilet seat, Dish washing dryer, All room 6 tatami mats or more, City gas
チェックPOINT即入居可、2沿線以上利用可、システムキッチン、陽当り良好、LDK15畳以上、和室、対面式キッチン、2階建、温水洗浄便座、食器洗乾燥機、全居室6畳以上、都市ガス
|
Features pickup 特徴ピックアップ | | Immediate Available / 2 along the line more accessible / System kitchen / Yang per good / LDK15 tatami mats or more / Japanese-style room / Face-to-face kitchen / 2-story / Warm water washing toilet seat / Dish washing dryer / All room 6 tatami mats or more / City gas 即入居可 /2沿線以上利用可 /システムキッチン /陽当り良好 /LDK15畳以上 /和室 /対面式キッチン /2階建 /温水洗浄便座 /食器洗乾燥機 /全居室6畳以上 /都市ガス |
Price 価格 | | 23.8 million yen 2380万円 |
Floor plan 間取り | | 3LDK 3LDK |
Units sold 販売戸数 | | 1 units 1戸 |
Land area 土地面積 | | 112.39 sq m (registration) 112.39m2(登記) |
Building area 建物面積 | | 88.9 sq m 88.9m2 |
Driveway burden-road 私道負担・道路 | | Nothing, East 5.8m width 無、東5.8m幅 |
Completion date 完成時期(築年月) | | March 1983 1983年3月 |
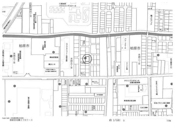
Address 住所 | | Osaka Prefecture Kashiwara Hongo 5 大阪府柏原市本郷5 |
Traffic 交通 | | Kintetsu Osaka line "Hozenji" walk 14 minutes JR Kansai Main Line "Shiki" walk 15 minutes 近鉄大阪線「法善寺」歩14分 JR関西本線「志紀」歩15分
|
Related links 関連リンク | | [Related Sites of this company] 【この会社の関連サイト】 |
Person in charge 担当者より | | Rep Ueno Masaharu Age: 40 Daigyokai experience: engaged in 15 years of industry, Hayate 15 years. I have met with many of your smile. We will work so that it can also contribute to the happiness of many families, even a pair from now. Hope of everyone ・ Request ・ Please tell us the dream. 担当者上野 雅治年齢:40代業界経験:15年業界に従事して、はや15年。多くのお客様の笑顔と出会ってまいりました。これからも一組でも多くのご家族の幸せに貢献できるよう努めてまいります。皆様のご希望・ご要望・夢をお聞かせ下さい。 |
Contact お問い合せ先 | | TEL: 0800-600-8219 [Toll free] mobile phone ・ Also available from PHS Caller ID is not notified Please contact the "saw SUUMO (Sumo)" If it does not lead, If the real estate company TEL:0800-600-8219【通話料無料】携帯電話・PHSからもご利用いただけます 発信者番号は通知されません 「SUUMO(スーモ)を見た」と問い合わせください つながらない方、不動産会社の方は
|
Building coverage, floor area ratio 建ぺい率・容積率 | | 60% ・ 200% 60%・200% |
Time residents 入居時期 | | Immediate available 即入居可 |
Land of the right form 土地の権利形態 | | Ownership 所有権 |
Structure and method of construction 構造・工法 | | Wooden 2-story 木造2階建 |
Use district 用途地域 | | Semi-industrial 準工業 |
Overview and notices その他概要・特記事項 | | Contact: Ueno Masaharu, Facilities: Public Water Supply, This sewage, City gas 担当者:上野 雅治、設備:公営水道、本下水、都市ガス |
Company profile 会社概要 | | <Mediation> governor of Osaka (2) the first 053,564 No. Century 21 Corporation Frontier Real Estate Sales Minami Osaka store Yubinbango591-8032 Sakai-shi, Osaka, Kita-ku, Mozuume cho 1-15-2 <仲介>大阪府知事(2)第053564号センチュリー21(株)フロンティア不動産販売南大阪店〒591-8032 大阪府堺市北区百舌鳥梅町1-15-2 |