8,610,000 yen, 142.28 sq m
New Homes » Chugoku » Hiroshima » Aki-gun
 
| | Aki-gun, Hiroshima Kumano-cho 広島県安芸郡熊野町 |
| Hiroden bus "Kumanogawa angle" walk 8 minutes 広電バス「熊野川角」歩8分 |
Features pickup 特徴ピックアップ | | Yang per good / Corner lot / Building plan example there 陽当り良好 /角地 /建物プラン例有り | Price 価格 | | 8,610,000 yen 861万円 | Building coverage, floor area ratio 建ぺい率・容積率 | | Fifty percent ・ Hundred percent 50%・100% | Sales compartment 販売区画数 | | 1 compartment 1区画 | Land area 土地面積 | | 142.28 sq m (43.03 tsubo) (Registration) 142.28m2(43.03坪)(登記) | Driveway burden-road 私道負担・道路 | | Nothing, Northeast 4m width (contact the road width 11m), Southeast 4m width (contact the road width 9m) 無、北東4m幅(接道幅11m)、南東4m幅(接道幅9m) | Land situation 土地状況 | | Vacant lot 更地 | Address 住所 | | Aki-gun, Hiroshima Kumano-cho, Kawasumi 2 広島県安芸郡熊野町川角2 | Traffic 交通 | | Hiroden bus "Kumanogawa angle" walk 8 minutes 広電バス「熊野川角」歩8分 | Contact お問い合せ先 | | TEL: 082-232-2230 Please inquire as "saw SUUMO (Sumo)" TEL:082-232-2230「SUUMO(スーモ)を見た」と問い合わせください | Land of the right form 土地の権利形態 | | Ownership 所有権 | Building condition 建築条件 | | With 付 | Time delivery 引き渡し時期 | | Consultation 相談 | Land category 地目 | | Residential land 宅地 | Use district 用途地域 | | One low-rise 1種低層 | Other limitations その他制限事項 | | Set-back: already セットバック:済 | Overview and notices その他概要・特記事項 | | Facilities: Public Water Supply, Centralized septic tank, All-electric 設備:公営水道、集中浄化槽、オール電化 | Company profile 会社概要 | | <Mediation> Governor of Hiroshima Prefecture (1) No. 009722 prime Corporation (Corporation) Yubinbango733-0002 Hiroshima, Hiroshima Prefecture, Nishi-ku, Kusunoki-cho, 1-14-10 <仲介>広島県知事(1)第009722号プライムコーポレイション(株)〒733-0002 広島県広島市西区楠木町1-14-10 |
 Local land photo
現地土地写真
 Local land photo
現地土地写真
 Local land photo
現地土地写真
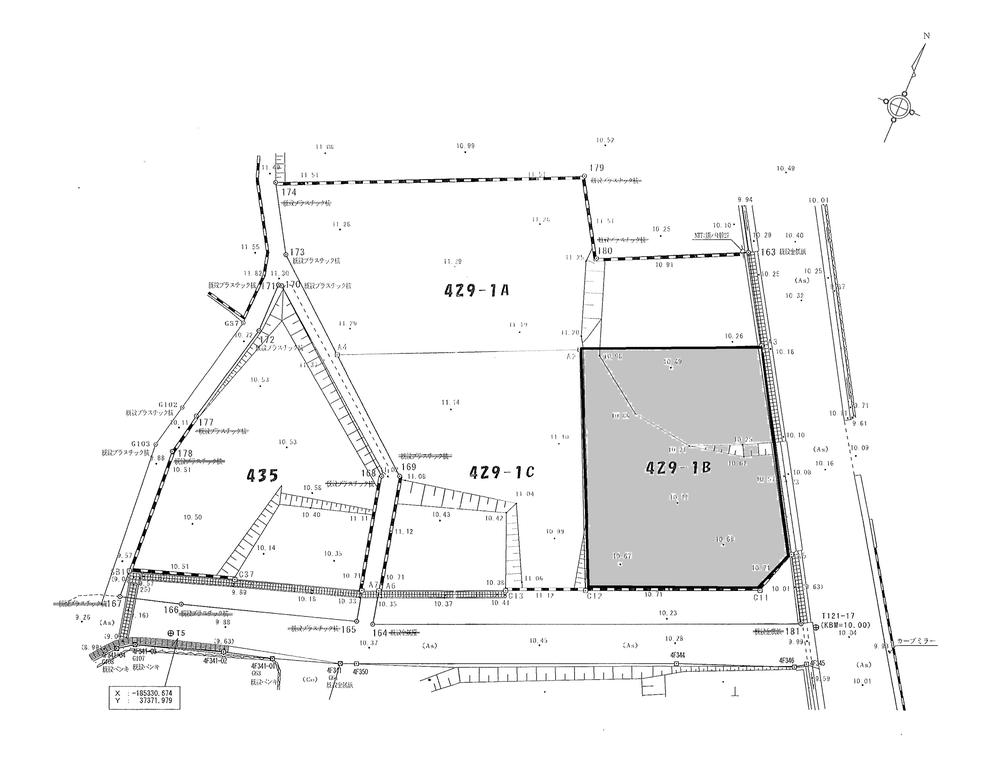
Compartment figure区画図  Land price 8.61 million yen, Land area 142.28 sq m
土地価格861万円、土地面積142.28m2
Location
|