|
|
Hyogo Prefecture Itami
兵庫県伊丹市
|
|
JR Fukuchiyama Line "Itami" walk 18 minutes
JR福知山線「伊丹」歩18分
|
|
Facing south-facing, Parking is a breeze because it is before the road 7m. Since the kindergarten and elementary schools also close, Parenting peace of mind. Building design freedom, Set price 31,800,000 yen
南向きに面しており、前道7mですので駐車楽々です。幼稚園や小学校も近いので、子育て安心。建物自由設計、セット価格3180万円
|
|
Vacant lot passes, It is close to the city, Flat to the station, No construction conditions and Russia - down consult your assistance. Please feel free to contact us.
更地渡し、市街地が近い、駅まで平坦、建築条件なしロ-ン相談もご案内もお気軽にお問い合わせ下さい。
|
Features pickup 特徴ピックアップ | | Vacant lot passes / It is close to the city / Flat to the station / No construction conditions 更地渡し /市街地が近い /駅まで平坦 /建築条件なし |
Price 価格 | | 16.5 million yen 1650万円 |
Building coverage, floor area ratio 建ぺい率・容積率 | | 60% ・ 200% 60%・200% |
Sales compartment 販売区画数 | | 1 compartment 1区画 |
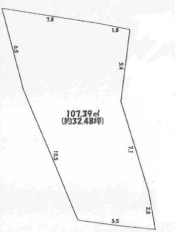
Land area 土地面積 | | 107.39 sq m 107.39m2 |
Driveway burden-road 私道負担・道路 | | Nothing 無 |
Land situation 土地状況 | | Vacant lot 更地 |
Address 住所 | | Hyogo Prefecture Itami Morimoto 2 兵庫県伊丹市森本2 |
Traffic 交通 | | JR Fukuchiyama Line "Itami" walk 18 minutes JR福知山線「伊丹」歩18分
|
Related links 関連リンク | | [Related Sites of this company] 【この会社の関連サイト】 |
Person in charge 担当者より | | [Regarding this property.] Since there is no building conditions, You can choose your favorite House manufacturer. House Studio Select also ride to the consultation. 【この物件について】建築条件はありませんので、お好きなハウスメーカーをお選びいただけます。ハウスメーカー選びもご相談に乗りますよ。 |
Contact お問い合せ先 | | TEL: 0800-805-5681 [Toll free] mobile phone ・ Also available from PHS Caller ID is not notified Please contact the "saw SUUMO (Sumo)" If it does not lead, If the real estate company TEL:0800-805-5681【通話料無料】携帯電話・PHSからもご利用いただけます 発信者番号は通知されません 「SUUMO(スーモ)を見た」と問い合わせください つながらない方、不動産会社の方は
|
Land of the right form 土地の権利形態 | | Ownership 所有権 |
Building condition 建築条件 | | With 付 |
Time delivery 引き渡し時期 | | Consultation 相談 |
Land category 地目 | | Residential land 宅地 |
Use district 用途地域 | | Semi-industrial 準工業 |
Overview and notices その他概要・特記事項 | | Facilities: Public Water Supply, This sewage, City gas 設備:公営水道、本下水、都市ガス |
Company profile 会社概要 | | <Mediation> Governor of Hyogo Prefecture (2) No. 300222 Fujitsu home sales (Ltd.) Yubinbango664-0858 Hyogo Prefecture Itami Nishidai 5-7-22 <仲介>兵庫県知事(2)第300222号フジツウ住宅販売(株)〒664-0858 兵庫県伊丹市西台5-7-22 |