New Homes » Kanto » Kanagawa Prefecture » Fujisawa
 
| | Fujisawa, Kanagawa Prefecture 神奈川県藤沢市 |
| Enoshima Odakyu "Kugenumakaigan" walk 10 minutes 小田急江ノ島線「鵠沼海岸」歩10分 |
| Newly built one detached! All four buildings. Local Unconfirmed. Contact is ahead of us! 新築一戸建!全4棟。現地要確認。お問い合わせはお早目に! |
| Newly built one detached! All four buildings. Local Unconfirmed. Contact is ahead of us! 新築一戸建!全4棟。現地要確認。お問い合わせはお早目に! |
Features pickup 特徴ピックアップ | | Pre-ground survey / LDK18 tatami mats or more / Facing south / System kitchen / Yang per good / All room storage / Flat to the station / A quiet residential area / Washbasin with shower / Face-to-face kitchen / Toilet 2 places / Bathroom 1 tsubo or more / 2-story / South balcony / loft / The window in the bathroom / Ventilation good / All living room flooring / City gas / Flat terrain 地盤調査済 /LDK18畳以上 /南向き /システムキッチン /陽当り良好 /全居室収納 /駅まで平坦 /閑静な住宅地 /シャワー付洗面台 /対面式キッチン /トイレ2ヶ所 /浴室1坪以上 /2階建 /南面バルコニー /ロフト /浴室に窓 /通風良好 /全居室フローリング /都市ガス /平坦地 | Price 価格 | | 33,800,000 yen ~ 36,800,000 yen 3380万円 ~ 3680万円 | Floor plan 間取り | | 3LDK 3LDK | Units sold 販売戸数 | | 4 units 4戸 | Total units 総戸数 | | 4 units 4戸 | Land area 土地面積 | | 105 sq m ~ 127 sq m (31.76 tsubo ~ 38.41 tsubo) (Registration) 105m2 ~ 127m2(31.76坪 ~ 38.41坪)(登記) | Building area 建物面積 | | 84 sq m ~ 85 sq m (25.40 tsubo ~ 25.71 tsubo) (Registration) 84m2 ~ 85m2(25.40坪 ~ 25.71坪)(登記) | Completion date 完成時期(築年月) | | 2014 end of schedule 2014年5月末予定 | Address 住所 | | Fujisawa, Kanagawa Prefecture Kugenumakaigan 4-20-19 神奈川県藤沢市鵠沼海岸4-20-19 | Traffic 交通 | | Enoshima Odakyu "Kugenumakaigan" walk 10 minutes 小田急江ノ島線「鵠沼海岸」歩10分
| Person in charge 担当者より | | The person in charge Inoue Hee 予門 Age: 30 Daigyokai experience: I was born and raised in the 10 years Kugenumakaigan. Also I think that if you can tell honestly including Shonan good place and a bad place of. seriously, We are honestly to help customers. First, please feel free to contact. 担当者井上 喜予門年齢:30代業界経験:10年鵠沼海岸で生まれ育ちました。 湘南の良い所と悪い所も含め正直にお伝え出来ればと思っています。 真剣に、正直にお客様のお手伝いをさせて頂いております。 まずはお気軽にご連絡下さい。 | Contact お問い合せ先 | | TEL: 0800-603-0246 [Toll free] mobile phone ・ Also available from PHS Caller ID is not notified Please contact the "saw SUUMO (Sumo)" If it does not lead, If the real estate company TEL:0800-603-0246【通話料無料】携帯電話・PHSからもご利用いただけます 発信者番号は通知されません 「SUUMO(スーモ)を見た」と問い合わせください つながらない方、不動産会社の方は
| Building coverage, floor area ratio 建ぺい率・容積率 | | Kenpei rate: 50%, Volume ratio: 80% 建ペい率:50%、容積率:80% | Time residents 入居時期 | | 2014 end of schedule 2014年5月末予定 | Land of the right form 土地の権利形態 | | Ownership 所有権 | Structure and method of construction 構造・工法 | | Wooden 2-story 木造2階建 | Use district 用途地域 | | One low-rise 1種低層 | Land category 地目 | | Residential land 宅地 | Other limitations その他制限事項 | | Regulations have by the Landscape Act, Quasi-fire zones 景観法による規制有、準防火地域 | Overview and notices その他概要・特記事項 | | Contact: Inoue Hee 予門, Building confirmation number: H25SBC Make 03616 No. other 担当者:井上 喜予門、建築確認番号:H25SBC確03616号他 | Company profile 会社概要 | | <Mediation> Governor of Kanagawa Prefecture (10) No. 009580 (one company) Property distribution management Association (Corporation) metropolitan area real estate Fair Trade Council member Meiji Estate Co., housing Plaza store Yubinbango253-0044 Chigasaki, Kanagawa Prefecture Shinsakae-cho 8-7 <仲介>神奈川県知事(10)第009580号(一社)不動産流通経営協会会員 (公社)首都圏不動産公正取引協議会加盟明治地所(株)ハウジングプラザ店〒253-0044 神奈川県茅ヶ崎市新栄町8-7 |
Local appearance photo現地外観写真  Local (12 May 2013) Shooting
現地(2013年12月)撮影
 Local (12 May 2013) Shooting
現地(2013年12月)撮影
 Local (12 May 2013) Shooting
現地(2013年12月)撮影
Floor plan間取り図  (A), Price 35,800,000 yen, 3LDK, Land area 105 sq m , Building area 84 sq m
(A)、価格3580万円、3LDK、土地面積105m2、建物面積84m2
Local appearance photo現地外観写真  Local (12 May 2013) Shooting
現地(2013年12月)撮影
Local photos, including front road前面道路含む現地写真  Local (12 May 2013) Shooting
現地(2013年12月)撮影
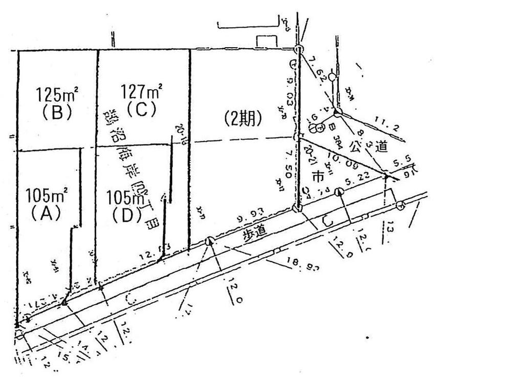
 The entire compartment Figure
全体区画図
Floor plan間取り図  (B), Price 33,800,000 yen, 3LDK, Land area 125 sq m , Building area 84 sq m
(B)、価格3380万円、3LDK、土地面積125m2、建物面積84m2
Local photos, including front road前面道路含む現地写真  Local (12 May 2013) Shooting
現地(2013年12月)撮影
Floor plan間取り図  (C), Price 34,800,000 yen, 3LDK, Land area 127 sq m , Building area 85 sq m
(C)、価格3480万円、3LDK、土地面積127m2、建物面積85m2
 (D), Price 36,800,000 yen, 3LDK, Land area 105 sq m , Building area 84 sq m
(D)、価格3680万円、3LDK、土地面積105m2、建物面積84m2
Location
|