New Homes » Kanto » Kanagawa Prefecture » Hiratsuka
 
| | Hiratsuka, Kanagawa Prefecture 神奈川県平塚市 |
| JR Tokaido Line "Hiratsuka" walk 15 minutes JR東海道本線「平塚」歩15分 |
| Confidence ant to sale record! Hiratsuka Station 15-minute walk! Commute ・ School convenient location. It is a sea breeze fragrant popular south. Shonan coast park near! It is close to the city, Super close, Yang per good, City gas, Shaping land, Flat terrain, 分譲実績に自信アリ!平塚駅徒歩15分!通勤・通学便利な立地。潮風香る人気の南側です。湘南海岸公園近く!市街地が近い、スーパーが近い、陽当り良好、都市ガス、整形地、平坦地、 |
| We propose one-of-a-kind free design house! ◆ A 5-minute walk from the mansion area Shonan Hiratsuka Beach Park to feel the Shonan. In this land near the picturesque streets of the pine tree-lined, Why not to start a new life? . Holiday please slowly a good time in the family ... ◆ The building is free design house of our construction. Please spend a fun Shonan life I wanted the floor plan. ◆ Local guidance is possible at any time. Please feel free to contact us. オンリーワンの自由設計住宅をご提案します!◆湘南を感じる邸宅地湘南平塚ビーチパークまで徒歩5分。松並木の美しい通りからほど近いこの地で、新生活をスタートさせてみませんか?近くには美味しいパン屋さんやおしゃれな雑貨屋さんやカフェが充実。休日は家族で楽しい時間をゆっくりどうぞ…◆建物は当社施工の自由設計住宅です。思い通りの間取りで楽しい湘南ライフをお過ごしください。◆現地ご案内は随時可能です。お気軽にお問合せください。 |
Features pickup 特徴ピックアップ | | It is close to Tennis Court / Super close / It is close to the city / Within 2km to the sea / Yang per good / Flat to the station / Siemens south road / A quiet residential area / Starting station / Shaping land / City gas / Flat terrain テニスコートが近い /スーパーが近い /市街地が近い /海まで2km以内 /陽当り良好 /駅まで平坦 /南側道路面す /閑静な住宅地 /始発駅 /整形地 /都市ガス /平坦地 | Event information イベント情報 | | Local guide Board (Please be sure to ask in advance) schedule / Published in our staff will be a guide available to local. Please specify your convenience time and date. ● your preview of free design house is also available at any time. ○ foundation construction, Woodwork, Let me guide you through the steps up to the building completed. ● Please check all means at your own eyes. 現地案内会(事前に必ずお問い合わせください)日程/公開中当社スタッフが現地までご案内いたします。ご都合の良い日時をご指定ください。 ●自由設計住宅のご内見も随時可能です。○基礎着工、木工事、建物完成までの工程をご案内させて頂きます。●ご自身の目でぜひお確かめください。 | Property name 物件名 | | Seller - Hiratsuka Sodegahama - Welcome to our newly built single-family free design house! 湘栄 construction 売主-平塚袖ケ浜-自由設計住宅の新築一戸建てをご提案!湘栄建設 | Price 価格 | | 26,720,000 yen 2672万円 | Building coverage, floor area ratio 建ぺい率・容積率 | | Kenpei rate: 60%, Volume ratio: 200% 建ペい率:60%、容積率:200% | Sales compartment 販売区画数 | | 1 compartment 1区画 | Total number of compartments 総区画数 | | 7 compartment 7区画 | Land area 土地面積 | | 110.44 sq m (33.40 tsubo) (measured) 110.44m2(33.40坪)(実測) | Driveway burden-road 私道負担・道路 | | South road: about 4.5m 南側公道:約4.5m | Land situation 土地状況 | | Vacant lot 更地 | Address 住所 | | Hiratsuka, Kanagawa Prefecture Sodegahama 神奈川県平塚市袖ケ浜 | Traffic 交通 | | JR Tokaido Line "Hiratsuka" walk 15 minutes Shonan Shinjuku Line Koumi "Hiratsuka" 2 minutes Nagisa From Oxnard walk 2 minutes by bus JR東海道本線「平塚」歩15分 湘南新宿ライン高海「平塚」バス2分なぎさフロムナード歩2分
| Related links 関連リンク | | [Related Sites of this company] 【この会社の関連サイト】 | Contact お問い合せ先 | | 湘栄 Construction Co., Ltd. Shonan City shop TEL: 0800-603-1190 [Toll free] mobile phone ・ Also available from PHS Caller ID is not notified Please contact the "saw SUUMO (Sumo)" If it does not lead, If the real estate company 湘栄建設(株)湘南シティ店TEL:0800-603-1190【通話料無料】携帯電話・PHSからもご利用いただけます 発信者番号は通知されません 「SUUMO(スーモ)を見た」と問い合わせください つながらない方、不動産会社の方は
| Sale schedule 販売スケジュール | | Relocation ensure the compartment until it is also sold if our seller properties Those who wish can be. Sumitomo Mitsui Banking Corporation are available upon consultation of the tie-up loan. Please feel free to contact us. 住み替えご希望の方も当社売主物件なら売却ができるまで区画の確保は可能です。三井住友銀行提携ローンのご相談承ります。お気軽にお問い合わせください。 | Land of the right form 土地の権利形態 | | Ownership 所有権 | Building condition 建築条件 | | With 付 | Time delivery 引き渡し時期 | | Consultation 相談 | Land category 地目 | | Residential land 宅地 | Use district 用途地域 | | One middle and high 1種中高 | Other limitations その他制限事項 | | Regulations have by the Landscape Act, Height district, Quasi-fire zones, Height ceiling Yes, Shade limit Yes 景観法による規制有、高度地区、準防火地域、高さ最高限度有、日影制限有 | Overview and notices その他概要・特記事項 | | Facilities: Public Water Supply, This sewage, City gas, Tokyo Electric Power Co. 設備:公営水道、本下水、都市ガス、東京電力 | Company profile 会社概要 | | <Seller> Governor of Kanagawa Prefecture (9) No. 012702 No. 湘栄 Construction Co., Ltd. Shonan City store Yubinbango254-0807 Hiratsuka, Kanagawa Prefecture magistrate cho 33-1 OSC Shonan City 2 floor <売主>神奈川県知事(9)第012702号湘栄建設(株)湘南シティ店〒254-0807 神奈川県平塚市代官町33-1 OSC湘南シティ2階 |
Building plan example (introspection photo)建物プラン例(内観写真)  Shonan abode freedom design house than ready-built house!
湘南の住まいは建売住宅より自由設計住宅を!
Aerial photograph航空写真  A quiet residential area. It is also a good day per south road
閑静な住宅街。南道路に付き日当たりも良好です
Shopping centreショッピングセンター  1341m until the Shonan station building Hiratsuka Alaska
湘南ステーションビル平塚ラスカまで1341m
Building plan example (exterior photos)建物プラン例(外観写真)  White appearance to match the blue sky of Shonan
湘南の青い空に合う白い外観
Local photos, including front road前面道路含む現地写真  Local shaping areas of the south road
南道路の整形地の現地
Building plan example (exterior photos)建物プラン例(外観写真)  Simple modern housing
シンプルモダンな住宅
Building plan example (introspection photo)建物プラン例(内観写真)  Our construction cases
当社施工例
 Clean and white living room
スッキリと白いリビング
 Free design houses that incorporate the landscape of Shonan!
湘南の景観を取り入れた自由設計住宅!
 Hiratsuka Tanjogaoka all 38 compartments
平塚市達上ケ丘全38区画
 Chigasaki Higashikaiganminami all 8 residential land
茅ヶ崎市東海岸南全8宅地
 Chigasaki Nishikubo all 11 compartments
茅ヶ崎市西久保全11区画
 Oiso city Nishikoiso all 10 subdivisions with a view of the sea
大磯街西小磯全10区画海の見える分譲地
Building plan example (exterior photos)建物プラン例(外観写真)  Our construction cases
当社施工例
Building plan example (introspection photo)建物プラン例(内観写真)  Our construction cases. We propose a house tailored to the lifestyle.
当社施工例。ライフスタイルに合わせた住まいをご提案します。
 Our construction cases
当社施工例
Other Environmental Photoその他環境写真  Enhancement also 774m lunch menu to salsa. Italian restaurant hearty
サルサまで774m ランチメニューも充実。ボリューム満点のイタリアンレストラン
 Runakafe ・ Restaurant that features a 598m fashionable imported goods store until the avant-garde
ルナカフェ・アヴァンギャルドまで598m オシャレな輸入雑貨店と併設したレストラン
 Restaurants such as the cafe located in the countryside of 399m France until brasserie Ash Em. Feel free to the delicious dishes made with fresh local ingredients abundantly
ブラッスリーアッシュエムまで399m フランスの田舎にあるカフェのようなレストラン。新鮮地元食材ふんだんに使ったおいしい料理を気軽にどうぞ
Building plan example (exterior photos)建物プラン例(外観写真)  Wooden deck overlooking the sea
海を眺めるウッドデッキ
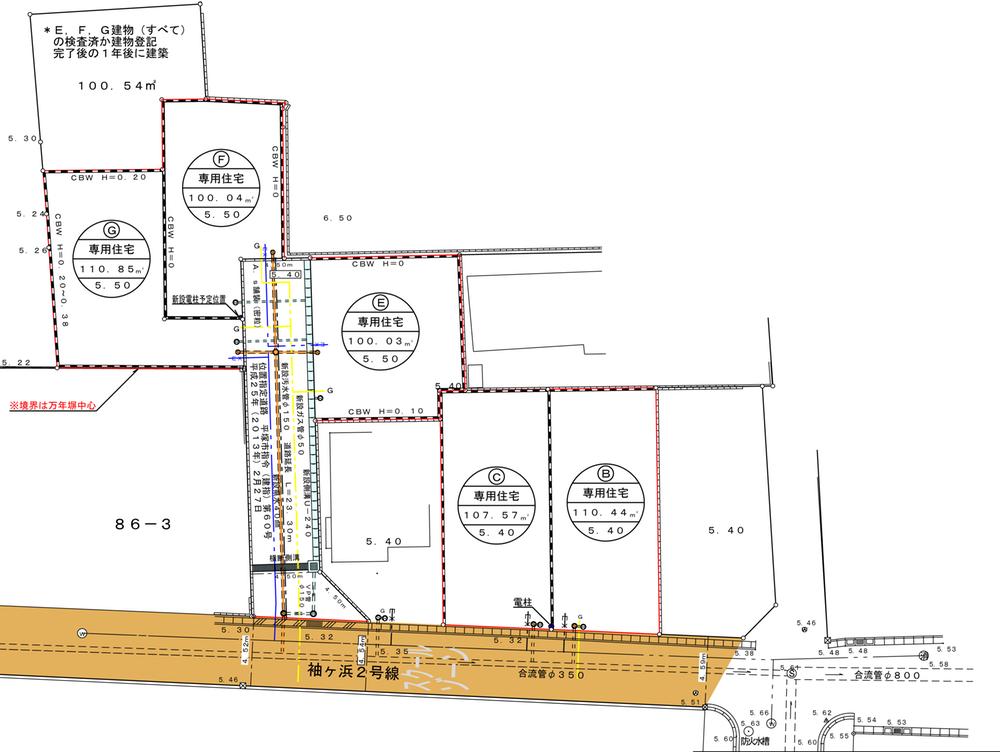
The entire compartment Figure全体区画図  Compartment figure
区画図
Otherその他  OSC Shonan City 2F Children's Playground equipped! Shopping in passing, Please come by all means feel free to!
OSC湘南シティ2Fキッズスペース完備!お買物ついでに、是非お気軽にお越し下さい!
 Heart of balloons gift for children
お子様にはハートの風船プレゼント
 Oiso headquarters second floor showroom
大磯本社2階ショールーム
Junior high school中学校  941m until Hiratsuka Tachihama dake junior high school
平塚市立浜岳中学校まで941m
Primary school小学校  696m up to elementary school Hiratsuka Tachibana water
平塚市立花水小学校まで696m
You will receive this brochureこんなパンフレットが届きます  Free design house of our construction Garage House Hen, Other There is also Hawaiian style knitted to fit the Shonan. Please to claim hesitate to document!
当社施工の自由設計住宅 ガレージハウス編、その他湘南に合うハワイアンスタイル編もございます。お気軽に資料請求してください!
Supermarketスーパー  1095m to Shimamura store Ekimae
しまむらストアー駅前店まで1095m
Other Environmental Photoその他環境写真  700m until Hiratsuka Beach Park
平塚ビーチパークまで700m
 Popular bakery in the 515m local Hiratsuka until Repido
レピドーまで515m 地元平塚で人気のベーカリー
Location
|