New Homes » Kanto » Kanagawa Prefecture » Sagamihara, Chuo-ku


Sagamihara City, Kanagawa Prefecture, Chuo-ku,
JR Yokohama Line "Fuchinobe" walk 14 minutes
[Present] now, To customers all contact, Popular soft fluffy HAPPY WAON pillow gift! !
■ With building plan, It is a house with a fully equipped. ■ Conditions Remove Negotiable ■ Good living environment around has been enhanced
Features pickup
Building plan example there
Price
18,800,000 yen
Building coverage, floor area ratio
60% ・ 200%
Sales compartment
1 compartment
Land area
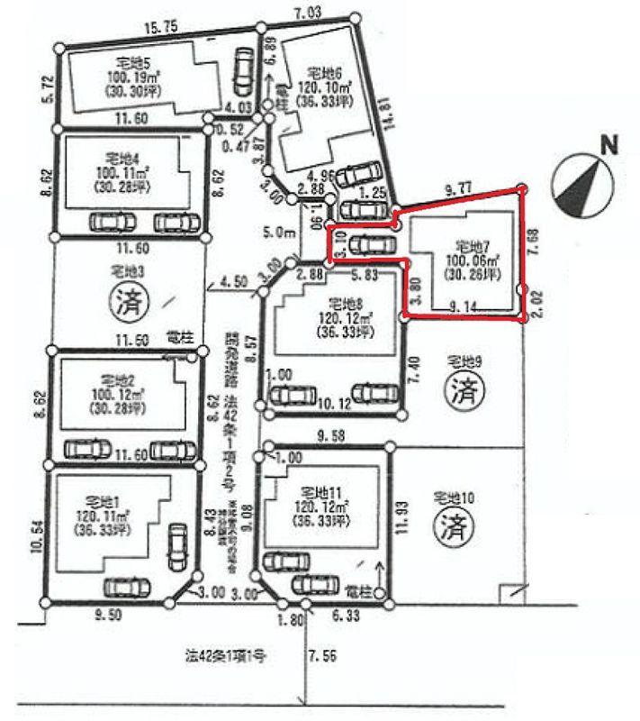
100.06 sq m
Driveway burden-road
Nothing
Land situation
Vacant lot
Address
Sagamihara City, Kanagawa Prefecture, Chuo-ku, Fuchinobe Honcho 3
Traffic
JR Yokohama Line "Fuchinobe" walk 14 minutes
JR Yokohama Line "Yabe" walk 23 minutes
JR Yokohama Line "Kobuchi" walk 28 minutes
Related links
[Related Sites of this company]
Contact
TEL: 0800-805-3596 [Toll free] mobile phone ・ Also available from PHS
Caller ID is not notified
Please contact the "saw SUUMO (Sumo)"
If it does not lead, If the real estate company
Land of the right form
Ownership
Building condition
With
Time delivery
Consultation
Land category
Residential land
Use district
One dwelling
Overview and notices
Facilities: Public Water Supply, This sewage, City gas
Company profile
<Mediation> Minister of Land, Infrastructure and Transport (1) the first 008,536 No. ion housing (Ltd.) Four Members Yubinbango104-0033, Chuo-ku, Tokyo Shinkawa 1-24-12


The entire compartment Figure

The entire compartment Figure. Compartment figure
Compartment figure

Local land photo

Local land photo. Local Photos
Local Photos

Local land photo. Vacant lot
Vacant lot

Local land photo. Local Photos
Local Photos

Other

Other. Daiei Gourmet City Fuchinobe Honcho shop
Daiei Gourmet City Fuchinobe Honcho shop

Other. Fuchinobe lark kindergarten
Fuchinobe lark kindergarten

Other. Sagamihara City Fuchinobe Elementary School
Sagamihara City Fuchinobe Elementary School

Other. Sagamihara Municipal Onokita Elementary School
Sagamihara Municipal Onokita Elementary School

Other. Obirin junior high school
Obirin junior high school

Other. Sanno Park
Sanno Park



Location