New Homes » Kanto » Saitama » Kita-Katsushika District
 
| | Saitama Prefecture Kita-Katsushika District sugito 埼玉県北葛飾郡杉戸町 |
| Isesaki Tobu "Tobudobutsukoen" walk 26 minutes 東武伊勢崎線「東武動物公園」歩26分 |
| ● TV + air conditioning (20 million) option (40 million) a total of 600,000 yen worth gift Campaign! ※ Gift to customers who your conclusion of a contract in our company Until the end of December ● weekly "Open House" ●テレビ+エアコン(20万円)オプション(40万円)計60万円分プレゼントキャンペーン実施中!※当社でご成約いただいたお客様にプレゼント 12月末まで●毎週「オープンハウス」 |
| ■ 2013 June completion ■ All building the completed / All building preview Allowed ■ 3 Station Available ■ 18 buildings sale / The remaining 1 buildings ■ With solar power system ■ Parking space two or more □ Nishi Elementary School □ Sugito junior high school ■平成25年6月完成■全棟完成済み/全棟内覧可 ■3駅利用可 ■18棟分譲/残1棟 ■太陽光発電システム付■駐車スペース2台以上□西小学校□杉戸中学校 |
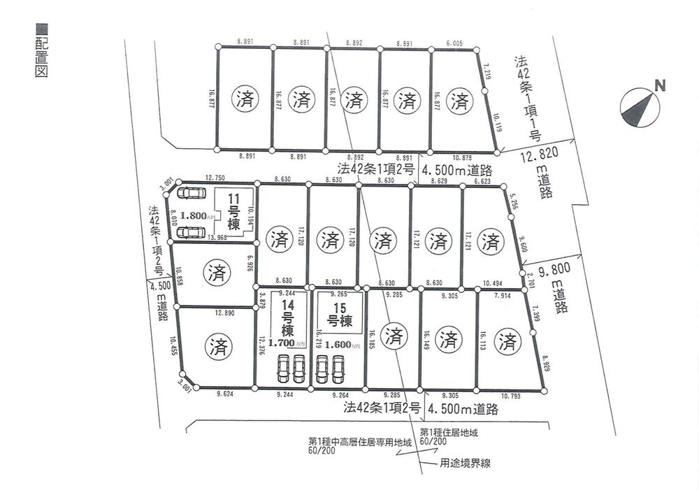
Features pickup 特徴ピックアップ | | Corresponding to the flat-35S / Solar power system / Pre-ground survey / Parking three or more possible / Immediate Available / 2 along the line more accessible / Facing south / System kitchen / Bathroom Dryer / Yang per good / All room storage / Flat to the station / Siemens south road / A quiet residential area / LDK15 tatami mats or more / Japanese-style room / Shaping land / garden / Washbasin with shower / Face-to-face kitchen / Wide balcony / Barrier-free / Toilet 2 places / Bathroom 1 tsubo or more / 2-story / South balcony / Double-glazing / Zenshitsuminami direction / Otobasu / Warm water washing toilet seat / Nantei / Underfloor Storage / The window in the bathroom / TV monitor interphone / All living room flooring / Walk-in closet / Water filter / Storeroom / All rooms are two-sided lighting / Flat terrain / Development subdivision in フラット35Sに対応 /太陽光発電システム /地盤調査済 /駐車3台以上可 /即入居可 /2沿線以上利用可 /南向き /システムキッチン /浴室乾燥機 /陽当り良好 /全居室収納 /駅まで平坦 /南側道路面す /閑静な住宅地 /LDK15畳以上 /和室 /整形地 /庭 /シャワー付洗面台 /対面式キッチン /ワイドバルコニー /バリアフリー /トイレ2ヶ所 /浴室1坪以上 /2階建 /南面バルコニー /複層ガラス /全室南向き /オートバス /温水洗浄便座 /南庭 /床下収納 /浴室に窓 /TVモニタ付インターホン /全居室フローリング /ウォークインクロゼット /浄水器 /納戸 /全室2面採光 /平坦地 /開発分譲地内 | Event information イベント情報 | | Open House (Please visitors to direct local) schedule / Every Saturday, Sunday and public holidays time / 11:00 ~ Accustomed to 16:30 complete listing visit. Please join us feel free to. オープンハウス(直接現地へご来場ください)日程/毎週土日祝時間/11:00 ~ 16:30完成物件をご覧になれます。お気軽にお越しください。 | Price 価格 | | 17 million yen 1700万円 | Floor plan 間取り | | 4LDK + 2S (storeroom) 4LDK+2S(納戸) | Units sold 販売戸数 | | 1 units 1戸 | Total units 総戸数 | | 18 units 18戸 | Land area 土地面積 | | 150.09 sq m (45.40 tsubo) (Registration) 150.09m2(45.40坪)(登記) | Building area 建物面積 | | 98.82 sq m (29.89 tsubo) (measured) 98.82m2(29.89坪)(実測) | Driveway burden-road 私道負担・道路 | | Road width: 4.5m ~ 9.8m, Asphaltic pavement 道路幅:4.5m ~ 9.8m、アスファルト舗装 | Completion date 完成時期(築年月) | | June 2013 2013年6月 | Address 住所 | | Saitama Prefecture Kita-Katsushika District sugito Oaza Shimodakano 758-30 埼玉県北葛飾郡杉戸町大字下高野758-30 | Traffic 交通 | | Isesaki Tobu "Tobudobutsukoen" walk 26 minutes Isesaki Tobu "Wado" walk 14 minutes Tobu Nikko Line "Sugito Takanodai" walk 22 minutes 東武伊勢崎線「東武動物公園」歩26分 東武伊勢崎線「和戸」歩14分 東武日光線「杉戸高野台」歩22分
| Contact お問い合せ先 | | (Ltd.) Housing Plaza TEL: 0800-805-3709 [Toll free] mobile phone ・ Also available from PHS Caller ID is not notified Please contact the "saw SUUMO (Sumo)" If it does not lead, If the real estate company (株)ハウジングプラザTEL:0800-805-3709【通話料無料】携帯電話・PHSからもご利用いただけます 発信者番号は通知されません 「SUUMO(スーモ)を見た」と問い合わせください つながらない方、不動産会社の方は
| Sale schedule 販売スケジュール | | ■ Because it is all building already completed, It is ready-to-delivery at the current state BASIS. ■全棟完成済みですので、現況有姿にて即引渡し可能です。 | Building coverage, floor area ratio 建ぺい率・容積率 | | Kenpei rate: 60%, Volume ratio: 200% 建ペい率:60%、容積率:200% | Time residents 入居時期 | | Immediate available 即入居可 | Land of the right form 土地の権利形態 | | Ownership 所有権 | Structure and method of construction 構造・工法 | | Wooden 2-story (framing method) 木造2階建(軸組工法) | Construction 施工 | | Co., Ltd. Ernest One 株式会社アーネストワン | Use district 用途地域 | | One middle and high 1種中高 | Land category 地目 | | Residential land 宅地 | Company profile 会社概要 | | <Marketing alliance (mediated)> Saitama Governor (4) No. 017889 (Ltd.) Housing Plaza Yubinbango340-0155 Saitama Prefecture Satte Oaza Kamikoya 1909 <販売提携(媒介)>埼玉県知事(4)第017889号(株)ハウジングプラザ〒340-0155 埼玉県幸手市大字上高野1909 |
Local appearance photo現地外観写真  1 Building (July 2013) Shooting
1号棟(2013年7月)撮影
 18 Building (July 2013) Shooting
18号棟(2013年7月)撮影
Local photos, including front road前面道路含む現地写真  Local (July 2013) Shooting
現地(2013年7月)撮影
Floor plan間取り図  (14 Building), Price 17 million yen, 4LDK+S, Land area 150.09 sq m , Building area 98.82 sq m
(14号棟)、価格1700万円、4LDK+S、土地面積150.09m2、建物面積98.82m2
Local appearance photo現地外観写真  Local (10 May 2013) Shooting
現地(2013年10月)撮影
Livingリビング  Indoor (June 2013) Shooting
室内(2013年6月)撮影
Bathroom浴室  Indoor (June 2013) Shooting
室内(2013年6月)撮影
Kitchenキッチン  Indoor (June 2013) Shooting
室内(2013年6月)撮影
Non-living roomリビング以外の居室  Indoor (June 2013) Shooting
室内(2013年6月)撮影
Wash basin, toilet洗面台・洗面所  Indoor (June 2013) Shooting
室内(2013年6月)撮影
Toiletトイレ  Indoor (June 2013) Shooting
室内(2013年6月)撮影
Local photos, including front road前面道路含む現地写真  Local (July 2013) Shooting
現地(2013年7月)撮影
Balconyバルコニー  Indoor (June 2013) Shooting
室内(2013年6月)撮影
Convenience storeコンビニ  Save On Sugito until Shimodakano shop 379m
セーブオン杉戸下高野店まで379m
The entire compartment Figure全体区画図  The entire compartment Figure remaining 6 buildings
全体区画図残り6棟
Local appearance photo現地外観写真  Local (July 2013) Shooting
現地(2013年7月)撮影
Livingリビング  Indoor (July 2013) Shooting ・ Furniture lighting by
室内(2013年7月)撮影・家具照明別
Non-living roomリビング以外の居室  Indoor (June 2013) Shooting
室内(2013年6月)撮影
Convenience storeコンビニ  675m to Seven-Eleven Miyashiro Suga shop
セブンイレブン宮代須賀店まで675m
Local appearance photo現地外観写真  Local (10 May 2013) Shooting
現地(2013年10月)撮影
Location
|