19,800,000 yen, 86.65 sq m
New Homes » Kanto » Tokyo » Tachikawa
 
| | Tokyo Tachikawa 東京都立川市 |
| Tama Monorail "Izumi Gymnasium" walk 4 minutes 多摩都市モノレール「泉体育館」歩4分 |
Price 価格 | | 19,800,000 yen 1980万円 | Building coverage, floor area ratio 建ぺい率・容積率 | | 40% ・ 80% 40%・80% | Sales compartment 販売区画数 | | 1 compartment 1区画 | Land area 土地面積 | | 86.65 sq m (measured) 86.65m2(実測) | Driveway burden-road 私道負担・道路 | | Nothing 無 | Land situation 土地状況 | | Vacant lot 更地 | Address 住所 | | Tokyo Tachikawa Sakaemachi 6 東京都立川市栄町6 | Traffic 交通 | | Tama Monorail "Izumi Gymnasium" walk 4 minutes 多摩都市モノレール「泉体育館」歩4分
| Contact お問い合せ先 | | TEL: 0800-805-6263 [Toll free] mobile phone ・ Also available from PHS Caller ID is not notified Please contact the "saw SUUMO (Sumo)" If it does not lead, If the real estate company TEL:0800-805-6263【通話料無料】携帯電話・PHSからもご利用いただけます 発信者番号は通知されません 「SUUMO(スーモ)を見た」と問い合わせください つながらない方、不動産会社の方は
| Land of the right form 土地の権利形態 | | Ownership 所有権 | Building condition 建築条件 | | With 付 | Time delivery 引き渡し時期 | | Consultation 相談 | Land category 地目 | | Residential land 宅地 | Use district 用途地域 | | One low-rise 1種低層 | Other limitations その他制限事項 | | Setback: upon 1.22 sq m セットバック:要1.22m2 | Overview and notices その他概要・特記事項 | | Facilities: Public Water Supply, This sewage, City gas 設備:公営水道、本下水、都市ガス | Company profile 会社概要 | | <Mediation> Minister of Land, Infrastructure and Transport (3) The 006,183 No. housing information Museum Tachikawa Seongnam Construction (Ltd.) Yubinbango190-0002 Tokyo Tachikawa Saiwaicho 4-39-19 <仲介>国土交通大臣(3)第006183号住宅情報館 立川店城南建設(株)〒190-0002 東京都立川市幸町4-39-19 |
Local photos, including front road前面道路含む現地写真  Frontal road
前面道路
Local land photo現地土地写真  Local Photos
現地写真
 Local Photos
現地写真
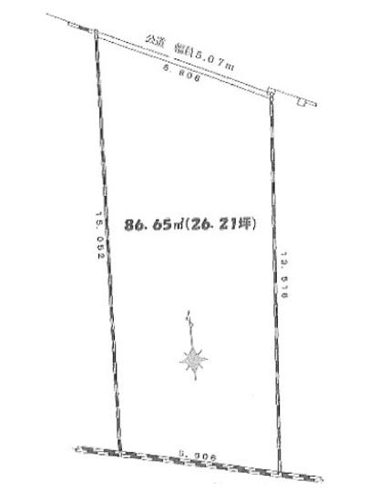
Compartment figure区画図  Land price 19,800,000 yen, Land area 86.65 sq m compartment view
土地価格1980万円、土地面積86.65m2 区画図
Local land photo現地土地写真  Local Photos
現地写真
 Local Photos
現地写真
Location
|