9.3 million yen, 123.11 sq m
Land/Building » Kanto » Chiba Prefecture » Wakaba-ku
 
| | Chiba Prefecture, Chiba Wakaba-ku, 千葉県千葉市若葉区 |
| JR Sobu "Yotsukaidou" walk 23 minutes JR総武本線「四街道」歩23分 |
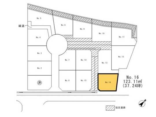
Price 価格 | | 9.3 million yen 930万円 | Building coverage, floor area ratio 建ぺい率・容積率 | | Fifty percent ・ Hundred percent 50%・100% | Sales compartment 販売区画数 | | 1 compartment 1区画 | Land area 土地面積 | | 123.11 sq m (registration) 123.11m2(登記) | Driveway burden-road 私道負担・道路 | | Nothing, Southeast 19.6m width (contact the road width 10m) 無、南東19.6m幅(接道幅10m) | Land situation 土地状況 | | Vacant lot 更地 | Address 住所 | | Chiba Wakaba-ku, Wakamatsudai 1 千葉県千葉市若葉区若松台1 | Traffic 交通 | | JR Sobu "Yotsukaidou" walk 23 minutes JR Sobu "Toga" 2 minutes Wakamatsudai elementary school walk 10 minutes by bus JR総武本線「四街道」歩23分 JR総武本線「都賀」バス2分若松台小学校歩10分
| Person in charge 担当者より | | Rep Shunsuke Watanabe 担当者渡邉俊介 | Contact お問い合せ先 | | Mitsui Rehouse Tsuga shop Chiba Rehouse (Ltd.) TEL: 0120-983467 [Toll free] Please contact the "saw SUUMO (Sumo)" 三井のリハウス都賀店ちばリハウス(株)TEL:0120-983467【通話料無料】「SUUMO(スーモ)を見た」と問い合わせください | Land of the right form 土地の権利形態 | | Ownership 所有権 | Building condition 建築条件 | | With 付 | Time delivery 引き渡し時期 | | Immediate delivery allowed 即引渡し可 | Land category 地目 | | Residential land 宅地 | Use district 用途地域 | | One low-rise 1種低層 | Other limitations その他制限事項 | | The same generation of customers gathering easy development subdivision Contact: Shunsuke Watanabe 同世代のお客様が集まりやすい開発分譲地 担当:渡辺俊介 | Overview and notices その他概要・特記事項 | | Contact: Shunsuke Watanabe 担当者:渡邉俊介 | Company profile 会社概要 | | <Mediation> Governor of Chiba Prefecture (10) No. 005619 (the company), Chiba Prefecture Building Lots and Buildings Transaction Business Association (Corporation) metropolitan area real estate Fair Trade Council member Mitsui Rehouse Tsuga shop Chiba Rehouse Co. Yubinbango264-0026 Chiba Wakaba-ku, Nishitsuga 3-3-17 5 Fuji building first floor <仲介>千葉県知事(10)第005619号(社)千葉県宅地建物取引業協会会員 (公社)首都圏不動産公正取引協議会加盟三井のリハウス都賀店ちばリハウス(株)〒264-0026 千葉県千葉市若葉区西都賀3-3-17 5藤ビル1階 |
 Local land photo
現地土地写真
 Compartment figure
区画図
Location
|