|
|
Kisarazu, Chiba Prefecture
千葉県木更津市
|
|
JR Uchibo "Kisarazu" walk 28 minutes
JR内房線「木更津」歩28分
|
|
Sunny southwest corner lot! So about 240m to the national highway No. 16, It is convenient to go out.
日当たりのよい南西角地!国道16号まで約240mなので、お出かけに便利です。
|
|
・ It has become a parking lot in the present situation, It has become a current state passes. ・ Heisei Mafune elementary school of 26 fiscal opened schedule, Walk about 15 minutes. ・ It will be sunny southwest corner lot. ・ So go with about 240m to Route 16, It is recommended for those who want to go out in the car.
・現況では駐車場となっており、現況渡しとなっております。・平成26年度開校予定の真舟小学校まで、徒歩約15分。・日当たりのよい南西角地になります。・国道16号まで約240mで行けるので、車でのお出かけをしたい方にオススメです。
|
Features pickup 特徴ピックアップ | | Land 50 square meters or more / Vacant lot passes / Yang per good / Flat to the station / Siemens south road / Corner lot / Flat terrain 土地50坪以上 /更地渡し /陽当り良好 /駅まで平坦 /南側道路面す /角地 /平坦地 |
Price 価格 | | 7.9 million yen 790万円 |
Building coverage, floor area ratio 建ぺい率・容積率 | | Fifty percent ・ Hundred percent 50%・100% |
Sales compartment 販売区画数 | | 1 compartment 1区画 |
Total number of compartments 総区画数 | | 1 compartment 1区画 |
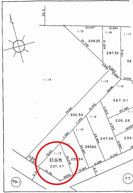
Land area 土地面積 | | 237.47 sq m (71.83 tsubo) (Registration) 237.47m2(71.83坪)(登記) |
Driveway burden-road 私道負担・道路 | | Nothing, South 6m width (contact the road width 8.9m), Southwest 9m width (contact the road width 15.7m) 無、南6m幅(接道幅8.9m)、南西9m幅(接道幅15.7m) |
Land situation 土地状況 | | Vacant lot 更地 |
Address 住所 | | Kisarazu, Chiba Prefecture Mafune 5 千葉県木更津市真舟5 |
Traffic 交通 | | JR Uchibo "Kisarazu" walk 28 minutes JR Yamanote Line "Tokyo" 60 minutes Kisarazu Station West walk 28 minutes by bus JR Nambu Line "Kawasaki" 60 minutes Kisarazu Station East walk 28 minutes by bus JR内房線「木更津」歩28分 JR山手線「東京」バス60分木更津駅西口歩28分 JR南武線「川崎」バス60分木更津駅東口歩28分
|
Related links 関連リンク | | [Related Sites of this company] 【この会社の関連サイト】 |
Person in charge 担当者より | | Rep Takahashi 担当者高橋 |
Contact お問い合せ先 | | epm real estate (Ltd.) TEL: 0800-601-5325 [Toll free] mobile phone ・ Also available from PHS Caller ID is not notified Please contact the "saw SUUMO (Sumo)" If it does not lead, If the real estate company epm不動産(株)TEL:0800-601-5325【通話料無料】携帯電話・PHSからもご利用いただけます 発信者番号は通知されません 「SUUMO(スーモ)を見た」と問い合わせください つながらない方、不動産会社の方は
|
Land of the right form 土地の権利形態 | | Ownership 所有権 |
Time delivery 引き渡し時期 | | Consultation 相談 |
Land category 地目 | | field 畑 |
Use district 用途地域 | | One low-rise 1種低層 |
Other limitations その他制限事項 | | Agricultural Land Act notification requirements, Height ceiling Yes, Shade limit Yes 農地法届出要、高さ最高限度有、日影制限有 |
Overview and notices その他概要・特記事項 | | Contact: Takahashi, Facilities: Public Water Supply, Individual septic tank, City gas 担当者:高橋、設備:公営水道、個別浄化槽、都市ガス |
Company profile 会社概要 | | <Mediation> Governor of Chiba Prefecture (3) The 014,272 No. epm Real Estate Co., Ltd. Yubinbango292-0043 Kisarazu, Chiba Prefecture Higashioda 4-3-7 <仲介>千葉県知事(3)第014272号epm不動産(株)〒292-0043 千葉県木更津市東太田4-3-7 |