18 million yen, 144.21 sq m
Land/Building » Kanto » Chiba Prefecture » Nagareyama
 
| | Chiba Prefecture Nagareyama 千葉県流山市 |
| Tobu Noda line "Toyoshiki" walk 8 minutes 東武野田線「豊四季」歩8分 |
Price 価格 | | 18 million yen 1800万円 | Building coverage, floor area ratio 建ぺい率・容積率 | | 60% ・ 150% 60%・150% | Sales compartment 販売区画数 | | 1 compartment 1区画 | Land area 土地面積 | | 144.21 sq m (registration) 144.21m2(登記) | Driveway burden-road 私道負担・道路 | | Nothing 無 | Land situation 土地状況 | | Furuya There 古家有り | Address 住所 | | Chiba Prefecture Nagareyama Nonoshita 5 千葉県流山市野々下5 | Traffic 交通 | | Tobu Noda line "Toyoshiki" walk 8 minutes 東武野田線「豊四季」歩8分 | Contact お問い合せ先 | | TEL: 0800-805-6286 [Toll free] mobile phone ・ Also available from PHS Caller ID is not notified Please contact the "saw SUUMO (Sumo)" If it does not lead, If the real estate company TEL:0800-805-6286【通話料無料】携帯電話・PHSからもご利用いただけます 発信者番号は通知されません 「SUUMO(スーモ)を見た」と問い合わせください つながらない方、不動産会社の方は
| Land of the right form 土地の権利形態 | | Ownership 所有権 | Time delivery 引き渡し時期 | | Consultation 相談 | Land category 地目 | | Residential land 宅地 | Use district 用途地域 | | One low-rise 1種低層 | Overview and notices その他概要・特記事項 | | Facilities: Public Water Supply, This sewage, City gas 設備:公営水道、本下水、都市ガス | Company profile 会社概要 | | <Mediation> Minister of Land, Infrastructure and Transport (3) The 006,183 No. housing Information Center Koshigaya shop Seongnam Construction (Ltd.) Yubinbango343-0805 Saitama Prefecture Koshigaya Shinmei-cho 2-225-1 <仲介>国土交通大臣(3)第006183号住宅情報館 越谷店城南建設(株)〒343-0805 埼玉県越谷市神明町2-225-1 |
Local land photo現地土地写真  Local Photos
現地写真
 Local Photos
現地写真
 Local Photos
現地写真
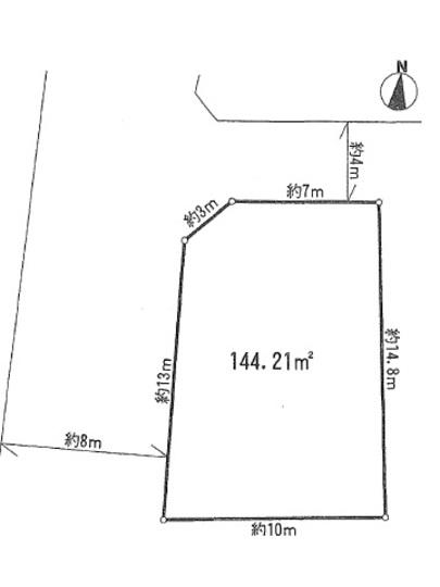
Compartment figure区画図  Land price 18 million yen, Land area 144.21 sq m compartment view
土地価格1800万円、土地面積144.21m2 区画図
Local photos, including front road前面道路含む現地写真  Frontal road
前面道路
Otherその他  Sabu Station 8-minute walk (about 640m)
豊住駅 徒歩8分(約640m)
Location
|