Land/Building » Kanto » Chiba Prefecture » Sodegaura City


Chiba Prefecture Sodegaura City
JR Uchibo "Sodegaura" walk 7 minutes
Sunny, It will be southeast-facing land. Since the quiet residential area, It also recommended to the child-rearing!
・ Sodegaura is within walking distance of about 600m to the Train Station. ・ Up to about Aqualine contact Road Sodegaura IC 3200m, It will be at a distance of about 7 minutes by car. ・ now, Up to about popular Mitsui Outlet Park 3400m, It has become a about 8 minutes by car. ・ Narawa walk to the elementary school about 11 minutes, Since the peripheral is a quiet residential area, Also recommended for families with small children.
Features pickup
Land 50 square meters or more / Vacant lot passes / Yang per good / Flat to the station / A quiet residential area / Shaping land / No construction conditions / City gas / Flat terrain
Price
12 million yen ~ 12.3 million yen
Building coverage, floor area ratio
Building coverage: 60%, Volume ratio: 200%
Sales compartment
2 compartment
Total number of compartments
2 compartment
Land area
198.36 sq m ~ 198.37 sq m (60.00 tsubo ~ 60.00 square meters)
Driveway burden-road
Road width: 4.5m ・ 4.5m, Asphaltic pavement
Land situation
Vacant lot
Address
Chiba Prefecture Sodegaura City Narawa
Traffic
JR Uchibo "Sodegaura" walk 7 minutes
JR Yamanote Line "Shinagawa" 50 minutes Sodegaura bus terminal walk 26 minutes by bus
JR Yokosuka Line "Yokohama" 50 minutes Sodegaura bus terminal walk 26 minutes by bus
Related links
[Related Sites of this company]
Person in charge
Rep Takahashi
Contact
epm real estate (Ltd.) TEL: 0800-601-5325 [Toll free] mobile phone ・ Also available from PHS
Caller ID is not notified
Please contact the "saw SUUMO (Sumo)"
If it does not lead, If the real estate company
Land of the right form
Ownership
Time delivery
Consultation
Land category
Rice field
Use district
One dwelling
Other limitations
Agricultural Land Act notification requirements, Height district
Overview and notices
Contact: Takahashi, Facilities: Public Water Supply, This sewage, City gas
Company profile
<Mediation> Governor of Chiba Prefecture (3) The 014,272 No. epm Real Estate Co., Ltd. Yubinbango292-0043 Kisarazu, Chiba Prefecture Higashioda 4-3-7


Local land photo

Local land photo. Compartment panoramic view 1
Compartment panoramic view 1

Local photos, including front road

Local photos, including front road. Compartment panoramic view 2
Compartment panoramic view 2

Local land photo

Local land photo. Local Photo 1
Local Photo 1

Compartment figure

Compartment figure. Land price 12.3 million yen, Land area 198.36 sq m
Land price 12.3 million yen, Land area 198.36 sq m

Local land photo

Local land photo. Local Photo 2
Local Photo 2

Local photos, including front road

Local photos, including front road. Compartment panoramic view 3
Compartment panoramic view 3

Primary school

Primary school. Narawa to elementary school 1100m
Narawa to elementary school 1100m

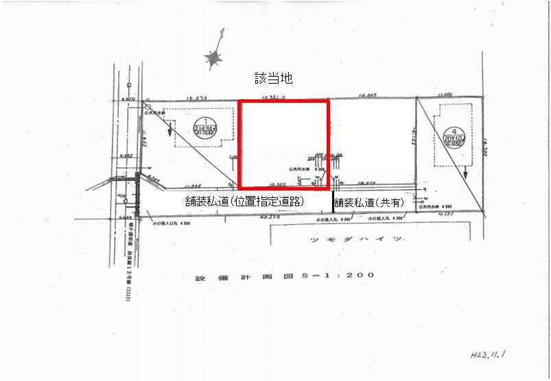
The entire compartment Figure
The entire compartment Figure

Compartment figure

Compartment figure. Land price 12 million yen, Land area 198.37 sq m
Land price 12 million yen, Land area 198.37 sq m

Local land photo

Local land photo. Local photo 3
Local photo 3

Supermarket

Supermarket. 1200m to the store of housewife
1200m to the store of housewife

Local land photo

Local land photo. Local photos 4
Local photos 4

Drug store

Drug store. 700m until Seimusu
700m until Seimusu

Convenience store

Convenience store. 500m to Lawson
500m to Lawson

Station

station. JR Uchibo: Sodegaura 600m to the Train Station
JR Uchibo: Sodegaura 600m to the Train Station



Location