|
|
Chiba Prefecture Yotsukaido
千葉県四街道市
|
|
JR Sobu "Yotsukaidou" walk 6 minutes
JR総武本線「四街道」歩6分
|
|
Station near! ! Located in the 66 square meters of the building conditions without selling land appearance of Yotsukaidō Station 6-minute walk! !
駅近!!四街道駅徒歩6分の立地に66坪の建築条件なし売地登場!!
|
|
■ Including Ito-Yokado 150m, Close to commercial facility enhancement! Providing a comfortable station near life! ■ In addition to housing, Rental apartment site, Home and shop, Available in a variety of applications, such as clinics. ■ The current vacant lot, Gozaimasen building conditions! You can architecture in your favorite House manufacturer. ■ We will create various reference plan. Please tell us a dream of my home!
■イトーヨーカドー150mをはじめ、近隣に商業施設充実!快適な駅近ライフを実現! ■住宅以外にも、賃貸マンション用地、自宅兼店舗、診療所などさまざまな用途にご利用頂けます。 ■現行更地、建築条件ございません!お好みのハウスメーカーで建築できます。 ■各種参考プラン作成致します。マイホームの夢お聞かせ下さい!
|
Features pickup 特徴ピックアップ | | Land 50 square meters or more / Vacant lot passes / Super close / It is close to the city / Yang per good / Siemens south road / Or more before road 6m / Corner lot / No construction conditions / City gas 土地50坪以上 /更地渡し /スーパーが近い /市街地が近い /陽当り良好 /南側道路面す /前道6m以上 /角地 /建築条件なし /都市ガス |
Price 価格 | | 30 million yen 3000万円 |
Building coverage, floor area ratio 建ぺい率・容積率 | | 90% ・ 200% 90%・200% |
Sales compartment 販売区画数 | | 1 compartment 1区画 |
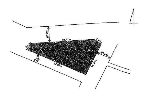
Land area 土地面積 | | 218.67 sq m (registration) 218.67m2(登記) |
Driveway burden-road 私道負担・道路 | | Nothing, North 16m width, Southeast 11m width, Southwest 8m width 無、北16m幅、南東11m幅、南西8m幅 |
Land situation 土地状況 | | Vacant lot 更地 |
Address 住所 | | Chiba Prefecture Yotsukaido Yotsukaido 千葉県四街道市四街道 |
Traffic 交通 | | JR Sobu "Yotsukaidou" walk 6 minutes JR総武本線「四街道」歩6分
|
Person in charge 担当者より | | Rep Furukawa Moyo industry experience: 7 years who now have a chance if you buy! ! It is really a chance! ! why? . Your condition is different each. To customers in your family, Do not fit the property looking together? 担当者古川 茂世業界経験:7年家を買うなら今がチャンス!!本当にチャンスですよ!!なぜ??それはお会いした時にご説明いたします。お客様の条件はそれぞれ違います。お客様にご家族に、ピッタリの物件探し一緒にしませんか? |
Contact お問い合せ先 | | TEL: 0800-603-0395 [Toll free] mobile phone ・ Also available from PHS Caller ID is not notified Please contact the "saw SUUMO (Sumo)" If it does not lead, If the real estate company TEL:0800-603-0395【通話料無料】携帯電話・PHSからもご利用いただけます 発信者番号は通知されません 「SUUMO(スーモ)を見た」と問い合わせください つながらない方、不動産会社の方は
|
Land of the right form 土地の権利形態 | | Ownership 所有権 |
Time delivery 引き渡し時期 | | Consultation 相談 |
Land category 地目 | | Residential land 宅地 |
Use district 用途地域 | | Residential 近隣商業 |
Overview and notices その他概要・特記事項 | | Contact: Furukawa Moyo, Facilities: Public Water Supply, This sewage, City gas 担当者:古川 茂世、設備:公営水道、本下水、都市ガス |
Company profile 会社概要 | | <Mediation> Minister of Land, Infrastructure and Transport (11) No. 001961 (the company), Chiba Prefecture Building Lots and Buildings Transaction Business Association (Corporation) metropolitan area real estate Fair Trade Council member Tokai Housing Corporation head office Yubinbango276-0032 Chiba Prefecture Yachiyo Yachiyodaihigashi 1-2-11 <仲介>国土交通大臣(11)第001961号(社)千葉県宅地建物取引業協会会員 (公社)首都圏不動産公正取引協議会加盟東海住宅(株)本店〒276-0032 千葉県八千代市八千代台東1-2-11 |