Land/Building » Kanto » Kanagawa Prefecture » Aiko Gun
 
| | Kanagawa Prefecture Aiko Gun Aikawa 神奈川県愛甲郡愛川町 |
| Odawara Line Odakyu "Hon-Atsugi" bus 26 Bun'ue Mutsukura walk 2 minutes 小田急小田原線「本厚木」バス26分上六倉歩2分 |
| ☆ There is no building conditions ☆ ◆ You can choose your favorite manufacturer! ◆ It is a flat development subdivision ☆建築条件ありません☆◆お好きなメーカーをお選びいただけます!◆平坦な開発分譲地です |
| Shaping land, No construction conditions, Flat terrain, Development subdivision in 整形地、建築条件なし、平坦地、開発分譲地内 |
Features pickup 特徴ピックアップ | | Shaping land / No construction conditions / Flat terrain / Development subdivision in 整形地 /建築条件なし /平坦地 /開発分譲地内 | Price 価格 | | 8.8 million yen ~ 12.8 million yen 880万円 ~ 1280万円 | Building coverage, floor area ratio 建ぺい率・容積率 | | Kenpei rate: 60%, Volume ratio: 200% 建ペい率:60%、容積率:200% | Sales compartment 販売区画数 | | 4 compartments 4区画 | Land area 土地面積 | | 105.03 sq m ~ 105.05 sq m 105.03m2 ~ 105.05m2 | Land situation 土地状況 | | Vacant lot 更地 | Address 住所 | | Kanagawa Prefecture Aiko Gun Aikawa Nakatsu 2750 神奈川県愛甲郡愛川町中津2750 | Traffic 交通 | | Odawara Line Odakyu "Hon-Atsugi" bus 26 Bun'ue Mutsukura walk 2 minutes 小田急小田原線「本厚木」バス26分上六倉歩2分
| Related links 関連リンク | | [Related Sites of this company] 【この会社の関連サイト】 | Person in charge 担当者より | | Rep Sugimoto Ryoji age: we are a looking for properties delight customers with suggestions that unlike the 30's other real estate agent. Please leave. 担当者杉本 良二年齢:30代他の不動産屋と違ったご提案でお客様に喜んで頂ける物件探しをしています。おまかせ下さい。 | Contact お問い合せ先 | | TEL: 0800-602-4998 [Toll free] mobile phone ・ Also available from PHS Caller ID is not notified Please contact the "saw SUUMO (Sumo)" If it does not lead, If the real estate company TEL:0800-602-4998【通話料無料】携帯電話・PHSからもご利用いただけます 発信者番号は通知されません 「SUUMO(スーモ)を見た」と問い合わせください つながらない方、不動産会社の方は
| Land of the right form 土地の権利形態 | | Ownership 所有権 | Land category 地目 | | Residential land 宅地 | Use district 用途地域 | | One middle and high 1種中高 | Overview and notices その他概要・特記事項 | | Contact: Sugimoto Ryoji, Facilities: Public Water Supply 担当者:杉本 良二、設備:公営水道 | Company profile 会社概要 | | <Mediation> Minister of Land, Infrastructure and Transport (1) the first 008,392 No. Century 21 Taise housing Corporation Atsugi headquarters Yubinbango243-0018 Atsugi City, Kanagawa Prefecture Nakamachi 4-16-6 <仲介>国土交通大臣(1)第008392号センチュリー21タイセーハウジング(株)厚木本社〒243-0018 神奈川県厚木市中町4-16-6 |
Local land photo現地土地写真  Local (August 2013) Shooting The entire local ◎ is a flat development subdivision! ◎ There is no building conditions ☆
現地(2013年8月)撮影 現地全体◎平坦な開発分譲地です!◎建築条件ありません☆
Local photos, including front road前面道路含む現地写真  A quiet residential area a fully equipped compartment
区画の整った閑静な住宅地
Building plan example (introspection photo)建物プラン例(内観写真) ![Building plan example (introspection photo). [Our example of construction Kitchen] Contract construction plan.](/images/kanagawa/aikogun/c5c2230008.jpg) [Our example of construction Kitchen] Contract construction plan.
【当社施工例キッチン】 建築プラン請け負います。
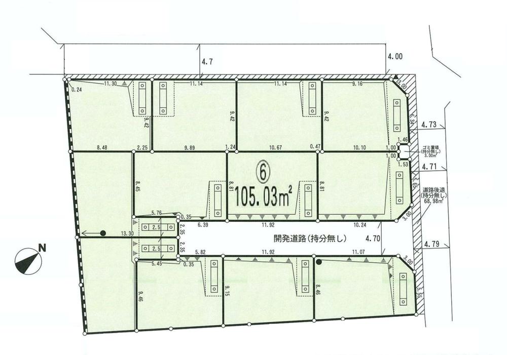
Compartment figure区画図  Land price 12.8 million yen, Land area 105.03 sq m
土地価格1280万円、土地面積105.03m2
Building plan example (introspection photo)建物プラン例(内観写真) ![Building plan example (introspection photo). [Our construction cases living] Please feel free to contact us.](/images/kanagawa/aikogun/c5c2230009.jpg) [Our construction cases living] Please feel free to contact us.
【当社施工例リビング】 お気軽にご相談ください。
Kindergarten ・ Nursery幼稚園・保育園  Nakatsu to kindergarten 500m
中津幼稚園まで500m
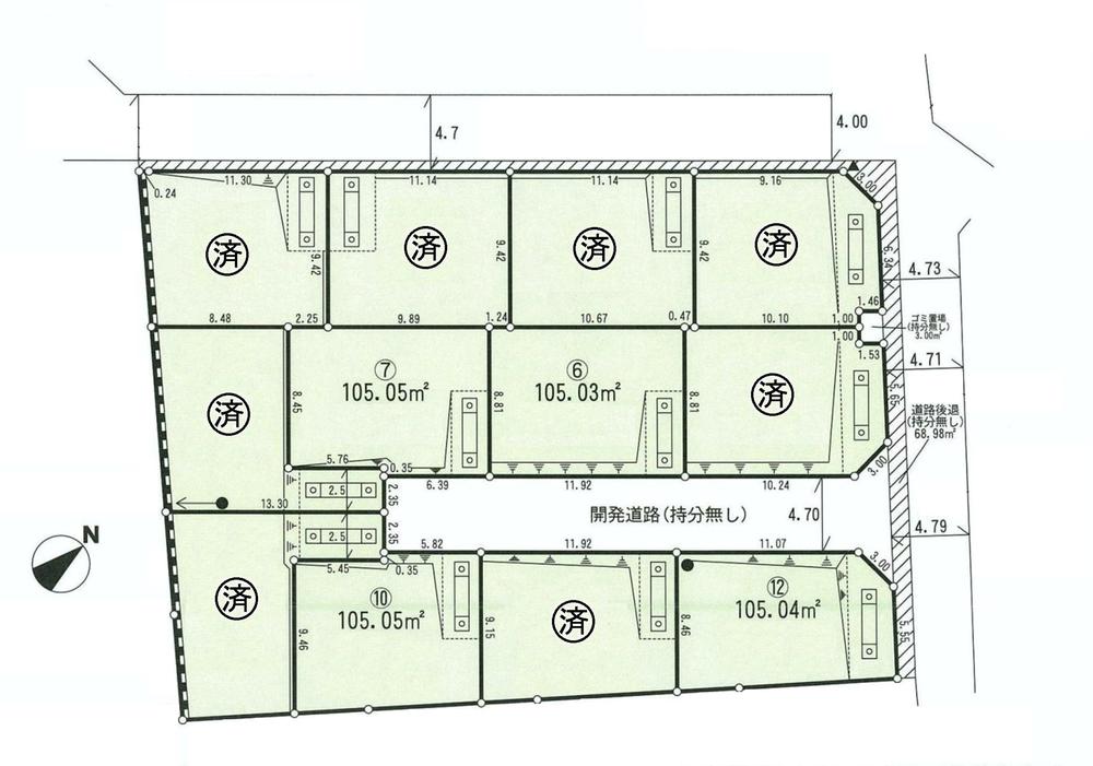
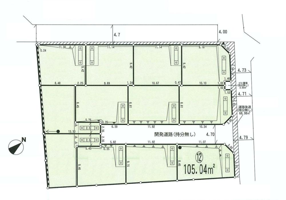
 The entire compartment Figure
全体区画図
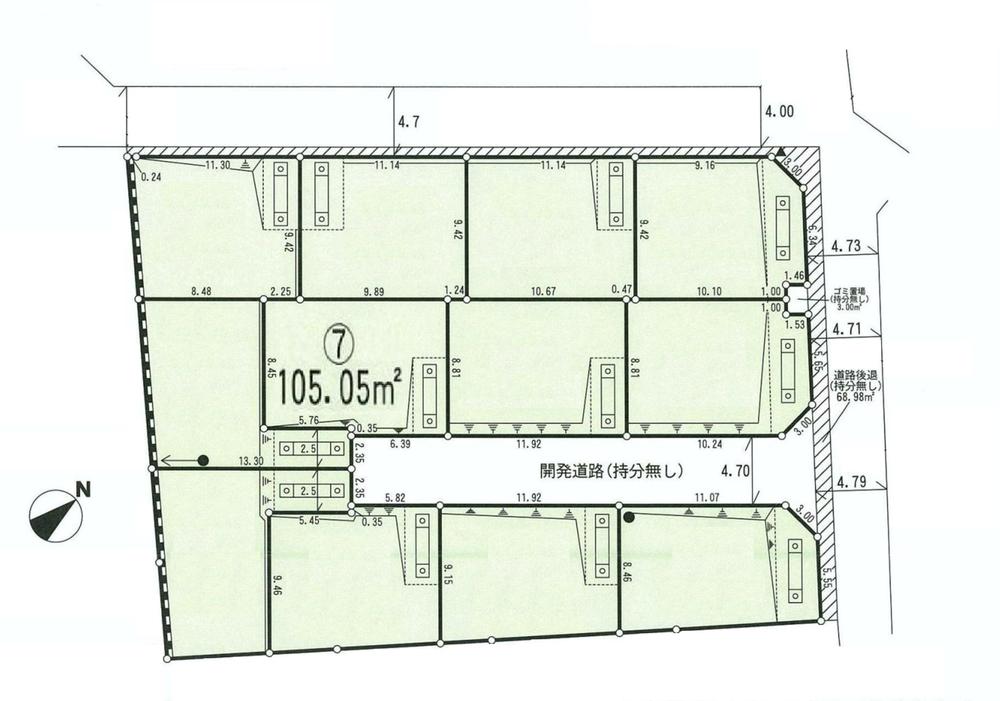
Compartment figure区画図  Land price 10.8 million yen, Land area 105.05 sq m
土地価格1080万円、土地面積105.05m2
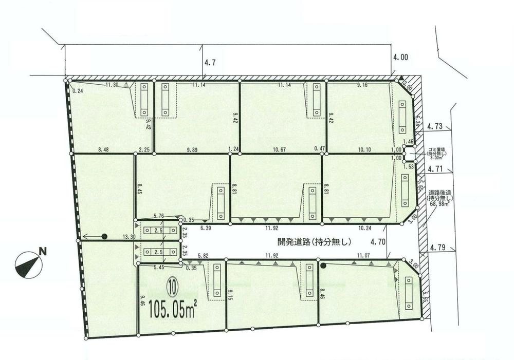
 Land price 8.8 million yen, Land area 105.05 sq m
土地価格880万円、土地面積105.05m2
 Land price 11.8 million yen, Land area 105.04 sq m
土地価格1180万円、土地面積105.04m2
Location
|