|
|
Ashigarashimo-gun, Kanagawa Prefecture Hakone-machi
神奈川県足柄下郡箱根町
|
|
Hakone Tozan "Gora" a 35-minute maiden opening walk 1 minute bus
箱根登山鉄道「強羅」バス35分乙女口歩1分
|
|
Land more than 100 square meters, See the mountain, A quiet residential area, Or more before road 6m, Leafy residential area, Maintained sidewalk
土地100坪以上、山が見える、閑静な住宅地、前道6m以上、緑豊かな住宅地、整備された歩道
|
|
Green is rich extensive grounds facing the national highway. It is ideal as a store or the like business site
国道に面した緑豊かな広大な敷地です。店舗等事業用地として最適です
|
Features pickup 特徴ピックアップ | | Land more than 100 square meters / See the mountain / A quiet residential area / Or more before road 6m / Leafy residential area / Maintained sidewalk 土地100坪以上 /山が見える /閑静な住宅地 /前道6m以上 /緑豊かな住宅地 /整備された歩道 |
Price 価格 | | 16.5 million yen 1650万円 |
Building coverage, floor area ratio 建ぺい率・容積率 | | 30% ・ Fifty percent 30%・50% |
Sales compartment 販売区画数 | | 1 compartment 1区画 |
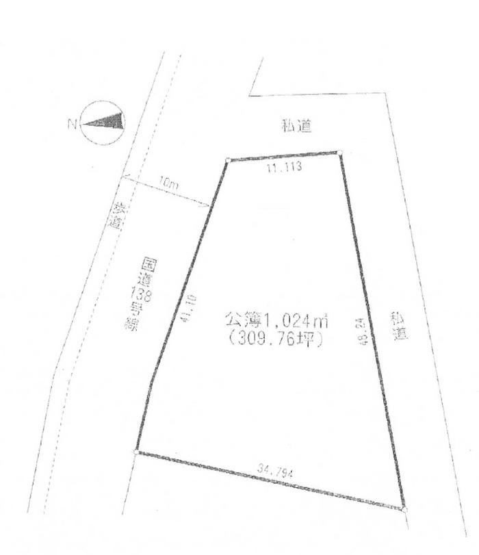
Land area 土地面積 | | 1024 sq m (309.75 tsubo) (Registration) 1024m2(309.75坪)(登記) |
Driveway burden-road 私道負担・道路 | | Nothing, North 10m width (contact the road width 41.1m) 無、北10m幅(接道幅41.1m) |
Land situation 土地状況 | | Vacant lot 更地 |
Address 住所 | | Ashigarashimo-gun, Kanagawa Prefecture Hakone-machi Sengokuhara 神奈川県足柄下郡箱根町仙石原 |
Traffic 交通 | | Hakone Tozan "Gora" a 35-minute maiden opening walk 1 minute bus 箱根登山鉄道「強羅」バス35分乙女口歩1分
|
Related links 関連リンク | | [Related Sites of this company] 【この会社の関連サイト】 |
Contact お問い合せ先 | | (Ltd.) Uptown Izu TEL: 0120-852300 [Toll free] Please contact the "saw SUUMO (Sumo)" (株)アップタウン伊豆TEL:0120-852300【通話料無料】「SUUMO(スーモ)を見た」と問い合わせください |
Land of the right form 土地の権利形態 | | Ownership 所有権 |
Time delivery 引き渡し時期 | | Consultation 相談 |
Land category 地目 | | Mountain forest 山林 |
Use district 用途地域 | | One low-rise 1種低層 |
Company profile 会社概要 | | <Mediation> Shizuoka Governor (6) No. 010231 (Corporation), Shizuoka Prefecture Building Lots and Buildings Transaction Business Association Tokai Real Estate Fair Trade Council member (Ltd.) Uptown Izu Yubinbango413-0011 Atami, Shizuoka Prefecture tawaramoto 1-10 <仲介>静岡県知事(6)第010231号(公社)静岡県宅地建物取引業協会会員 東海不動産公正取引協議会加盟(株)アップタウン伊豆〒413-0011 静岡県熱海市田原本町1-10 |