|
|
Atsugi City, Kanagawa Prefecture
神奈川県厚木市
|
|
Odawara Line Odakyu "Hon-Atsugi" bus 9 minutes Tsumada Ayumi Yakushi 1 minute
小田急小田原線「本厚木」バス9分妻田薬師歩1分
|
|
No construction conditions
建築条件なし
|
|
No construction conditions
建築条件なし
|
Features pickup 特徴ピックアップ | | Corner lot / Shaping land / No construction conditions 角地 /整形地 /建築条件なし |
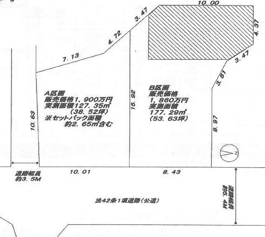
Price 価格 | | 19 million yen 1900万円 |
Building coverage, floor area ratio 建ぺい率・容積率 | | Kenpei rate: 60%, Volume ratio: 200% 建ペい率:60%、容積率:200% |
Sales compartment 販売区画数 | | 2 compartment 2区画 |
Total number of compartments 総区画数 | | 2 compartment 2区画 |
Land area 土地面積 | | 127.35 sq m (measured) 127.35m2(実測) |
Driveway burden-road 私道負担・道路 | | A partition is set back requires 2.65 sq m. A区画はセットバックが2.65m2必要です。 |
Land situation 土地状況 | | Vacant lot 更地 |
Address 住所 | | Atsugi City, Kanagawa Prefecture Tsumadanishi 3 神奈川県厚木市妻田西3 |
Traffic 交通 | | Odawara Line Odakyu "Hon-Atsugi" bus 9 minutes Tsumada Ayumi Yakushi 1 minute Odawara Line Odakyu "Hon-Atsugi" walk 38 minutes Odawara Line Odakyu "Atsugi" walk 47 minutes 小田急小田原線「本厚木」バス9分妻田薬師歩1分 小田急小田原線「本厚木」歩38分 小田急小田原線「厚木」歩47分
|
Related links 関連リンク | | [Related Sites of this company] 【この会社の関連サイト】 |
Person in charge 担当者より | | Rep Hirai Age: 30 Daigyokai Experience: 3 years good properties, We've got clearly a bad thing. Around commercial facilities, We will also be announced, such as the back roads. 担当者平井年齢:30代業界経験:3年良い物件、悪い物件をはっきりお伝えします。周辺の商業施設、裏道などもご案内させていただきます。 |
Contact お問い合せ先 | | TEL: 0800-603-9816 [Toll free] mobile phone ・ Also available from PHS Caller ID is not notified Please contact the "saw SUUMO (Sumo)" If it does not lead, If the real estate company TEL:0800-603-9816【通話料無料】携帯電話・PHSからもご利用いただけます 発信者番号は通知されません 「SUUMO(スーモ)を見た」と問い合わせください つながらない方、不動産会社の方は
|
Land of the right form 土地の権利形態 | | Ownership 所有権 |
Time delivery 引き渡し時期 | | Consultation 相談 |
Land category 地目 | | Residential land 宅地 |
Use district 用途地域 | | Two dwellings 2種住居 |
Other limitations その他制限事項 | | Regulations have by the Landscape Act 景観法による規制有 |
Overview and notices その他概要・特記事項 | | Contact: Hirai, Facilities: Public Water Supply, This sewage, Individual LPG, A partition does not have a pull-in of the upper and lower water. 担当者:平井、設備:公営水道、本下水、個別LPG、A区画は上下水の引き込みがございません。 |
Company profile 会社概要 | | <Mediation> Governor of Kanagawa Prefecture (1) No. 027366 (Corporation) All Japan Real Estate Association (Corporation) metropolitan area real estate Fair Trade Council member Ishii housing (Ltd.) Yubinbango243-0813 Atsugi City, Kanagawa Prefecture Tsumadahigashi 3-10-13 <仲介>神奈川県知事(1)第027366号(公社)全日本不動産協会会員 (公社)首都圏不動産公正取引協議会加盟石井ハウジング(株)〒243-0813 神奈川県厚木市妻田東3-10-13 |