18.9 million yen, 102.47 sq m
Land/Building » Kanto » Kanagawa Prefecture » Fujisawa
 
| | Fujisawa, Kanagawa Prefecture 神奈川県藤沢市 |
| Enoshima Odakyu "Chogo" walk 12 minutes 小田急江ノ島線「長後」歩12分 |
Price 価格 | | 18.9 million yen 1890万円 | Building coverage, floor area ratio 建ぺい率・容積率 | | Fifty percent ・ 80% 50%・80% | Sales compartment 販売区画数 | | 1 compartment 1区画 | Land area 土地面積 | | 102.47 sq m (registration) 102.47m2(登記) | Driveway burden-road 私道負担・道路 | | Nothing, Southwest 4.5m width (contact the road width 12.6m) 無、南西4.5m幅(接道幅12.6m) | Land situation 土地状況 | | Furuya There 古家有り | Address 住所 | | Fujisawa, Kanagawa Prefecture Takakura 神奈川県藤沢市高倉 | Traffic 交通 | | Enoshima Odakyu "Chogo" walk 12 minutes 小田急江ノ島線「長後」歩12分
| Person in charge 担当者より | | Person in charge of Matsumoto Shunichi 担当者松本 俊一 | Contact お問い合せ先 | | Sumitomo Real Estate Sales Co., Ltd. Chuorinkan business center TEL: 046-278-1325 Please inquire as "saw SUUMO (Sumo)" 住友不動産販売(株)中央林間営業センターTEL:046-278-1325「SUUMO(スーモ)を見た」と問い合わせください | Land of the right form 土地の権利形態 | | Ownership 所有権 | Time delivery 引き渡し時期 | | Consultation 相談 | Land category 地目 | | Residential land 宅地 | Use district 用途地域 | | One low-rise 1種低層 | Other limitations その他制限事項 | | / Terrain: flat /地勢:平坦 | Overview and notices その他概要・特記事項 | | Contact: Matsumoto Shunichi 担当者:松本 俊一 | Company profile 会社概要 | | <Mediation> Minister of Land, Infrastructure and Transport (11) Article 002077 No. Sumitomo Real Estate Sales Co., Ltd. Chuorinkan business center Yubinbango242-0007 Yamato-shi, Kanagawa Chuorinkan 3-3-1 Umi Square4 floor <仲介>国土交通大臣(11)第002077号住友不動産販売(株)中央林間営業センター〒242-0007 神奈川県大和市中央林間3-3-1 Umi Square4階 |
Local land photo現地土地写真  Appearance (1)
外観(1)
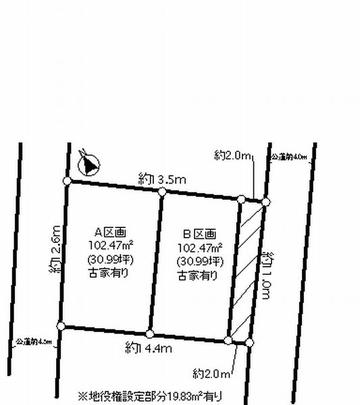
 Compartment figure
区画図
Location
|