7.5 million yen, 108.3 sq m
Land/Building » Kanto » Kanagawa Prefecture » Hadano
 
| | Kanagawa Prefecture Hadano 神奈川県秦野市 |
| Odawara Line Odakyu "Shibusawa" walk 16 minutes 小田急小田原線「渋沢」歩16分 |
| Shibusawa Station within walking distance of a good location! 渋沢駅徒歩圏内の好立地! |
| Ichinohe Ken at an affordable price! No construction conditions a quiet residential area お手ごろ価格で一戸建!建築条件なし閑静な住宅街 |
Features pickup 特徴ピックアップ | | Immediate delivery Allowed / Around traffic fewer / Shaping land / Leafy residential area 即引渡し可 /周辺交通量少なめ /整形地 /緑豊かな住宅地 | Price 価格 | | 7.5 million yen 750万円 | Building coverage, floor area ratio 建ぺい率・容積率 | | Fifty percent ・ Hundred percent 50%・100% | Sales compartment 販売区画数 | | 1 compartment 1区画 | Land area 土地面積 | | 108.3 sq m (registration) 108.3m2(登記) | Driveway burden-road 私道負担・道路 | | Nothing 無 | Land situation 土地状況 | | Vacant lot 更地 | Address 住所 | | Kanagawa Prefecture Hadano Chimura 5 神奈川県秦野市千村5 | Traffic 交通 | | Odawara Line Odakyu "Shibusawa" walk 16 minutes 小田急小田原線「渋沢」歩16分
| Contact お問い合せ先 | | Ricoh Creative Service Co., Ltd. Building headquarters real estate section TEL: 03-3769-2856 "saw SUUMO (Sumo)" and please contact リコークリエイティブサービス(株)建築本部 不動産部TEL:03-3769-2856「SUUMO(スーモ)を見た」と問い合わせください | Land of the right form 土地の権利形態 | | Ownership 所有権 | Time delivery 引き渡し時期 | | Immediate delivery allowed 即引渡し可 | Land category 地目 | | Residential land 宅地 | Use district 用途地域 | | One low-rise 1種低層 | Other limitations その他制限事項 | | Regulations have by the Law for the Protection of Cultural Properties 文化財保護法による規制有 | Overview and notices その他概要・特記事項 | | Facilities: Public Water Supply, This sewage, Individual LPG 設備:公営水道、本下水、個別LPG | Company profile 会社概要 | | <Mediation> Minister of Land, Infrastructure and Transport (1) the first 008,142 No. Ricoh Creative Service Co., Ltd. Building headquarters real estate section Yubinbango105-0014 Shiba, Minato-ku, Tokyo 1-9-3 <仲介>国土交通大臣(1)第008142号リコークリエイティブサービス(株)建築本部 不動産部〒105-0014 東京都港区芝1-9-3 |
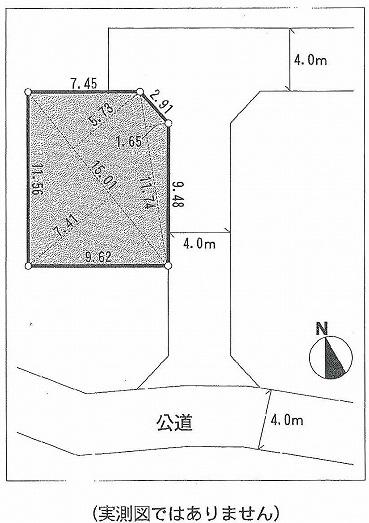
Compartment figure区画図  Land price 7.5 million yen, Land area 108.3 sq m
土地価格750万円、土地面積108.3m2
Local land photo現地土地写真  Local (September 2013) Shooting
現地(2013年9月)撮影
Local photos, including front road前面道路含む現地写真  Local (September 2013) Shooting
現地(2013年9月)撮影
Other localその他現地  Local (September 2013) Shooting
現地(2013年9月)撮影
 Local (September 2013) Shooting
現地(2013年9月)撮影
Location
|