Land/Building » Kanto » Kanagawa Prefecture » Hiratsuka


Hiratsuka, Kanagawa Prefecture
JR Tokaido Line "Hiratsuka" bus 20 BunShinKaoru Ayumi Teramae 3 minutes
No construction conditions, You can architecture in your favorite House manufacturer.
Features pickup
Super close / Yang per good / Siemens south road / No construction conditions
Price
16.5 million yen
Building coverage, floor area ratio
60% ・ 200%
Sales compartment
1 compartment
Land area
133.31 sq m
Driveway burden-road
Nothing, South 4.5m width, East 4.5m width
Land situation
Vacant lot
Address
Hiratsuka, Kanagawa Prefecture Okami
Traffic
JR Tokaido Line "Hiratsuka" bus 20 BunShinKaoru Ayumi Teramae 3 minutes
Related links
[Related Sites of this company]
Contact
(Yes) nest TEL: 0800-603-2752 [Toll free] mobile phone ・ Also available from PHS
Caller ID is not notified
Please contact the "saw SUUMO (Sumo)"
If it does not lead, If the real estate company
Land of the right form
Ownership
Time delivery
2014 end of January schedule
Land category
Residential land
Use district
One dwelling
Other limitations
Regulations have by the Law for the Protection of Cultural Properties, Regulations have by the Landscape Act, Height district, Quasi-fire zones
Overview and notices
Facilities: Public Water Supply, This sewage, Individual LPG
Company profile
<Mediation> Governor of Kanagawa Prefecture (3) No. 023355 (with) nest Yubinbango254-0063 Hiratsuka, Kanagawa Prefecture Suwa-cho, 14-44


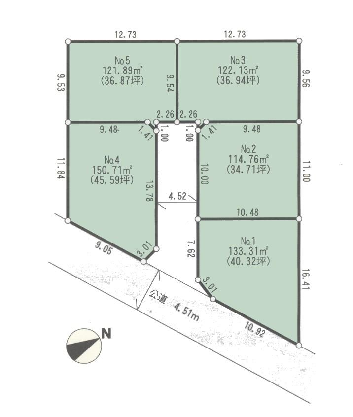
Compartment figure

Compartment figure. Land price 16.5 million yen, Land area 133.31 sq m
Land price 16.5 million yen, Land area 133.31 sq m

Supermarket

Supermarket. 157m until Shimamura store Okami shop
157m until Shimamura store Okami shop

Convenience store

Convenience store. Three F roadside 883m to Hiratsuka store
Three F roadside 883m to Hiratsuka store

Drug store

Drug store. Create es ・ Dee 344m until Hiratsuka Okami shop
Create es ・ Dee 344m until Hiratsuka Okami shop

Primary school

Primary school. 1610m until Hiratsuka Municipal Sagami Elementary School
1610m until Hiratsuka Municipal Sagami Elementary School



Location