23.8 million yen, 134.04 sq m
Land/Building » Kanto » Kanagawa Prefecture » Isehara
 
| | Isehara City, Kanagawa Prefecture 神奈川県伊勢原市 |
| Odawara Line Odakyu "Aiko Ishida" walk 6 minutes 小田急小田原線「愛甲石田」歩6分 |
| Vacant lot passes, Passes are available the same day. Please feel free to contact us. 更地渡し、即日渡し可能です。お気軽にお問い合わせください。 |
| Vacant lot passes, Immediate delivery Allowed, Flat terrain 更地渡し、即引渡し可、平坦地 |
Features pickup 特徴ピックアップ | | Vacant lot passes / Immediate delivery Allowed / Flat terrain 更地渡し /即引渡し可 /平坦地 | Price 価格 | | 23.8 million yen 2380万円 | Building coverage, floor area ratio 建ぺい率・容積率 | | 60% ・ 160% 60%・160% | Sales compartment 販売区画数 | | 1 compartment 1区画 | Land area 土地面積 | | 134.04 sq m 134.04m2 | Driveway burden-road 私道負担・道路 | | Nothing 無 | Land situation 土地状況 | | Vacant lot 更地 | Address 住所 | | Isehara, Kanagawa Prefecture Ishida 神奈川県伊勢原市石田 | Traffic 交通 | | Odawara Line Odakyu "Aiko Ishida" walk 6 minutes 小田急小田原線「愛甲石田」歩6分
| Related links 関連リンク | | [Related Sites of this company] 【この会社の関連サイト】 | Person in charge 担当者より | | Person in charge of real-estate and building real estate consulting skills registrant Hirasawa Satoru Age: 30s will be no matter how carefully so as to correspond to your anxiety of small customers. Please feel free to contact us. 担当者宅建不動産コンサルティング技能登録者平澤 悟年齢:30代どんなに小さなお客様のご不安にも丁寧に対応させていただきます。お気軽にご相談ください。 | Contact お問い合せ先 | | TEL: 0800-602-4998 [Toll free] mobile phone ・ Also available from PHS Caller ID is not notified Please contact the "saw SUUMO (Sumo)" If it does not lead, If the real estate company TEL:0800-602-4998【通話料無料】携帯電話・PHSからもご利用いただけます 発信者番号は通知されません 「SUUMO(スーモ)を見た」と問い合わせください つながらない方、不動産会社の方は
| Land of the right form 土地の権利形態 | | Ownership 所有権 | Time delivery 引き渡し時期 | | Immediate delivery allowed 即引渡し可 | Land category 地目 | | Residential land 宅地 | Use district 用途地域 | | One middle and high 1種中高 | Overview and notices その他概要・特記事項 | | Contact: Hirasawa Satoru 担当者:平澤 悟 | Company profile 会社概要 | | <Mediation> Minister of Land, Infrastructure and Transport (1) the first 008,392 No. Century 21 Taise housing Corporation Atsugi headquarters Yubinbango243-0018 Atsugi City, Kanagawa Prefecture Nakamachi 4-16-6 <仲介>国土交通大臣(1)第008392号センチュリー21タイセーハウジング(株)厚木本社〒243-0018 神奈川県厚木市中町4-16-6 |
Local land photo現地土地写真  Local (March 2013) Shooting
現地(2013年3月)撮影
 Local land photo
現地土地写真
 Local photos, including front road
前面道路含む現地写真
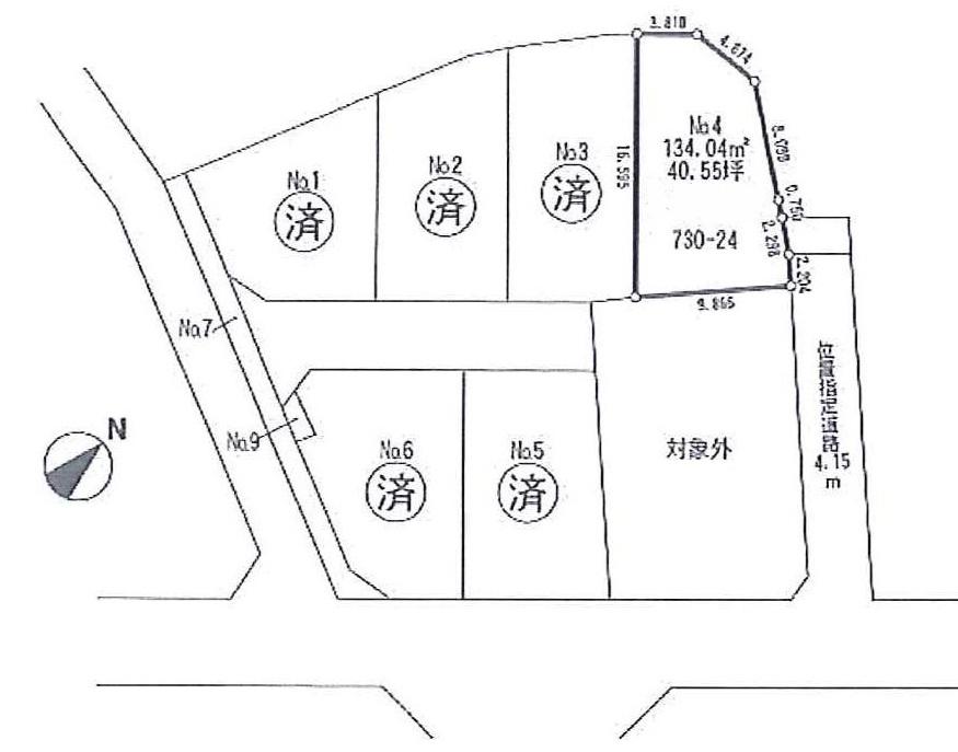
Compartment figure区画図  Land price 23.8 million yen, Land area 134.04 sq m
土地価格2380万円、土地面積134.04m2
 Local photos, including front road
前面道路含む現地写真
Convenience storeコンビニ  172m until Thanksgiving Aiko Ishida Ekimae
サンクス愛甲石田駅前店まで172m
Building plan example (introspection photo)建物プラン例(内観写真) ![Building plan example (introspection photo). [Our construction cases] Contract construction plan.](/images/kanagawa/isehara/6952830008.jpg) [Our construction cases] Contract construction plan.
【当社施工例】建築プラン請け負います。
 Our construction cases
【当社施工例】
Location
|