|
|
Odawara, Kanagawa Prefecture
神奈川県小田原市
|
|
JR Tokaido Line "Kozu" walk 8 minutes
JR東海道本線「国府津」歩8分
|
|
Seishō Bypass Kozu inter up to about 200m.
西湘バイパス国府津インターまで約200m。
|
|
2 along the line more accessible, Immediate delivery Allowed, It is close to the city, Yang per good, Starting station, Shaping land, No construction conditions
2沿線以上利用可、即引渡し可、市街地が近い、陽当り良好、始発駅、整形地、建築条件なし
|
Features pickup 特徴ピックアップ | | 2 along the line more accessible / Immediate delivery Allowed / It is close to the city / Yang per good / Starting station / Shaping land / No construction conditions 2沿線以上利用可 /即引渡し可 /市街地が近い /陽当り良好 /始発駅 /整形地 /建築条件なし |
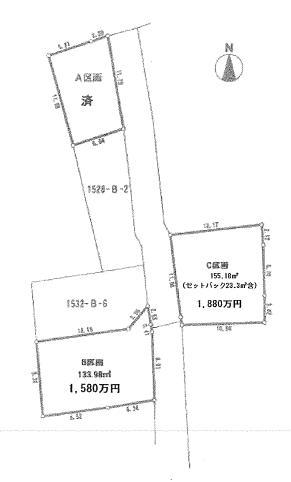
Price 価格 | | 18,800,000 yen 1880万円 |
Building coverage, floor area ratio 建ぺい率・容積率 | | 80% ・ 200% 80%・200% |
Sales compartment 販売区画数 | | 1 compartment 1区画 |
Land area 土地面積 | | 155.18 sq m (46.94 square meters) 155.18m2(46.94坪) |
Driveway burden-road 私道負担・道路 | | Nothing 無 |
Land situation 土地状況 | | Vacant lot 更地 |
Address 住所 | | Odawara, Kanagawa Prefecture Kozu 2 神奈川県小田原市国府津2 |
Traffic 交通 | | JR Tokaido Line "Kozu" walk 8 minutes JR Tokaido Line "Kamonomiya" walk 37 minutes JR Gotemba Line "Shimosoga" walk 46 minutes JR東海道本線「国府津」歩8分 JR東海道本線「鴨宮」歩37分 JR御殿場線「下曽我」歩46分
|
Contact お問い合せ先 | | TEL: 0800-603-0416 [Toll free] mobile phone ・ Also available from PHS Caller ID is not notified Please contact the "saw SUUMO (Sumo)" If it does not lead, If the real estate company TEL:0800-603-0416【通話料無料】携帯電話・PHSからもご利用いただけます 発信者番号は通知されません 「SUUMO(スーモ)を見た」と問い合わせください つながらない方、不動産会社の方は
|
Land of the right form 土地の権利形態 | | Ownership 所有権 |
Time delivery 引き渡し時期 | | Immediate delivery allowed 即引渡し可 |
Land category 地目 | | Residential land 宅地 |
Use district 用途地域 | | Residential 近隣商業 |
Other limitations その他制限事項 | | Building Standards Law Article 43 proviso permission required. Because the front road is not a road on the Building Standards Law. 建築基準法43条但書許可要。前面道路が建築基準法上の道路でない為。 |
Overview and notices その他概要・特記事項 | | Facilities: Public Water Supply, This sewage, Individual LPG 設備:公営水道、本下水、個別LPG |
Company profile 会社概要 | | <Mediation> Governor of Kanagawa Prefecture (9) No. 012904 No. Shonan Living Center Co., Ltd. Yubinbango250-0011 Odawara, Kanagawa Prefecture Sakae 1-2-1 Odawara Station building 8th floor <仲介>神奈川県知事(9)第012904号湘南リビングセンター(株)〒250-0011 神奈川県小田原市栄町1-2-1小田原駅前ビル8階 |