47,700,000 yen, 196.88 sq m
Land/Building » Kanto » Kanagawa Prefecture » Sagamihara Green Zone
 
| | Sagamihara City, Kanagawa Prefecture Midori-ku 神奈川県相模原市緑区 |
| JR Yokohama Line "Hashimoto" walk 5 minutes JR横浜線「橋本」歩5分 |
Price 価格 | | 47,700,000 yen 4770万円 | Building coverage, floor area ratio 建ぺい率・容積率 | | 80% ・ 400% 80%・400% | Sales compartment 販売区画数 | | 1 compartment 1区画 | Land area 土地面積 | | 196.88 sq m (registration) 196.88m2(登記) | Driveway burden-road 私道負担・道路 | | Nothing 無 | Land situation 土地状況 | | Not construction 未造成 | Address 住所 | | Sagamihara City, Kanagawa Prefecture Midori-ku Hashimoto 3 神奈川県相模原市緑区橋本3 | Traffic 交通 | | JR Yokohama Line "Hashimoto" walk 5 minutes JR Sagami Line "Hashimoto" walk 5 minutes JR横浜線「橋本」歩5分 JR相模線「橋本」歩5分
| Contact お問い合せ先 | | TEL: 0800-805-6216 [Toll free] mobile phone ・ Also available from PHS Caller ID is not notified Please contact the "saw SUUMO (Sumo)" If it does not lead, If the real estate company TEL:0800-805-6216【通話料無料】携帯電話・PHSからもご利用いただけます 発信者番号は通知されません 「SUUMO(スーモ)を見た」と問い合わせください つながらない方、不動産会社の方は
| Land of the right form 土地の権利形態 | | Ownership 所有権 | Time delivery 引き渡し時期 | | Consultation 相談 | Land category 地目 | | Residential land 宅地 | Use district 用途地域 | | Commerce 商業 | Other limitations その他制限事項 | | Current state / Parking Lot Hashimoto Station parking lot maintenance district 現況/駐車場 橋本駅周辺駐車場整備地区 | Company profile 会社概要 | | <Mediation> Minister of Land, Infrastructure and Transport (3) The 006,183 No. housing Information Center Hashimoto store Seongnam Construction (Ltd.) Yubinbango252-0132 Sagamihara, Kanagawa-ku, green Hashimotodai 1-9-7 <仲介>国土交通大臣(3)第006183号住宅情報館 橋本店城南建設(株)〒252-0132 神奈川県相模原市緑区橋本台1-9-7 |
Local land photo現地土地写真  Local Photos
現地写真
 Local Photos
現地写真
 Local Photos
現地写真
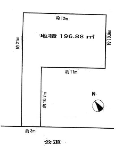
Compartment figure区画図  Land price 47,700,000 yen, Land area 196.88 sq m compartment view
土地価格4770万円、土地面積196.88m2 区画図
Local land photo現地土地写真  Local Photos
現地写真
 Local Photos
現地写真
Location
|