|
|
Yamato-shi, Kanagawa
神奈川県大和市
|
|
Denentoshi Tokyu "Chuorinkan" walk 11 minutes
東急田園都市線「中央林間」歩11分
|
|
It is a quiet residential area but, Commercial facilities there within walking distance, This is useful in life.
閑静な住宅街ですが、徒歩圏に商業施設が有り、生活に便利です。
|
|
Since there is no building conditions, You can architecture at your favorite House manufacturer.
建築条件はありませんので、お好きなハウスメーカーにて建築できます。
|
Features pickup 特徴ピックアップ | | 2 along the line more accessible / Super close / Yang per good / Flat to the station / A quiet residential area / Or more before road 6m / Starting station / Flat terrain 2沿線以上利用可 /スーパーが近い /陽当り良好 /駅まで平坦 /閑静な住宅地 /前道6m以上 /始発駅 /平坦地 |
Price 価格 | | 33 million yen 3300万円 |
Building coverage, floor area ratio 建ぺい率・容積率 | | 60% ・ 200% 60%・200% |
Sales compartment 販売区画数 | | 1 compartment 1区画 |
Total number of compartments 総区画数 | | 2 compartment 2区画 |
Land area 土地面積 | | 114.69 sq m 114.69m2 |
Driveway burden-road 私道負担・道路 | | Nothing, East 7.2m width (contact the road width 7.2m) 無、東7.2m幅(接道幅7.2m) |
Land situation 土地状況 | | Vacant lot 更地 |
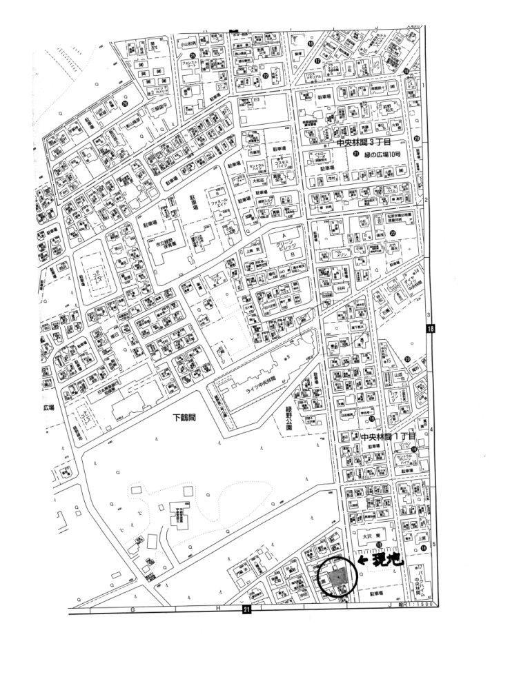
Address 住所 | | Yamato-shi, Kanagawa Chuorinkan west 4 神奈川県大和市中央林間西4 |
Traffic 交通 | | Denentoshi Tokyu "Chuorinkan" walk 11 minutes Enoshima Odakyu "Minamirinkan" walk 15 minutes Enoshima Odakyu "Tsuruma" walk 23 minutes 東急田園都市線「中央林間」歩11分 小田急江ノ島線「南林間」歩15分 小田急江ノ島線「鶴間」歩23分
|
Person in charge 担当者より | | [Regarding this property.] It is a quiet residential area but, This is useful in life because there is a commercial facility within walking distance. 【この物件について】閑静な住宅街ですが、徒歩圏に商業施設があるため生活に便利です。 |
Contact お問い合せ先 | | (Ltd.) Rains TEL: 0800-601-4884 [Toll free] mobile phone ・ Also available from PHS Caller ID is not notified Please contact the "saw SUUMO (Sumo)" If it does not lead, If the real estate company (株)レインズTEL:0800-601-4884【通話料無料】携帯電話・PHSからもご利用いただけます 発信者番号は通知されません 「SUUMO(スーモ)を見た」と問い合わせください つながらない方、不動産会社の方は
|
Land of the right form 土地の権利形態 | | Ownership 所有権 |
Time delivery 引き渡し時期 | | Consultation 相談 |
Land category 地目 | | Residential land 宅地 |
Use district 用途地域 | | One dwelling 1種住居 |
Other limitations その他制限事項 | | Regulations have by the Aviation Law, Quasi-fire zones 航空法による規制有、準防火地域 |
Company profile 会社概要 | | <Seller> Kanagawa Governor (6) Article 018 453 issue (stock) Rains Yubinbango252-0318 Sagamihara City, Kanagawa Prefecture, Minami-ku, Kamitsuruma Honcho 5-24-23 <売主>神奈川県知事(6)第018453号(株)レインズ〒252-0318 神奈川県相模原市南区上鶴間本町5-24-23 |