55,800,000 yen, 231.39 sq m
Land/Building » Kanto » Kanagawa Prefecture » Kohoku-ku, Yokohama
 
| | Yokohama-shi, Kanagawa-ku, Kohoku 神奈川県横浜市港北区 |
| Tokyu Toyoko Line "Myorenji" walk 8 minutes 東急東横線「妙蓮寺」歩8分 |
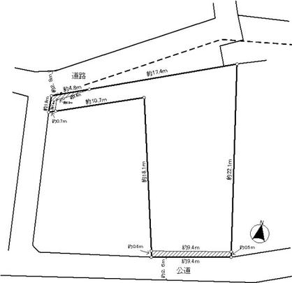
Price 価格 | | 55,800,000 yen 5580万円 | Building coverage, floor area ratio 建ぺい率・容積率 | | Fifty percent ・ Hundred percent 50%・100% | Sales compartment 販売区画数 | | 1 compartment 1区画 | Land area 土地面積 | | 231.39 sq m (registration) 231.39m2(登記) | Driveway burden-road 私道負担・道路 | | Nothing, North 2.8m width (contact the road width 17.4m), South 2.6m width 無、北2.8m幅(接道幅17.4m)、南2.6m幅 | Land situation 土地状況 | | Furuya There 古家有り | Address 住所 | | Yokohama-shi, Kanagawa-ku, Kohoku Nakatehara 2 神奈川県横浜市港北区仲手原2 | Traffic 交通 | | Tokyu Toyoko Line "Myorenji" walk 8 minutes 東急東横線「妙蓮寺」歩8分
| Person in charge 担当者より | | Rep Hamada Tsuyoshidai 担当者浜田 剛大 | Contact お問い合せ先 | | Sumitomo Real Estate Sales Co., Ltd. Tsunashima business center TEL: 045-544-1351 Please inquire as "saw SUUMO (Sumo)" 住友不動産販売(株)綱島営業センターTEL:045-544-1351「SUUMO(スーモ)を見た」と問い合わせください | Land of the right form 土地の権利形態 | | Ownership 所有権 | Time delivery 引き渡し時期 | | Consultation 相談 | Land category 地目 | | Residential land 宅地 | Use district 用途地域 | | One low-rise 1種低層 | Other limitations その他制限事項 | | / Land area: set-back partial area 7.96m2 needed, including an alley-like partial area 16.52m2 / Terrain: Hinadan /土地面積:セットバック部分面積7.96m2要,路地状部分面積16.52m2含む/地勢:ひな段 | Overview and notices その他概要・特記事項 | | Contact: Hamada Tsuyoshidai 担当者:浜田 剛大 | Company profile 会社概要 | | <Mediation> Minister of Land, Infrastructure and Transport (11) No. 002077 (one company) Real Estate Association (Corporation) metropolitan area real estate Fair Trade Council member Sumitomo Real Estate Sales Co., Ltd. Tsunashima business center Yubinbango223-0052 Yokohama-shi, Kanagawa-ku, Kohoku Tsunashimahigashi 1-1-18 Kashima building the third floor <仲介>国土交通大臣(11)第002077号(一社)不動産協会会員 (公社)首都圏不動産公正取引協議会加盟住友不動産販売(株)綱島営業センター〒223-0052 神奈川県横浜市港北区綱島東1-1-18鹿島ビル3階 |
Local land photo現地土地写真  North road and the entrance part
北側道路と玄関部分
 Compartment figure
区画図
Location
|