|
|
Kanagawa Prefecture, Nishi-ku, Yokohama-shi
神奈川県横浜市西区
|
|
JR Tokaido Line "Yokohama" walk 20 minutes
JR東海道本線「横浜」歩20分
|
|
2 along the line more accessible, Immediate delivery Allowed, Yang per good, A quiet residential area, Around traffic fewer, No construction conditions, Leafy residential area, Good view, City gas
2沿線以上利用可、即引渡し可、陽当り良好、閑静な住宅地、周辺交通量少なめ、建築条件なし、緑豊かな住宅地、眺望良好、都市ガス
|
|
■ Building conditions There is no ■ South terraced ■ Per yang, Good view
■建築条件は御座いません■南側ひな壇■陽当たり、眺望良好
|
Features pickup 特徴ピックアップ | | 2 along the line more accessible / Immediate delivery Allowed / Yang per good / A quiet residential area / Around traffic fewer / No construction conditions / Leafy residential area / Good view / City gas 2沿線以上利用可 /即引渡し可 /陽当り良好 /閑静な住宅地 /周辺交通量少なめ /建築条件なし /緑豊かな住宅地 /眺望良好 /都市ガス |
Price 価格 | | 39,800,000 yen 3980万円 |
Building coverage, floor area ratio 建ぺい率・容積率 | | 60% ・ Hundred percent 60%・100% |
Sales compartment 販売区画数 | | 1 compartment 1区画 |
Total number of compartments 総区画数 | | 4 compartments 4区画 |
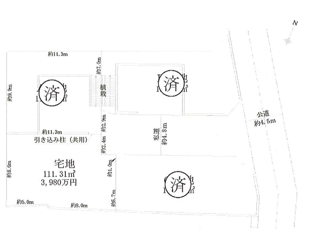
Land area 土地面積 | | 111.31 sq m (33.67 square meters) 111.31m2(33.67坪) |
Driveway burden-road 私道負担・道路 | | Share equity 89 sq m × (1 / 4), East 4.8m width 共有持分89m2×(1/4)、東4.8m幅 |
Land situation 土地状況 | | Vacant lot 更地 |
Address 住所 | | Kanagawa Prefecture, Nishi-ku, Yokohama-shi Miyagaya 神奈川県横浜市西区宮ケ谷 |
Traffic 交通 | | JR Tokaido Line "Yokohama" walk 20 minutes Blue Line "Mitsuzawakami town" walk 16 minutes Sagami Railway Main Line "Hoshikawa" walk 24 minutes JR東海道本線「横浜」歩20分 ブルーライン「三ツ沢上町」歩16分 相鉄本線「星川」歩24分
|
Related links 関連リンク | | [Related Sites of this company] 【この会社の関連サイト】 |
Person in charge 担当者より | | Person in charge of real-estate and building Matsumoto Eisuke Age: 30 Daigyokai Experience: Matsumoto of 5 years sales manager. Yokohama style will follow you in the settlement business representatives and two system. All Yokohama style website http / / Please refer to the www.yokohama-style.jp. 担当者宅建松本 英輔年齢:30代業界経験:5年営業課長の松本です。横浜スタイルは決済業務担当と2名体制でお客様をフォロー致します。全ては横浜スタイルホームページhttp://www.yokohama-style.jpをご覧下さい。 |
Contact お問い合せ先 | | TEL: 0800-603-8210 [Toll free] mobile phone ・ Also available from PHS Caller ID is not notified Please contact the "saw SUUMO (Sumo)" If it does not lead, If the real estate company TEL:0800-603-8210【通話料無料】携帯電話・PHSからもご利用いただけます 発信者番号は通知されません 「SUUMO(スーモ)を見た」と問い合わせください つながらない方、不動産会社の方は
|
Land of the right form 土地の権利形態 | | Ownership 所有権 |
Time delivery 引き渡し時期 | | Immediate delivery allowed 即引渡し可 |
Land category 地目 | | Residential land 宅地 |
Use district 用途地域 | | One low-rise 1種低層 |
Other limitations その他制限事項 | | Quasi-fire zones, Site area minimum Yes 準防火地域、敷地面積最低限度有 |
Overview and notices その他概要・特記事項 | | Contact: Matsumoto Eisuke, Facilities: Public Water Supply, This sewage, City gas, Underground garage 担当者:松本 英輔、設備:公営水道、本下水、都市ガス、地下車庫 |
Company profile 会社概要 | | <Mediation> Kanagawa Governor (2) the first 026,300 No. Yokohama style (Ltd.) NIKKEIyubinbango231-0047 Yokohama-shi, Kanagawa, Naka-ku, robe-cho 2-4-4 Yokohama RK building 8th floor <仲介>神奈川県知事(2)第026300号横浜スタイル(株)NIKKEI〒231-0047 神奈川県横浜市中区羽衣町2-4-4 横浜RKビル8階 |