Land/Building » Kanto » Kanagawa Prefecture » Zama City


Zama City, Kanagawa Prefecture
Sagami Railway Main Line "Sagamino" walk 22 minutes
■ Development subdivision All 7 compartment! ■ No construction conditions! Please be building in your favorite manufacturer. ■ Sotetsu Line "Sagamino" station walk 22 minutes! ■ Odakyu line "Zama" station walk 22 minutes!
◆ ◇ ◆ ◇ You can use 2 Station ◆ ◇ ◆ ◇
Features pickup
2 along the line more accessible / No construction conditions / Development subdivision in
Price
15.3 million yen ~ 16.8 million yen
Building coverage, floor area ratio
Kenpei rate: 50%, Volume ratio: 100%
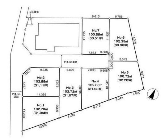
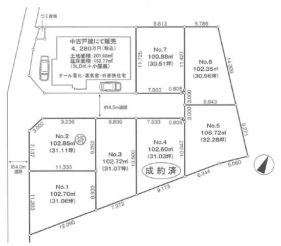
Sales compartment
2 compartment
Total number of compartments
7 compartment
Land area
100.88 sq m ~ 102.85 sq m
Land situation
Vacant lot
Address
Zama City, Kanagawa Prefecture Kuriharachuo 3-31-44
Traffic
Sagami Railway Main Line "Sagamino" walk 22 minutes
Odawara Line Odakyu "Zama" walk 22 minutes
Person in charge
The person in charge Sato Hironobu Age: engaged 15 years in the 40's real estate, So we have experienced the bad times when good economic, Property of the good or bad ・ Mortgage, etc., I think that it is a variety of advice. Please feel free to ask. To achieve the dream of form.
Contact
TEL: 0800-809-8568 [Toll free] mobile phone ・ Also available from PHS
Caller ID is not notified
Please contact the "saw SUUMO (Sumo)"
If it does not lead, If the real estate company
Land of the right form
Ownership
Time delivery
Consultation
Land category
Residential land
Use district
One low-rise
Overview and notices
Contact Person Sato Hironobu, Facilities: Public Water Supply, This sewage, Tokyo Electric Power Co.
Company profile
<Mediation> Kanagawa Governor (2) No. 026848 (Corporation) All Japan Real Estate Association (Corporation) metropolitan area real estate Fair Trade Council member Century 21 (Ltd.) Hilo Corporation Yubinbango243-0432 Ebina, Kanagawa Prefecture center 2-9-1


Local photos, including front road

Local photos, including front road. Local (10 May 2013) Shooting
Local (10 May 2013) Shooting

Other

Other. Compartment figure
Compartment figure

Local land photo

Local land photo. Local (10 May 2013) Shooting
Local (10 May 2013) Shooting

Primary school

Primary school. Zama City 929m to stand Kurihara elementary school
Zama City 929m to stand Kurihara elementary school

The entire compartment Figure
The entire compartment Figure

Junior high school

Junior high school. Zama City 956m to stand Kurihara Junior High School
Zama City 956m to stand Kurihara Junior High School

Supermarket

Supermarket. 841m to Super Ozeki Zama shop
841m to Super Ozeki Zama shop

Hospital

Hospital. Zama until Welfare Hospital 1451m
Zama until Welfare Hospital 1451m

Park

park. 1107m until Prefectural Zama Yato Mountain Park
1107m until Prefectural Zama Yato Mountain Park

park. Until KanigaSawa park 1893m
Until KanigaSawa park 1893m



Location