|
|
Kanagawa Prefecture Zushi
神奈川県逗子市
|
|
JR Yokosuka Line "Zushi" 12 minutes Seiyu store before walking 4 minutes by bus
JR横須賀線「逗子」バス12分西友ストアー前歩4分
|
|
Land 50 square meters or more, No construction conditions, A quiet residential area, Or more before road 6m, Starting station, Leafy residential area, Development subdivision in
土地50坪以上、建築条件なし、閑静な住宅地、前道6m以上、始発駅、緑豊かな住宅地、開発分譲地内
|
|
Kamakura Zushi Highland subdivision within
鎌倉逗子ハイランド分譲地内
|
Features pickup 特徴ピックアップ | | Land 50 square meters or more / A quiet residential area / Or more before road 6m / Starting station / No construction conditions / Leafy residential area / Development subdivision in 土地50坪以上 /閑静な住宅地 /前道6m以上 /始発駅 /建築条件なし /緑豊かな住宅地 /開発分譲地内 |
Event information イベント情報 | | Local sales meetings (please visitors to direct local) schedule / January 11 (Saturday) ~ January 13 (Monday) Time / 11:00 ~ Your visitors 16:00 everyone, We look forward to! 現地販売会(直接現地へご来場ください)日程/1月11日(土曜日) ~ 1月13日(月曜日)時間/11:00 ~ 16:00皆様のご来場を、お待ちしております! |
Price 価格 | | 32,800,000 yen ・ 33,800,000 yen 3280万円・3380万円 |
Building coverage, floor area ratio 建ぺい率・容積率 | | Building coverage: 50%, Volume ratio: 100% 建ぺい率:50%、容積率:100% |
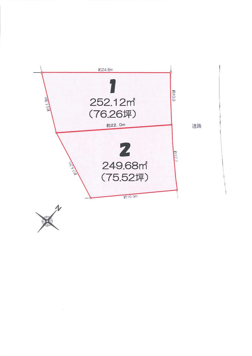
Sales compartment 販売区画数 | | 2 compartment 2区画 |
Land area 土地面積 | | 249.68 sq m ・ 252.12 sq m (75.52 tsubo ・ 76.26 square meters) 249.68m2・252.12m2(75.52坪・76.26坪) |
Driveway burden-road 私道負担・道路 | | Public road About 8m 公道 約8m |
Land situation 土地状況 | | Vacant lot 更地 |
Construction completion time 造成完了時期 | | Completed 完了済 |
Address 住所 | | Kanagawa Prefecture Zushi Hisaki 8-1397 No. 335 神奈川県逗子市久木8-1397番335他 |
Traffic 交通 | | JR Yokosuka Line "Zushi" 12 minutes Seiyu store before walking 4 minutes by bus JR横須賀線「逗子」バス12分西友ストアー前歩4分
|
Related links 関連リンク | | [Related Sites of this company] 【この会社の関連サイト】 |
Contact お問い合せ先 | | (Ltd.) Seibu property's Yokosuka office TEL: 0120-198150 [Toll free] Please contact the "saw SUUMO (Sumo)" (株)西武プロパティーズ横須賀営業所TEL:0120-198150【通話料無料】「SUUMO(スーモ)を見た」と問い合わせください |
Sale schedule 販売スケジュール | | First-come-first-served basis sale! Please pardon the case of the application already. 先着順販売中!申込済の場合はご容赦ください。 |
Expenses 諸費用 | | Other expenses: autonomy fee: annual 4200 yen その他諸費用:自治会費:年額4200円 |
Land of the right form 土地の権利形態 | | Ownership 所有権 |
Time delivery 引き渡し時期 | | Consultation 相談 |
Land category 地目 | | Residential land 宅地 |
Use district 用途地域 | | One low-rise 1種低層 |
Other limitations その他制限事項 | | Regulations have by the Law for the Protection of Cultural Properties, Residential land development construction regulation area, Zushi Highland building agreement (voluntary agreements), Landslide warning area 文化財保護法による規制有、宅地造成工事規制区域、逗子ハイランド建築協定(自主協定)、土砂災害警戒区域 |
Overview and notices その他概要・特記事項 | | Facilities: TEPCO, Public Water Supply, This sewage, City gas 設備:東京電力、公営水道、本下水、都市ガス |
Company profile 会社概要 | | <Marketing alliance (agency)> Minister of Land, Infrastructure and Transport (2) No. 006999 (Ltd.) Seibu property's Yokosuka office Yubinbango237-0066 Yokosuka, Kanagawa Prefecture Shonantakatori 4-5-2 <販売提携(代理)>国土交通大臣(2)第006999号(株)西武プロパティーズ横須賀営業所〒237-0066 神奈川県横須賀市湘南鷹取4-5-2 |