Land/Building » Kanto » Saitama Prefecture » Ageo


Saitama Prefecture Ageo
JR Utsunomiya Line "Higashiomiya" walk 20 minutes
Corner lot, 2 along the line more accessible, Around traffic fewer, Leafy residential area, Yang per good, Immediate delivery Allowed
━━━━━━ current Earth Le Po Over To ━━━━━━━┃1. . ┃2. ! ┃3. ! ┃4. . We propose the best payment plan to ━━━━━━━━━━━━━━━━━━━━━━━━ customers. ▼▼ payment example ▼▼ mortgage: monthly 38,884 yen (down payment: $ 0 ・ Bonus pay $ 0.00) ※ Saitama Resona Bank other (14.3 million yen ・ 420 times ・ 0.775%)
Features pickup
2 along the line more accessible / Immediate delivery Allowed / Yang per good / Around traffic fewer / Corner lot / Leafy residential area
Price
14.3 million yen
Building coverage, floor area ratio
60% ・ 80%
Sales compartment
1 compartment
Land area
134.63 sq m (40.72 tsubo) (Registration)
Driveway burden-road
Nothing, Southeast 4m width, Southwest 4m width
Land situation
Vacant lot
Address
Saitama Prefecture Ageo Oaza tiled
Traffic
JR Utsunomiya Line "Higashiomiya" walk 20 minutes
Saitama new urban transportation Inasen "Shonan" walk 37 minutes
Saitama new urban transportation Inasen "Changwon" walk 38 minutes
Related links
[Related Sites of this company]
Person in charge
[Regarding this property.] More than 10m will be located in low-rise area that can not be building. Please come by all means feel free to look at the corner is because it is a beautiful southeast and southwest corner lot of 40 square meters facing the south.
Contact
TEL: 0800-602-7619 [Toll free] mobile phone ・ Also available from PHS
Caller ID is not notified
Please contact the "saw SUUMO (Sumo)"
If it does not lead, If the real estate company
Land of the right form
Ownership
Time delivery
Immediate delivery allowed
Land category
field
Use district
One low-rise
Other limitations
Regulations have by the Law for the Protection of Cultural Properties
Overview and notices
Facilities: Public Water Supply, Individual septic tank, Individual LPG
Company profile
<Mediation> Saitama Governor (4) No. 018501 (Corporation) All Japan Real Estate Association (Corporation) metropolitan area real estate Fair Trade Council member THR housing distribution Group Co., Ltd. My Home radar Saitama business 2 Division Yubinbango337-0051 Saitama Minuma Ku Higashiomiya 5-40-18


Local photos, including front road

Local photos, including front road. Green is a rich residential area (November 2013) Shooting
Green is a rich residential area (November 2013) Shooting

Local land photo

Local land photo. Corner lot of 4m × 4m (11 May 2013) Shooting
Corner lot of 4m × 4m (11 May 2013) Shooting

Local land photo. Southeast side of the road is the development scheduled for completion in Ageo in 2015 (November 2013) Shooting
Southeast side of the road is the development scheduled for completion in Ageo in 2015 (November 2013) Shooting

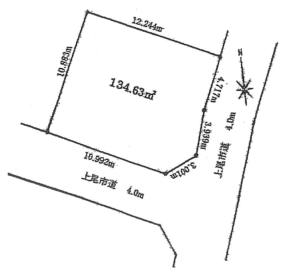
Compartment figure

Compartment figure. Land price 14.3 million yen, Land area 134.63 sq m
Land price 14.3 million yen, Land area 134.63 sq m

Primary school

Primary school. Ageo Municipal tiled 300m up to elementary school
Ageo Municipal tiled 300m up to elementary school

Junior high school

Junior high school. Ageo Municipal tiled up to junior high school 850m
Ageo Municipal tiled up to junior high school 850m

Kindergarten ・ Nursery

kindergarten ・ Nursery. 550m to Ageo Municipal tiled nursery
550m to Ageo Municipal tiled nursery

kindergarten ・ Nursery. Oyamadai 900m to kindergarten
Oyamadai 900m to kindergarten

kindergarten ・ Nursery. Haruoka 806m to kindergarten
Haruoka 806m to kindergarten

Supermarket

Supermarket. 700m until dry Chi Oyamadai shop
700m until dry Chi Oyamadai shop



Location