|
|
Saitama Prefecture Fukaya
埼玉県深谷市
|
|
JR Takasaki Line "Fukaya" walk 22 minutes
JR高崎線「深谷」歩22分
|
|
With building conditions! A quiet residential area!
建築条件付!閑静な住宅街!
|
|
Land spacious 70 square meters!
土地広々70坪!
|
Features pickup 特徴ピックアップ | | Land 50 square meters or more 土地50坪以上 |
Price 価格 | | 8 million yen 800万円 |
Building coverage, floor area ratio 建ぺい率・容積率 | | Fifty percent ・ 80% 50%・80% |
Sales compartment 販売区画数 | | 1 compartment 1区画 |
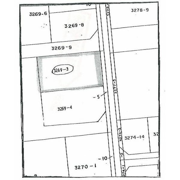
Land area 土地面積 | | 228 sq m (68.96 tsubo) (Registration) 228m2(68.96坪)(登記) |
Driveway burden-road 私道負担・道路 | | Nothing, East 4m width (contact the road width 10.9m) 無、東4m幅(接道幅10.9m) |
Land situation 土地状況 | | Vacant lot 更地 |
Address 住所 | | Saitama Prefecture Fukaya Uwanodai 埼玉県深谷市上野台 |
Traffic 交通 | | JR Takasaki Line "Fukaya" walk 22 minutes JR高崎線「深谷」歩22分
|
Contact お問い合せ先 | | TEL: 0800-603-2214 [Toll free] mobile phone ・ Also available from PHS Caller ID is not notified Please contact the "saw SUUMO (Sumo)" If it does not lead, If the real estate company TEL:0800-603-2214【通話料無料】携帯電話・PHSからもご利用いただけます 発信者番号は通知されません 「SUUMO(スーモ)を見た」と問い合わせください つながらない方、不動産会社の方は
|
Land of the right form 土地の権利形態 | | Ownership 所有権 |
Building condition 建築条件 | | With 付 |
Time delivery 引き渡し時期 | | Consultation 相談 |
Land category 地目 | | Residential land 宅地 |
Use district 用途地域 | | One low-rise 1種低層 |
Overview and notices その他概要・特記事項 | | Facilities: Public Water Supply, Individual septic tank, Individual LPG 設備:公営水道、個別浄化槽、個別LPG |
Company profile 会社概要 | | <Mediation> Saitama Governor (4) The 016,997 No. Pitattohausu Fukaya store (stock) at Holmes Yubinbango366-0824 Saitama Prefecture Fukaya Nishijima-cho 3-1-6 <仲介>埼玉県知事(4)第016997号ピタットハウス深谷店(株)アットホームズ〒366-0824 埼玉県深谷市西島町3-1-6 |