|
|
Saitama Prefecture Iruma
埼玉県入間市
|
|
Seibu Ikebukuro Line "Musashi Fujisawa" walk 19 minutes
西武池袋線「武蔵藤沢」歩19分
|
Features pickup 特徴ピックアップ | | Immediate delivery Allowed / It is close to golf course / Super close / It is close to the city / Yang per good / A quiet residential area / Around traffic fewer / Or more before road 6m / No construction conditions / Leafy residential area / Good view / City gas / Maintained sidewalk / Flat terrain / Development subdivision in 即引渡し可 /ゴルフ場が近い /スーパーが近い /市街地が近い /陽当り良好 /閑静な住宅地 /周辺交通量少なめ /前道6m以上 /建築条件なし /緑豊かな住宅地 /眺望良好 /都市ガス /整備された歩道 /平坦地 /開発分譲地内 |
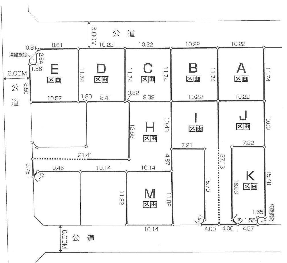
Price 価格 | | 17.8 million yen ~ 23.8 million yen 1780万円 ~ 2380万円 |
Building coverage, floor area ratio 建ぺい率・容積率 | | Kenpei rate: 60%, Volume ratio: 200% (development site, There district plan) 建ペい率:60%、容積率:200%(開発現場、地区計画有り) |
Sales compartment 販売区画数 | | 10 compartment 10区画 |
Total number of compartments 総区画数 | | 15 compartment 15区画 |
Land area 土地面積 | | 120.01 sq m ~ 203.06 sq m (36.30 tsubo ~ 61.42 tsubo) (measured) 120.01m2 ~ 203.06m2(36.30坪 ~ 61.42坪)(実測) |
Driveway burden-road 私道負担・道路 | | Road width: 6m, Asphaltic pavement 道路幅:6m、アスファルト舗装 |
Land situation 土地状況 | | Vacant lot 更地 |
Construction completion time 造成完了時期 | | Completion 完了 |
Address 住所 | | Saitama Prefecture Iruma Higashi 6-9-1 埼玉県入間市東町6-9-1 |
Traffic 交通 | | Seibu Ikebukuro Line "Musashi Fujisawa" walk 19 minutes Seibu Ikebukuro Line "Iruma" walk 23 minutes 西武池袋線「武蔵藤沢」歩19分 西武池袋線「入間市」歩23分
|
Related links 関連リンク | | [Related Sites of this company] 【この会社の関連サイト】 |
Contact お問い合せ先 | | TEL: 0800-603-0804 [Toll free] mobile phone ・ Also available from PHS Caller ID is not notified Please contact the "saw SUUMO (Sumo)" If it does not lead, If the real estate company TEL:0800-603-0804【通話料無料】携帯電話・PHSからもご利用いただけます 発信者番号は通知されません 「SUUMO(スーモ)を見た」と問い合わせください つながらない方、不動産会社の方は
|
Most price range 最多価格帯 | | 17 million yen ・ 18 million yen ・ 19 million yen ・ 20 million yen ・ 23 million yen 17 million yen (4 each compartment) 1700万円台・1800万円台・1900万円台・2000万円台・2300万円台1700万円台(各4区画) |
Land of the right form 土地の権利形態 | | Ownership 所有権 |
Time delivery 引き渡し時期 | | Immediate delivery allowed 即引渡し可 |
Land category 地目 | | field 畑 |
Use district 用途地域 | | One middle and high 1種中高 |
Overview and notices その他概要・特記事項 | | Facilities: Public Water Supply, This sewage, City gas, Construction completion, Buried already, Development permit number: No. 24-44 設備:公営水道、本下水、都市ガス、造成完了、埋設済、開発許可番号:第24-44号 |
Company profile 会社概要 | | <Mediation> Saitama Governor (10) No. 008534 (Corporation) Prefecture Building Lots and Buildings Transaction Business Association (Corporation) metropolitan area real estate Fair Trade Council member ERA Sayama Real Estate Co., Ltd. Iruma Yubinbango358-0003 Saitama Prefecture Iruma Toyooka 1-4-30 Castle Mansion Iruma Station first floor <仲介>埼玉県知事(10)第008534号(公社)埼玉県宅地建物取引業協会会員 (公社)首都圏不動産公正取引協議会加盟ERA狭山不動産(株)入間店〒358-0003 埼玉県入間市豊岡1-4-30 キャッスルマンション入間駅前1階 |