Land/Building » Kanto » Saitama Prefecture » Kawagoe
 
| | Kawagoe City Prefecture 埼玉県川越市 |
| JR Kawagoe Line "Minami Furuya" walk 22 minutes JR川越線「南古谷」歩22分 |
Price 価格 | | 15 million yen 1500万円 | Building coverage, floor area ratio 建ぺい率・容積率 | | 60% ・ 200% 60%・200% | Sales compartment 販売区画数 | | 1 compartment 1区画 | Total number of compartments 総区画数 | | 2 compartment 2区画 | Land area 土地面積 | | 207 sq m 207m2 | Driveway burden-road 私道負担・道路 | | Nothing 無 | Land situation 土地状況 | | Vacant lot 更地 | Address 住所 | | Kawagoe City Prefecture, Oaza Furuichiba 埼玉県川越市大字古市場 | Traffic 交通 | | JR Kawagoe Line "Minami Furuya" walk 22 minutes Tobu Tojo Line "Kamifukuoka" walk 28 minutes Tobu Tojo Line "Shingashi" walk 38 minutes JR川越線「南古谷」歩22分 東武東上線「上福岡」歩28分 東武東上線「新河岸」歩38分
| Contact お問い合せ先 | | TEL: 0800-808-9344 [Toll free] mobile phone ・ Also available from PHS Caller ID is not notified Please contact the "saw SUUMO (Sumo)" If it does not lead, If the real estate company TEL:0800-808-9344【通話料無料】携帯電話・PHSからもご利用いただけます 発信者番号は通知されません 「SUUMO(スーモ)を見た」と問い合わせください つながらない方、不動産会社の方は
| Land of the right form 土地の権利形態 | | Ownership 所有権 | Time delivery 引き渡し時期 | | Consultation 相談 | Land category 地目 | | Rice field 田 | Use district 用途地域 | | Urbanization control area 市街化調整区域 | Overview and notices その他概要・特記事項 | | Facilities: individual septic tank, Individual LPG, Building Permits reason: control area per building permit requirements 設備:個別浄化槽、個別LPG、建築許可理由:調整区域につき建築許可要 | Company profile 会社概要 | | <Mediation> Saitama Governor (2) the first 021,064 No. dream house (Ltd.) Yubinbango354-0021 Saitama Prefecture Fujimi Tsuruma 1-26-2 <仲介>埼玉県知事(2)第021064号夢住宅(株)〒354-0021 埼玉県富士見市鶴馬1-26-2 |
 Local land photo
現地土地写真
 Local land photo
現地土地写真
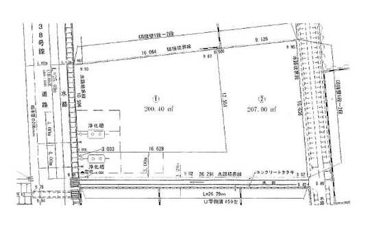
Compartment figure区画図  Land price 15 million yen, Land area 207 sq m
土地価格1500万円、土地面積207m2
 Local land photo
現地土地写真
Local photos, including front road前面道路含む現地写真  Local (February 2012) Shooting
現地(2012年2月)撮影
 Local (February 2012) Shooting
現地(2012年2月)撮影
Primary school小学校  South Furuya to elementary school 980m
南古谷小学校まで980m
Supermarketスーパー  Until the Ecos 870m
エコスまで870m
 1500m to Berg
ベルクまで1500m
Hospital病院  South Furuya to the hospital 1700m
南古谷病院まで1700m
Location
|