Land/Building » Kanto » Saitama Prefecture » Kawagoe


Kawagoe City Prefecture
Tobu Tojo Line "Tsurugashima" walk 29 minutes
All sections 70 square meters or more of the spacious grounds per, Day is good. Kawatsuru is a quiet residential area adjacent to the park. Please feel free to contact us.
Land 50 square meters or more, Vacant lot passes, Yang per good, A quiet residential area, Or more before road 6m, No construction conditions, City gas
Features pickup
Land 50 square meters or more / Vacant lot passes / Yang per good / A quiet residential area / Or more before road 6m / No construction conditions / City gas
Price
10 million yen ~ 14.5 million yen
Building coverage, floor area ratio
Kenpei rate: 60%, Volume ratio: 200%
Sales compartment
6 compartment
Land area
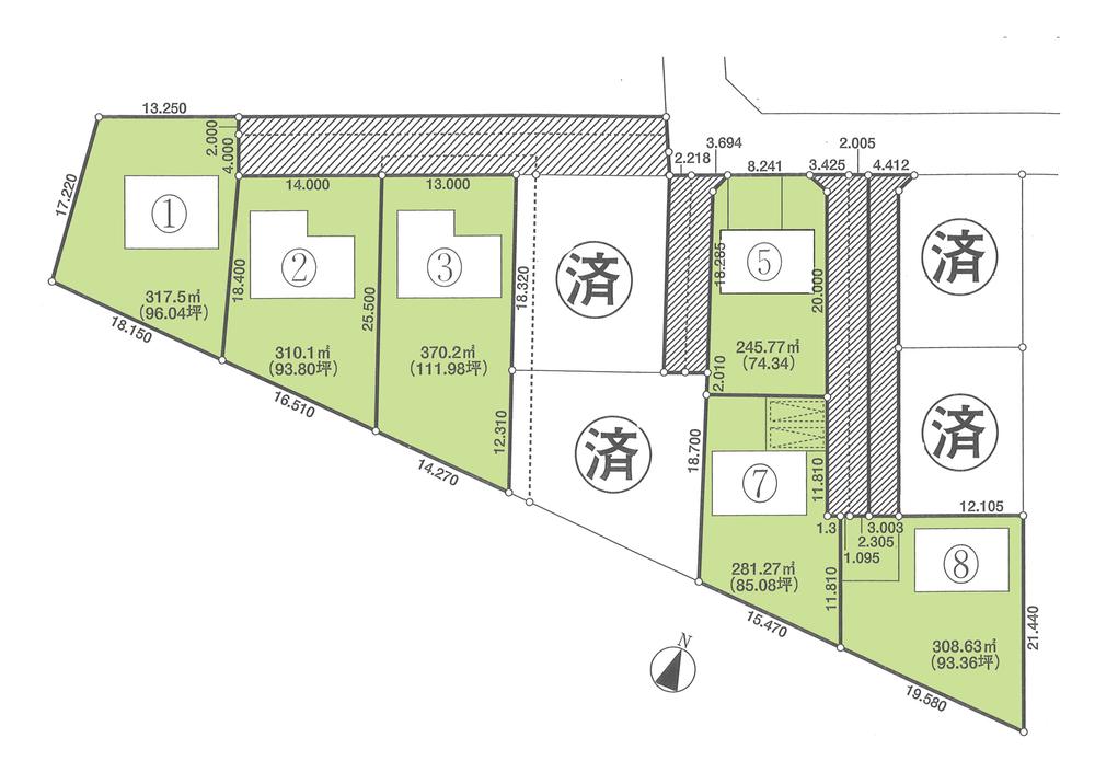
245.77 sq m ~ 370.2 sq m (74.34 tsubo ~ 111.98 tsubo)
Driveway burden-road
In contact with the 6.2m development road
Land situation
Vacant lot
Address
Kawagoe City Prefecture, Oaza Kasahata
Traffic
Tobu Tojo Line "Tsurugashima" walk 29 minutes
Tobu Tojo Line "Tsurugashima" bus 7 minutes Kawatsuru center walk 5 minutes
Related links
[Related Sites of this company]
Person in charge
Person in charge of real-estate and building Uemura Takashi Age: 30 Daigyokai experience: This is Uemura was now to be entrusted with the 10-year Taisei housing Kawagoe housing gallery manager. To be able to introduce a customer satisfaction Property, Always we will continue to work hard at 120% of the force. Thank you.
Contact
TEL: 0800-805-5903 [Toll free] mobile phone ・ Also available from PHS
Caller ID is not notified
Please contact the "saw SUUMO (Sumo)"
If it does not lead, If the real estate company
Most price range
12 million yen (two-compartment)
Land of the right form
Ownership
Time delivery
Consultation
Land category
Mountain forest
Use district
Unspecified
Other limitations
But is the City Planning Law Article 34 No. 12 zone, Development is a personal application.
Overview and notices
Contact: Uemura Takashi, Facilities: Public Water Supply, City gas, Septic tank, Tokyo Electric Power Co.
Company profile
<Mediation> Saitama Governor (4) No. 017756 No. Ltd. Taisei housing Kawagoe housing gallery Yubinbango350-1117 Kawagoe City Prefecture Koei-cho 10-6


Local photos, including front road

Local photos, including front road. Reference Plan: our freedom design enforcement example
Reference Plan: our freedom design enforcement example

Building plan example (exterior photos)

Building plan example (exterior photos). Reference Plan: our freedom design enforcement example
Reference Plan: our freedom design enforcement example

Building plan example (introspection photo)

Building plan example (introspection photo). Reference Plan: our freedom design enforcement example
Reference Plan: our freedom design enforcement example

Local land photo

Local land photo. Reference Plan: our freedom design enforcement example
Reference Plan: our freedom design enforcement example

Building plan example (introspection photo)

Building plan example (introspection photo). Reference Plan: our freedom design enforcement example
Reference Plan: our freedom design enforcement example

Primary school

Primary school. Kawagoe Municipal Kasumigaseki to Nishi Elementary School 1500m
Kawagoe Municipal Kasumigaseki to Nishi Elementary School 1500m

The entire compartment Figure

The entire compartment Figure. Compartment figure
Compartment figure

Building plan example (introspection photo)

Building plan example (introspection photo). Reference Plan: our freedom design enforcement example
Reference Plan: our freedom design enforcement example

Junior high school

Junior high school. 3300m to Kawagoe Municipal Kasumigaseki junior high school
3300m to Kawagoe Municipal Kasumigaseki junior high school

Station

station. Tsurugashima station
Tsurugashima station



Location