26.5 million yen, 137.19 sq m
Land/Building » Kanto » Saitama Prefecture » Koshigaya
 
| | Saitama Prefecture Koshigaya 埼玉県越谷市 |
| Isesaki Tobu "Koshigaya" walk 7 minutes 東武伊勢崎線「越谷」歩7分 |
Price 価格 | | 26.5 million yen 2650万円 | Building coverage, floor area ratio 建ぺい率・容積率 | | 60% ・ 200% 60%・200% | Sales compartment 販売区画数 | | 1 compartment 1区画 | Land area 土地面積 | | 137.19 sq m (measured) 137.19m2(実測) | Driveway burden-road 私道負担・道路 | | Nothing 無 | Land situation 土地状況 | | Not construction 未造成 | Address 住所 | | Saitama Prefecture Koshigaya Red Mount cho 埼玉県越谷市赤山町1 | Traffic 交通 | | Isesaki Tobu "Koshigaya" walk 7 minutes 東武伊勢崎線「越谷」歩7分
| Contact お問い合せ先 | | TEL: 0800-805-6286 [Toll free] mobile phone ・ Also available from PHS Caller ID is not notified Please contact the "saw SUUMO (Sumo)" If it does not lead, If the real estate company TEL:0800-805-6286【通話料無料】携帯電話・PHSからもご利用いただけます 発信者番号は通知されません 「SUUMO(スーモ)を見た」と問い合わせください つながらない方、不動産会社の方は
| Land of the right form 土地の権利形態 | | Ownership 所有権 | Time delivery 引き渡し時期 | | Consultation 相談 | Land category 地目 | | Residential land 宅地 | Use district 用途地域 | | One middle and high 1種中高 | Other limitations その他制限事項 | | Setback: upon 4.8 sq m , Current state / Parking (in rent) セットバック:要4.8m2、現況/駐車場(賃貸中) | Overview and notices その他概要・特記事項 | | Facilities: Public Water Supply, This sewage, City gas 設備:公営水道、本下水、都市ガス | Company profile 会社概要 | | <Mediation> Minister of Land, Infrastructure and Transport (3) The 006,183 No. housing Information Center Koshigaya shop Seongnam Construction (Ltd.) Yubinbango343-0805 Saitama Prefecture Koshigaya Shinmei-cho 2-225-1 <仲介>国土交通大臣(3)第006183号住宅情報館 越谷店城南建設(株)〒343-0805 埼玉県越谷市神明町2-225-1 |
Local land photo現地土地写真  Local Photos
現地写真
 Local Photos
現地写真
 Local Photos
現地写真
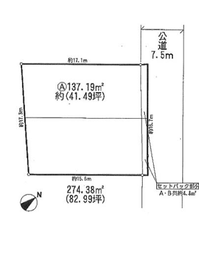
Compartment figure区画図  Land price 26.5 million yen, Land area 137.19 sq m compartment view
土地価格2650万円、土地面積137.19m2 区画図
Local photos, including front road前面道路含む現地写真  Frontal road
前面道路
Otherその他  Koshigaya Station 7 minutes walk (about 560m)
越谷駅 徒歩7分(約560m)
Location
|