19,530,000 yen, 165.56 sq m
Land/Building » Kanto » Saitama Prefecture » Kumagaya
 
| | Kumagaya Prefecture 埼玉県熊谷市 |
| JR Takasaki Line "Kagohara" walk 10 minutes JR高崎線「籠原」歩10分 |
| Kagohara Station near a quiet residential area 籠原駅近閑静な住宅街 |
| (Other expenses) autonomy fee: 1500 yen / Year Garbage yard installation costs 500 yen / Year other, Costs have pursuant to the residents' association (その他費用)自治会費:1500円/年 ゴミ置場設置費用500円/年 他、自治会に準ずる費用有 |
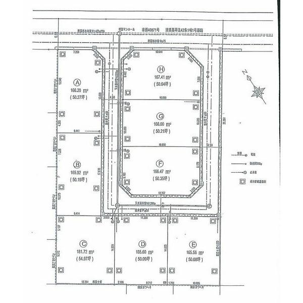
Features pickup 特徴ピックアップ | | Land 50 square meters or more / Or more before road 6m / No construction conditions 土地50坪以上 /前道6m以上 /建築条件なし | Price 価格 | | 19,530,000 yen 1953万円 | Building coverage, floor area ratio 建ぺい率・容積率 | | 60% ・ 200% 60%・200% | Sales compartment 販売区画数 | | 1 compartment 1区画 | Land area 土地面積 | | 165.56 sq m (50.08 tsubo) (Registration) 165.56m2(50.08坪)(登記) | Driveway burden-road 私道負担・道路 | | Nothing, North 6.5m width 無、北6.5m幅 | Land situation 土地状況 | | Vacant lot 更地 | Address 住所 | | Kumagaya Prefecture Jurokken 埼玉県熊谷市拾六間 | Traffic 交通 | | JR Takasaki Line "Kagohara" walk 10 minutes JR高崎線「籠原」歩10分
| Contact お問い合せ先 | | TEL: 0800-603-2214 [Toll free] mobile phone ・ Also available from PHS Caller ID is not notified Please contact the "saw SUUMO (Sumo)" If it does not lead, If the real estate company TEL:0800-603-2214【通話料無料】携帯電話・PHSからもご利用いただけます 発信者番号は通知されません 「SUUMO(スーモ)を見た」と問い合わせください つながらない方、不動産会社の方は
| Land of the right form 土地の権利形態 | | Ownership 所有権 | Time delivery 引き渡し時期 | | Consultation 相談 | Land category 地目 | | Residential land 宅地 | Use district 用途地域 | | One middle and high 1種中高 | Company profile 会社概要 | | <Mediation> Saitama Governor (4) The 016,997 No. Pitattohausu Fukaya store (stock) at Holmes Yubinbango366-0824 Saitama Prefecture Fukaya Nishijima-cho 3-1-6 <仲介>埼玉県知事(4)第016997号ピタットハウス深谷店(株)アットホームズ〒366-0824 埼玉県深谷市西島町3-1-6 |
 Local land photo
現地土地写真
Home centerホームセンター  1717m until the Super Viva Home Fukaya shop
スーパービバホーム深谷店まで1717m
 Other local
その他現地
Location
|