Land/Building » Kanto » Saitama Prefecture » Nishi-ku


Saitama city west district
JR Kawagoe Line "west Omiya" walk 17 minutes
[0800-603-0658] ← Please feel free to contact us! ☆ Building conditions without selling land ☆ Site 38 square meters more than shaping land! ☆ City gas ・ This sewage ☆ Good per sun!
Features pickup
Vacant lot passes / Yang per good / Shaping land / No construction conditions / City gas / Flat terrain / Building plan example there
Price
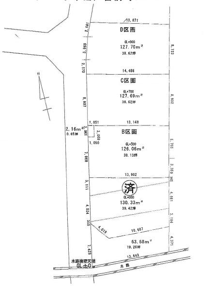
18,660,000 yen B compartment 18,660,000 yen
Building coverage, floor area ratio
Building coverage: 60%, Volume ratio: 160%
Sales compartment
1 compartment
Total number of compartments
4 compartments
Land area
126.06 sq m (38.13 tsubo) (measured)
Driveway burden-road
West road 4.0m
Land situation
Vacant lot
Construction completion time
2013 November
Address
Saitama, Nishi-ku, Miyamae-cho
Traffic
JR Kawagoe Line "west Omiya" walk 17 minutes
Related links
[Related Sites of this company]
Contact
TEL: 0800-603-0658 [Toll free] mobile phone ・ Also available from PHS
Caller ID is not notified
Please contact the "saw SUUMO (Sumo)"
If it does not lead, If the real estate company
Land of the right form
Ownership
Time delivery
Immediate delivery allowed
Land category
field
Use district
Two mid-high
Other limitations
Regulations have by the Landscape Act, Agricultural Land Act notification requirements, Height district, Landscape district, Site area minimum Yes, Shade limit Yes, Miyamae-cho 1-chome west district plan Yes
Overview and notices
Facilities: TEPCO, Public Water Supply, This sewage, City gas, Gas and water supply and sewerage of the retraction is buyer burden
Company profile
<Mediation> Saitama Governor (10) No. 008048 (Corporation) Prefecture Building Lots and Buildings Transaction Business Association (Corporation) metropolitan area real estate Fair Trade Council member Ye station Co., Ltd. Daiwa Real Estate Yubinbango330-0063 Saitama Urawa-ku Takasago 1-2-1 Apex Tower Urawa Central Library 202


Local land photo

Local land photo. Local (10 May 2013) Shooting
Local (10 May 2013) Shooting

Other

Other. Sectioning view
Sectioning view

Local land photo

Local land photo. Local (10 May 2013) Shooting
Local (10 May 2013) Shooting

Local land photo. Local (10 May 2013) Shooting
Local (10 May 2013) Shooting

Local photos, including front road

Local photos, including front road. Local (10 May 2013) Shooting
Local (10 May 2013) Shooting

Local land photo

Local land photo. Local (10 May 2013) Shooting
Local (10 May 2013) Shooting

Local photos, including front road

Local photos, including front road. Local (10 May 2013) Shooting
Local (10 May 2013) Shooting

Local land photo

Local land photo. Local (10 May 2013) Shooting
Local (10 May 2013) Shooting

Local photos, including front road

Local photos, including front road. Local (10 May 2013) Shooting
Local (10 May 2013) Shooting



Location