49,800,000 yen, 208.21 sq m
Land/Building » Kanto » Saitama Prefecture » Omiya-ku
 
| | Saitama Omiya-ku, 埼玉県さいたま市大宮区 |
| JR Saikyo Line "Omiya" walk 11 minutes JR埼京線「大宮」歩11分 |
Price 価格 | | 49,800,000 yen 4980万円 | Building coverage, floor area ratio 建ぺい率・容積率 | | 40% ・ 80% 40%・80% | Sales compartment 販売区画数 | | 1 compartment 1区画 | Land area 土地面積 | | 208.21 sq m (measured) 208.21m2(実測) | Driveway burden-road 私道負担・道路 | | 0.2 sq m 0.2m2 | Land situation 土地状況 | | Vacant lot 更地 | Address 住所 | | Saitama Omiya-ku, Takahana cho 埼玉県さいたま市大宮区高鼻町1 | Traffic 交通 | | JR Saikyo Line "Omiya" walk 11 minutes Tobu Noda line "Kitaomiya" walk 13 minutes JR埼京線「大宮」歩11分 東武野田線「北大宮」歩13分
| Contact お問い合せ先 | | TEL: 0800-805-6289 [Toll free] mobile phone ・ Also available from PHS Caller ID is not notified Please contact the "saw SUUMO (Sumo)" If it does not lead, If the real estate company TEL:0800-805-6289【通話料無料】携帯電話・PHSからもご利用いただけます 発信者番号は通知されません 「SUUMO(スーモ)を見た」と問い合わせください つながらない方、不動産会社の方は
| Land of the right form 土地の権利形態 | | Ownership 所有権 | Time delivery 引き渡し時期 | | Consultation 相談 | Land category 地目 | | Residential land 宅地 | Use district 用途地域 | | One low-rise 1種低層 | Other limitations その他制限事項 | | Land area in the alley-like portions about 59m2 including Other agreements road part about 0.2m2 Yes In the scenic area 土地面積内路地状部分約59m2含 他協定道路部分約0.2m2有 風致地区内 | Overview and notices その他概要・特記事項 | | Facilities: Public Water Supply, This sewage, City gas 設備:公営水道、本下水、都市ガス | Company profile 会社概要 | | <Mediation> Minister of Land, Infrastructure and Transport (3) The 006,183 No. housing information Museum Omiya Nissin store Seongnam Construction (Ltd.) Yubinbango331-0815 Saitama city north district Taisei-cho, 4-407 <仲介>国土交通大臣(3)第006183号住宅情報館 大宮日進店城南建設(株)〒331-0815 埼玉県さいたま市北区大成町4-407 |
Local land photo現地土地写真  Local Photos
現地写真
 Local Photos
現地写真
 Local Photos
現地写真
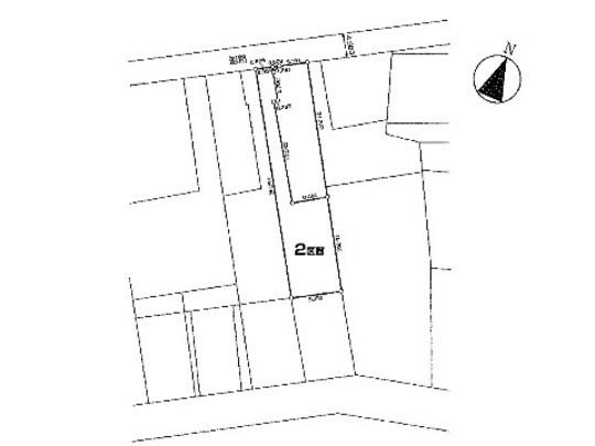
Compartment figure区画図  Land price 49,800,000 yen, Land area 208.21 sq m compartment view
土地価格4980万円、土地面積208.21m2 区画図
Local land photo現地土地写真  Local Photos
現地写真
Local photos, including front road前面道路含む現地写真  Frontal road
前面道路
Location
|