Land/Building » Kanto » Saitama Prefecture » Sakado


Saitama Prefecture Sakado
Ogosesen Tobu "Kawasumi" walk 23 minutes
Building conditions There is no. Please built you at your favorite House manufacturer. Please feel free to contact us.
Land 50 square meters or more, Vacant lot passes, Yang per good, No construction conditions
Features pickup
Land 50 square meters or more / Vacant lot passes / Yang per good / No construction conditions
Price
8 million yen ~ 10 million yen
Building coverage, floor area ratio
Kenpei rate: 60%, Volume ratio: 200%
Sales compartment
8 compartment
Total number of compartments
8 compartment
Land area
256.02 sq m ~ 409.49 sq m (77.44 tsubo ~ 123.87 tsubo)
Land situation
Vacant lot
Address
Saitama Prefecture Sakado Oaza Zen'noji 334
Traffic
Ogosesen Tobu "Kawasumi" walk 23 minutes
Related links
[Related Sites of this company]
Person in charge
Person in charge of real-estate and building Mitsuhiro Kimishima industry experience: working for 15 years Taisei housing will be 15 years. We will carry out the plan-making and suggestions that matches the position of customers taking advantage of the experience. You so that you my best my best can be the life of our relationship with our customers along with the happiness.
Contact
TEL: 0800-808-7740 [Toll free] mobile phone ・ Also available from PHS
Caller ID is not notified
Please contact the "saw SUUMO (Sumo)"
If it does not lead, If the real estate company
Most price range
9 million yen (4 sections)
Land of the right form
Ownership
Time delivery
Consultation
Land category
Mountain forest
Use district
Unspecified
Other limitations
City Planning Law is Article 34, No. 11 zone.
Overview and notices
Contact: Mitsuhiro Kimishima, Facilities: Public Water Supply, Individual LPG
Company profile
<Mediation> Saitama Governor (4) No. 017756 (Ltd.) Taisei housing headquarters Yubinbango350-2201 Saitama Prefecture Tsurugashima Fujimi 2-11-8


Local land photo
Local land photo

Local land photo
Local land photo

Local land photo
Local land photo

Compartment figure

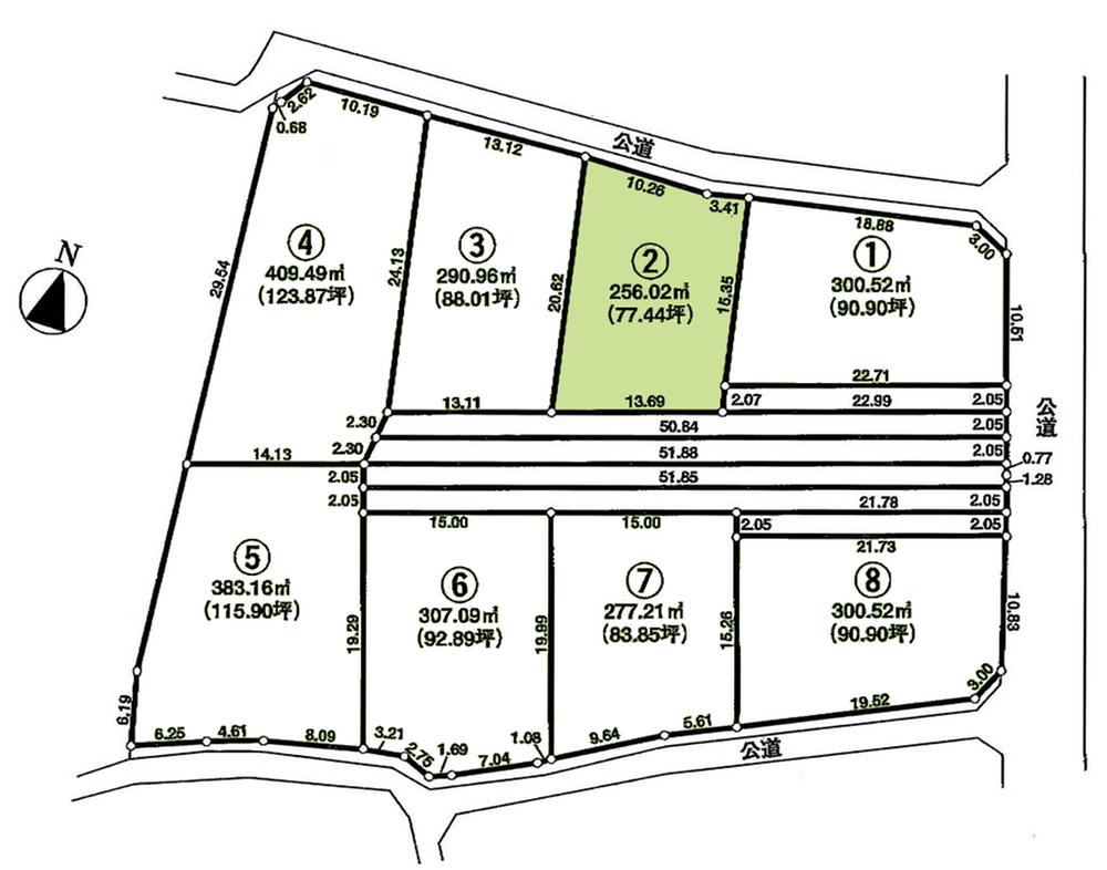
Compartment figure. Land price 8 million yen, Land area 256.02 sq m
Land price 8 million yen, Land area 256.02 sq m

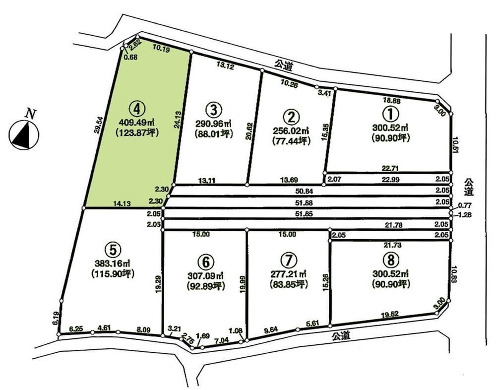
The entire compartment Figure

The entire compartment Figure. Compartment figure
Compartment figure

Compartment figure

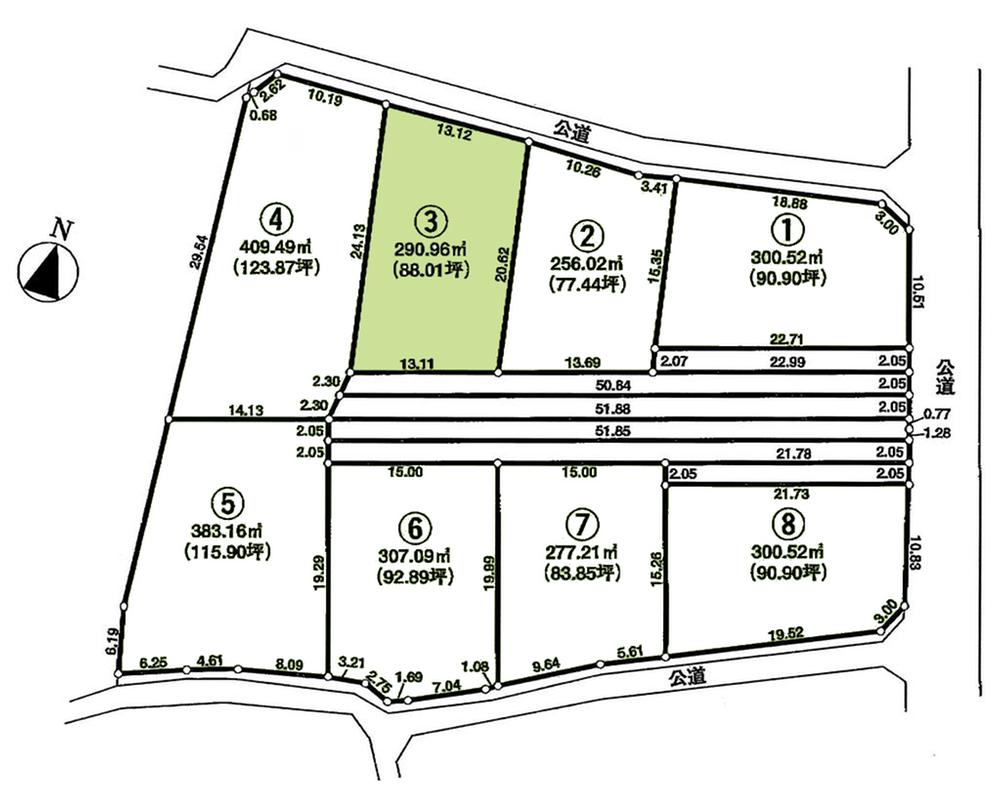
Compartment figure. Land price 8.5 million yen, Land area 290.96 sq m
Land price 8.5 million yen, Land area 290.96 sq m

Compartment figure. Land price 9.5 million yen, Land area 409.49 sq m
Land price 9.5 million yen, Land area 409.49 sq m

Compartment figure. Land price 9.5 million yen, Land area 383.16 sq m
Land price 9.5 million yen, Land area 383.16 sq m

Compartment figure. Land price 9.5 million yen, Land area 307.09 sq m
Land price 9.5 million yen, Land area 307.09 sq m

Compartment figure. Land price 9.5 million yen, Land area 277.21 sq m
Land price 9.5 million yen, Land area 277.21 sq m

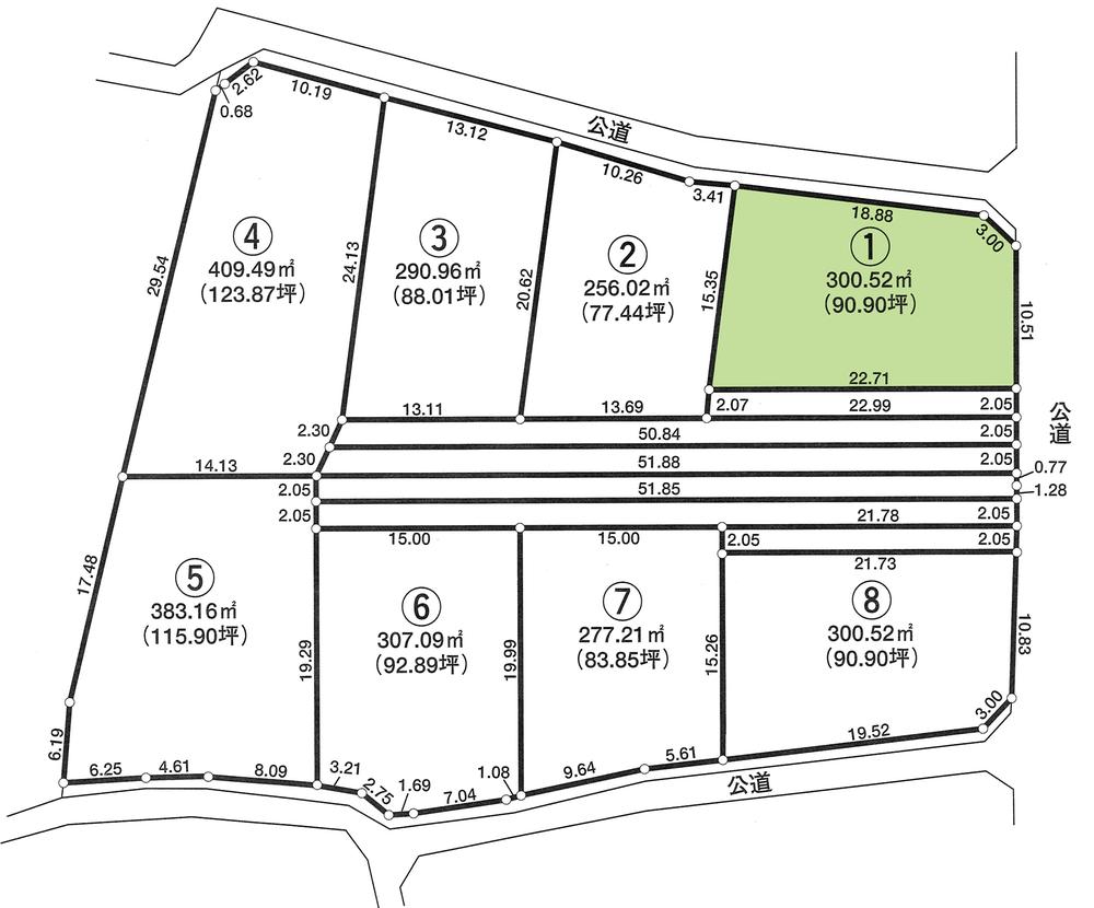
Compartment figure. Land price 10 million yen, Land area 300.52 sq m
Land price 10 million yen, Land area 300.52 sq m

Compartment figure. Land price 10 million yen, Land area 300.52 sq m
Land price 10 million yen, Land area 300.52 sq m



Location