Land/Building » Kanto » Tokyo » Bunkyo
 
| | Bunkyo-ku, Tokyo 東京都文京区 |
| Toei Mita Line "Sengoku" walk 6 minutes 都営三田線「千石」歩6分 |
| Sunny A quiet residential area 2 station 2-wire Available 日当たり良好 閑静な住宅街 2駅2線利用可 |
| We will find the rooms meet the needs of our wish to help in fine thoughtfulness. So we are on our HP posted a large number of public before the property, We are allowed to quickly transmit the fresh information. So that I found you live the customer Nasaru consent, And supported by the best with the sense of speed. Sale assessment ・ We also purchase. In the case of hope is, Kee Corporation buying and selling Division 03-6865-1151 until Please feel free to contact us. お客様のご希望に合ったお部屋探しを細かい心遣いでお手伝いさせて頂きます。弊社HPには公開前の物件を多数掲載しておりますので、新鮮な情報をいち早く発信させて頂いております。お客様が納得なさるお住まいが見つかるよう、スピード感を持って全力でサポートします。売却査定・買い取りも致します。ご希望の際は、ケーコーポレーション売買事業部 03-6865-1151迄 お気軽にお問い合わせ下さい。 |
Features pickup 特徴ピックアップ | | 2 along the line more accessible / A quiet residential area / City gas 2沿線以上利用可 /閑静な住宅地 /都市ガス | Price 価格 | | 69,800,000 yen 6980万円 | Building coverage, floor area ratio 建ぺい率・容積率 | | 60% ・ 200% 60%・200% | Sales compartment 販売区画数 | | 1 compartment 1区画 | Total number of compartments 総区画数 | | 4 compartments 4区画 | Land area 土地面積 | | 73.69 sq m (22.29 tsubo) (measured) 73.69m2(22.29坪)(実測) | Driveway burden-road 私道負担・道路 | | Nothing, Northeast 4m width, Southeast 4m width 無、北東4m幅、南東4m幅 | Land situation 土地状況 | | Vacant lot 更地 | Address 住所 | | Bunkyo-ku, Tokyo Honkomagome 2 東京都文京区本駒込2 | Traffic 交通 | | Toei Mita Line "Sengoku" walk 6 minutes Tokyo Metro Nanboku Line "Honkomagome" walk 6 minutes Toei Mita Line "Hakusan" walk 11 minutes 都営三田線「千石」歩6分 東京メトロ南北線「本駒込」歩6分 都営三田線「白山」歩11分
| Related links 関連リンク | | [Related Sites of this company] 【この会社の関連サイト】 | Person in charge 担当者より | | Rep Toshiaki Shimizu 担当者清水利晃 | Contact お問い合せ先 | | TEL: 0800-603-1099 [Toll free] mobile phone ・ Also available from PHS Caller ID is not notified Please contact the "saw SUUMO (Sumo)" If it does not lead, If the real estate company TEL:0800-603-1099【通話料無料】携帯電話・PHSからもご利用いただけます 発信者番号は通知されません 「SUUMO(スーモ)を見た」と問い合わせください つながらない方、不動産会社の方は
| Land of the right form 土地の権利形態 | | Ownership 所有権 | Time delivery 引き渡し時期 | | Consultation 相談 | Land category 地目 | | Residential land 宅地 | Use district 用途地域 | | One middle and high 1種中高 | Overview and notices その他概要・特記事項 | | Contact: Toshiaki Shimizu, Facilities: Public Water Supply, This sewage, City gas 担当者:清水利晃、設備:公営水道、本下水、都市ガス | Company profile 会社概要 | | <Mediation> Governor of Tokyo (7) No. 054460 (Ltd.) Kee Corporation head office Yubinbango113-0001, Bunkyo-ku, Tokyo Hakusan 1-33-19 Lions Mansion Hakusan Station <仲介>東京都知事(7)第054460号(株)ケーコーポレーション本店〒113-0001 東京都文京区白山1-33-19 ライオンズマンション白山駅前 |
 Local land photo
現地土地写真
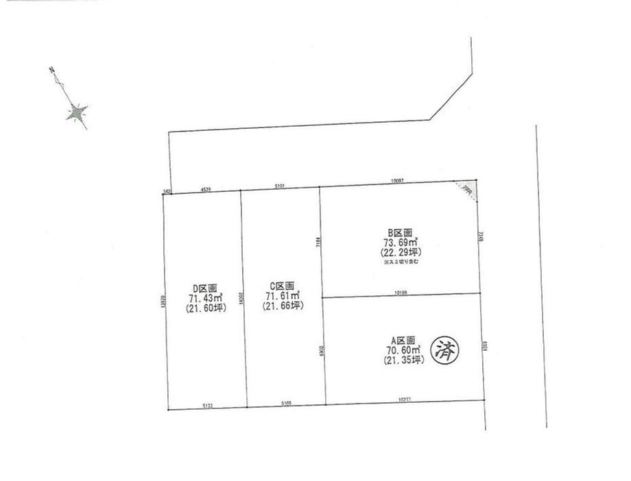
Compartment figure区画図  Land price 69,800,000 yen, Land area 73.69 sq m
土地価格6980万円、土地面積73.69m2
 Local land photo
現地土地写真
 Local land photo
現地土地写真
Kindergarten ・ Nursery幼稚園・保育園  Keihoku 241m to kindergarten
京北幼稚園まで241m
 Other local
その他現地
 Local land photo
現地土地写真
 Honkomagome 233m to west nursery school
本駒込西保育園まで233m
 Local land photo
現地土地写真
Convenience storeコンビニ  seven Eleven 330m to Bunkyo Honkomagome 1-chome
セブンイレブン 文京本駒込1丁目店まで330m
 Local land photo
現地土地写真
 330m to Seven-Eleven, Bunkyo Honkomagome 1-chome
セブンイレブン文京本駒込1丁目店まで330m
 Local land photo
現地土地写真
Park公園  392m until the moth Kagomachi park
駕籠町公園まで392m
 Local land photo
現地土地写真
Convenience storeコンビニ  386m to Seven-Eleven, Bunkyo Honkomagome 2-chome, Minami shop
セブンイレブン文京本駒込2丁目南店まで386m
 Local land photo
現地土地写真
 seven Eleven 386m to Bunkyo Honkomagome 2 of south shop
セブンイレブン 文京本駒込2の南店まで386m
 Local land photo
現地土地写真
 315m to Seven-Eleven, Bunkyo Honkomagome 2-chome
セブンイレブン文京本駒込2丁目まで315m
 Local land photo
現地土地写真
Location
|