Land/Building » Kanto » Tokyo » Higashikurume
 
| | Tokyo Higashikurume 東京都東久留米市 |
| Seibu Ikebukuro Line "Hibarigaoka" walk 12 minutes 西武池袋線「ひばりヶ丘」歩12分 |
| Vacant lot passes, Immediate delivery Allowed, No construction conditions, Siemens south road, Development subdivision in, City gas, Flat to the station, A quiet residential area, Around traffic fewer, Flat terrain 更地渡し、即引渡し可、建築条件なし、南側道路面す、開発分譲地内、都市ガス、駅まで平坦、閑静な住宅地、周辺交通量少なめ、平坦地 |
| Vacant lot passes, Immediate delivery Allowed, No construction conditions, Siemens south road, Development subdivision in, City gas, Flat to the station, A quiet residential area, Around traffic fewer, Flat terrain 更地渡し、即引渡し可、建築条件なし、南側道路面す、開発分譲地内、都市ガス、駅まで平坦、閑静な住宅地、周辺交通量少なめ、平坦地 |
Features pickup 特徴ピックアップ | | Vacant lot passes / Immediate delivery Allowed / Flat to the station / Siemens south road / A quiet residential area / Around traffic fewer / No construction conditions / City gas / Flat terrain / Development subdivision in 更地渡し /即引渡し可 /駅まで平坦 /南側道路面す /閑静な住宅地 /周辺交通量少なめ /建築条件なし /都市ガス /平坦地 /開発分譲地内 | Price 価格 | | 42,300,000 yen 4230万円 | Building coverage, floor area ratio 建ぺい率・容積率 | | 40% ・ 80% 40%・80% | Sales compartment 販売区画数 | | 1 compartment 1区画 | Land area 土地面積 | | 187.57 sq m (registration) 187.57m2(登記) | Driveway burden-road 私道負担・道路 | | Nothing, South 5m width 無、南5m幅 | Land situation 土地状況 | | Vacant lot 更地 | Address 住所 | | Tokyo Higashikurume Gakuen-cho, 2 東京都東久留米市学園町2 | Traffic 交通 | | Seibu Ikebukuro Line "Hibarigaoka" walk 12 minutes Seibu Ikebukuro Line "Higashi Kurume" walk 21 minutes Seibu Shinjuku Line "Tanashi" walk 38 minutes 西武池袋線「ひばりヶ丘」歩12分 西武池袋線「東久留米」歩21分 西武新宿線「田無」歩38分
| Related links 関連リンク | | [Related Sites of this company] 【この会社の関連サイト】 | Person in charge 担当者より | | Person in charge of real-estate and building Okabe Koichi Age: 30 Daigyokai Experience: 7 years My home is a big shopping even a lifetime. I do not know it and your anxiety there are many things I think, but please let us know what .... Things such as that of property and mortgage, Hard it will help such that you can have complete confidence. Please feel free to contact us. 担当者宅建岡部 幸一年齢:30代業界経験:7年マイホームは一生でも大きなお買物です。分からない事やご不安な事も多いと思いますが何なりとお聞かせ下さい。物件の事や住宅ローンの事等、安心して頂ける様一生懸命お手伝い致します。お気軽にご相談ください。 | Contact お問い合せ先 | | TEL: 0800-603-0673 [Toll free] mobile phone ・ Also available from PHS Caller ID is not notified Please contact the "saw SUUMO (Sumo)" If it does not lead, If the real estate company TEL:0800-603-0673【通話料無料】携帯電話・PHSからもご利用いただけます 発信者番号は通知されません 「SUUMO(スーモ)を見た」と問い合わせください つながらない方、不動産会社の方は
| Land of the right form 土地の権利形態 | | Ownership 所有権 | Time delivery 引き渡し時期 | | Immediate delivery allowed 即引渡し可 | Land category 地目 | | Residential land 宅地 | Use district 用途地域 | | One low-rise 1種低層 | Other limitations その他制限事項 | | There is green space some equity. 緑地一部持分有り。 | Overview and notices その他概要・特記事項 | | Contact: Okabe Koichi, Facilities: Public Water Supply, This sewage, City gas 担当者:岡部 幸一、設備:公営水道、本下水、都市ガス | Company profile 会社概要 | | <Mediation> Minister of Land, Infrastructure and Transport (3) No. 006,323 (one company) National Housing Industry Association (Corporation) metropolitan area real estate Fair Trade Council member (Ltd.) Seibu development Hibarigaoka shop Yubinbango188-0001 Tokyo Nishitokyo Yato-cho 3-11-9 Hasegawa building first floor <仲介>国土交通大臣(3)第006323号(一社)全国住宅産業協会会員 (公社)首都圏不動産公正取引協議会加盟(株)西武開発ひばりケ丘店〒188-0001 東京都西東京市谷戸町3-11-9 長谷川ビル1階 |
Local land photo現地土地写真  Local (February 2013) Shooting
現地(2013年2月)撮影
Local photos, including front road前面道路含む現地写真  Local (February 2013) Shooting
現地(2013年2月)撮影
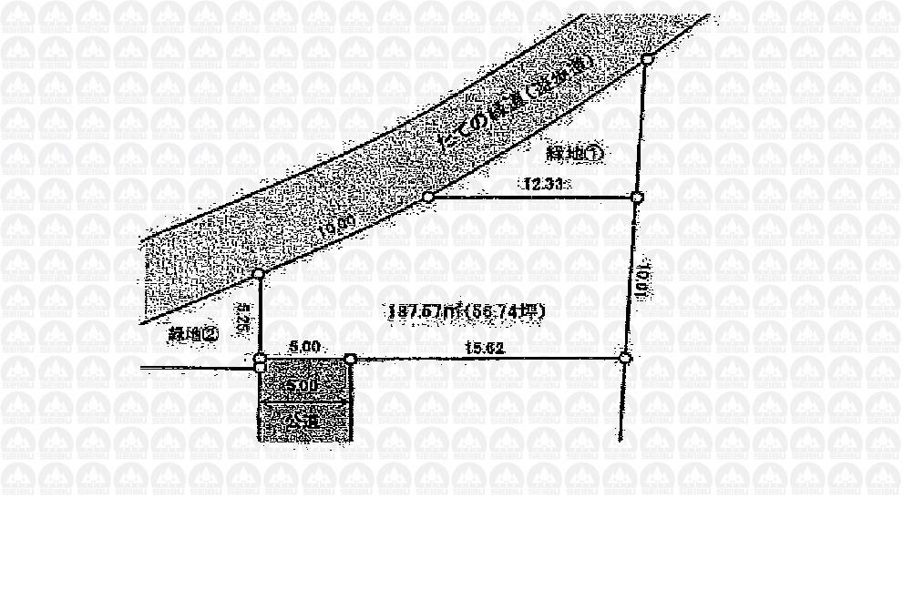
Compartment figure区画図  Land price 42,300,000 yen, Land area 187.57 sq m compartment view
土地価格4230万円、土地面積187.57m2 区画図
Primary school小学校  Fifth elementary school to 800m fifth elementary school
第五小学校まで800m 第五小学校
Junior high school中学校  100m south junior high school to the south junior high school
南中学校まで100m 南中学校
Shopping centreショッピングセンター  1200m PARCO to PARCO
パルコまで1200m パルコ
 Ito-Yokado to 1500m Ito-Yokado
イトーヨーカドーまで1500m イトーヨーカドー
Convenience storeコンビニ  Seven-Eleven to 350m Seven-Eleven
セブンイレブンまで350m セブンイレブン
Hospital病院  300m until Hibarigaoka clinic Hibarigaoka clinic
ひばりヶ丘診療所まで300m ひばりヶ丘診療所
 Ishimota until the clinic 600m Ishimota clinic
石母田医院まで600m 石母田医院
 650m Kashima clinic to clinic Kashima
鹿島医院まで650m 鹿島医院
Location
|