Land/Building » Kanto » Tokyo » Hino
 
| | Hino City, Tokyo 東京都日野市 |
| JR Chuo Line "Hino" walk 17 minutes JR中央線「日野」歩17分 |
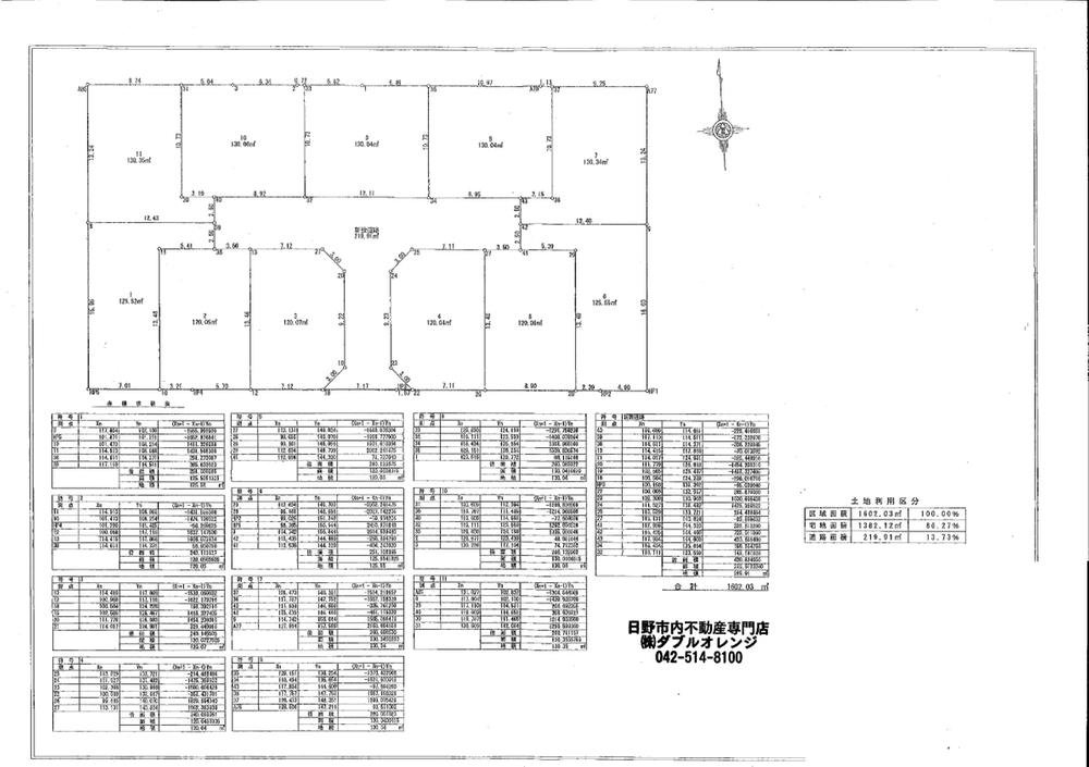
Features pickup 特徴ピックアップ | | Yang per good / Siemens south road / Corner lot / Shaping land / No construction conditions / City gas / Development subdivision in 陽当り良好 /南側道路面す /角地 /整形地 /建築条件なし /都市ガス /開発分譲地内 | Price 価格 | | 24.5 million yen ~ 30,800,000 yen 2450万円 ~ 3080万円 | Building coverage, floor area ratio 建ぺい率・容積率 | | Kenpei rate: 50% ・ 60%, Volume ratio: 100% ・ 200% 建ペい率:50%・60%、容積率:100%・200% | Sales compartment 販売区画数 | | 11 compartment 11区画 | Total number of compartments 総区画数 | | 11 compartment 11区画 | Land area 土地面積 | | 120.04 sq m ~ 130.35 sq m (36.31 tsubo ~ 39.43 tsubo) (measured) 120.04m2 ~ 130.35m2(36.31坪 ~ 39.43坪)(実測) | Driveway burden-road 私道負担・道路 | | Road width: 5m, Asphaltic pavement 道路幅:5m、アスファルト舗装 | Land situation 土地状況 | | Not construction 未造成 | Construction completion time 造成完了時期 | | 2013 June 30 schedule 平成25年6月末日予定 | Address 住所 | | Hino City, Tokyo Shinmei 2-11 東京都日野市神明2-11 | Traffic 交通 | | JR Chuo Line "Hino" walk 17 minutes JR中央線「日野」歩17分
| Person in charge 担当者より | | Person in charge of real-estate and building Kazushi Wakabayashi Age: 30 Daigyokai Experience: 15 years of our company, we have operating in Hino city expert. Real estate bazaar and a children's room in the house that searchable by yourself, Because there is a private car park, Please come feel free to contact at any time. All employees, We look forward to sincerely. 担当者宅建若林一志年齢:30代業界経験:15年弊社は日野市内専門で営業をしております。社内には自分で探せる不動産バザールやキッズルーム、専用駐車場もございますので、いつでもお気軽にお越し下さい。社員一同、心からお待ちしております。 | Contact お問い合せ先 | | TEL: 042-514-8100 Please inquire as "saw SUUMO (Sumo)" TEL:042-514-8100「SUUMO(スーモ)を見た」と問い合わせください | Most price range 最多価格帯 | | 29 million yen (3 compartment) 2900万円台(3区画) | Land of the right form 土地の権利形態 | | Ownership 所有権 | Land category 地目 | | Residential land 宅地 | Use district 用途地域 | | One low-rise, Two mid-high 1種低層、2種中高 | Overview and notices その他概要・特記事項 | | Contact: Kazushi Wakabayashi, Facilities: Public Water Supply, This sewage, City gas, Development permit number: 24 multi-TateHiraku - Hirakidai 147 No. 担当者:若林一志、設備:公営水道、本下水、都市ガス、開発許可番号:24多建開-開第147号 | Company profile 会社概要 | | <Mediation> Minister of Land, Infrastructure and Transport (1) the first 008,523 No. Hino city real estate specialty store (stock) Double Orange Yubinbango191-0016 Hino City, Tokyo Shinmei 2-8-15 <仲介>国土交通大臣(1)第008523号日野市内不動産専門店(株)ダブルオレンジ〒191-0016 東京都日野市神明2-8-15 |
 Construction completion expected view
造成完了予想図
Local photos, including front road前面道路含む現地写真  Local (10 May 2013) Shooting
現地(2013年10月)撮影
Local land photo現地土地写真  Local (10 May 2013) Shooting
現地(2013年10月)撮影
 Local (10 May 2013) Shooting
現地(2013年10月)撮影
Local photos, including front road前面道路含む現地写真  Local (September 2013) Shooting
現地(2013年9月)撮影
Primary school小学校  633m to Hino Municipal Hino seventh elementary school
日野市立日野第七小学校まで633m
Otherその他  Hino City Hall 4-minute walk (320m)
日野市役所 徒歩4分(320m)
Local land photo現地土地写真  Local (10 May 2013) Shooting
現地(2013年10月)撮影
Junior high school中学校  1096m to Hino Municipal Osakaue junior high school
日野市立大坂上中学校まで1096m
Otherその他  Hino civic center A 3-minute walk (200m)
日野市民会館 徒歩3分(200m)
Local land photo現地土地写真  Local (10 May 2013) Shooting
現地(2013年10月)撮影
Shopping centreショッピングセンター  Workman 825m to Hino Higashitoyoda shop
ワークマン日野東豊田店まで825m
Otherその他  Hino Shinmei post office A 3-minute walk (190m)
日野神明郵便局 徒歩3分(190m)
Shopping centreショッピングセンター  836m to UNIQLO Tamadaira shop
ユニクロ多摩平店まで836m
Otherその他  Hinochuo park A 5-minute walk (400m)
日野中央公園 徒歩5分(400m)
Supermarketスーパー  Food shop Ota Shinmei 351m to shop
食品の店おおた神明店まで351m
Otherその他  Super Ota Shinmei shop 6-minute walk (480m)
スーパーおおた 神明店 徒歩6分(480m)
Supermarketスーパー  KopuTokyo Fukiage 1242m to shop
コープとうきょう吹上店まで1242m
Otherその他  Compartment split view
区画割図
Convenience storeコンビニ  244m until Lawson Hino Shinmei-chome shop
ローソン日野神明二丁目店まで244m
Drug storeドラッグストア  236m until well Park Hino Shinmei shop
ウェルパーク日野神明店まで236m
Location
|