Land/Building » Kanto » Tokyo » Machida
 
| | Machida, Tokyo 東京都町田市 |
| Odakyu line "Tsurukawa" walk 21 minutes 小田急線「鶴川」歩21分 |
| Residential land is a sale with Misawa Homes of building conditions. "PASTORAL Chapter 2," popularity is in sale. ・ Most price range 15 million yen! ! ・ Lush living environment ・ 2 Station 2 wayside accessible ミサワホームの建築条件付き宅地分譲です。『PASTORAL第2章』好評分譲中です。・最多価格帯1500万円台!!・緑豊かな住環境・2駅2沿線アクセス可能 |
| Development subdivision in, Or more before road 6m, Leafy residential area, A quiet residential area, 2 along the line more accessible, Vacant lot passes, Super close, Shaping land, City gas, Maintained sidewalk, Flat terrain 開発分譲地内、前道6m以上、緑豊かな住宅地、閑静な住宅地、2沿線以上利用可、更地渡し、スーパーが近い、整形地、都市ガス、整備された歩道、平坦地 |
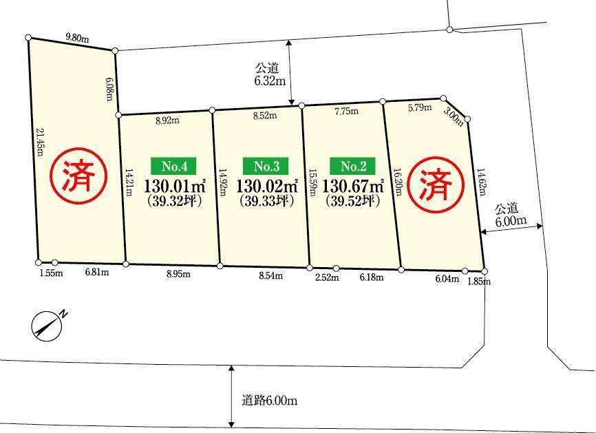
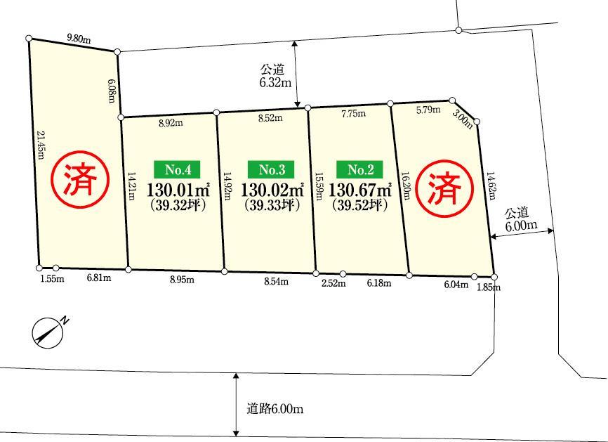
Local guide map 現地案内図 | | Local guide map 現地案内図 | Features pickup 特徴ピックアップ | | 2 along the line more accessible / Vacant lot passes / Super close / A quiet residential area / Or more before road 6m / Shaping land / Leafy residential area / City gas / Maintained sidewalk / Flat terrain / Development subdivision in / Building plan example there 2沿線以上利用可 /更地渡し /スーパーが近い /閑静な住宅地 /前道6m以上 /整形地 /緑豊かな住宅地 /都市ガス /整備された歩道 /平坦地 /開発分譲地内 /建物プラン例有り | Property name 物件名 | | PASTORAL Chapter 2 Residential land sale with Misawa Homes building conditions PASTORAL第2章 ミサワホーム建築条件付宅地分譲 | Price 価格 | | 15.5 million yen ~ 15.8 million yen 1550万円 ~ 1580万円 | Building coverage, floor area ratio 建ぺい率・容積率 | | Kenpei rate: 40% ・ Fifty percent, Volume ratio: 80% ・ 150% 建ペい率:40%・50%、容積率:80%・150% | Sales compartment 販売区画数 | | 3 compartment 3区画 | Total number of compartments 総区画数 | | 5 compartment 5区画 | Land area 土地面積 | | 130.01 sq m ~ 130.67 sq m (39.32 tsubo ~ 39.52 tsubo) (Registration) 130.01m2 ~ 130.67m2(39.32坪 ~ 39.52坪)(登記) | Driveway burden-road 私道負担・道路 | | Road width: 6m ~ 6.3m, Public road 道路幅:6m ~ 6.3m、公道 | Land situation 土地状況 | | Vacant lot 更地 | Construction completion time 造成完了時期 | | 2013 November completed already 平成25年11月完成済 | Address 住所 | | Machida, Tokyo Hirohakama cho 東京都町田市広袴町 | Traffic 交通 | | Odakyu line "Tsurukawa" walk 21 minutes Odakyu line "Tsurukawa" 8 minutes Dongping walk 1 minute bus Tamasen Odakyu "Kurihira" walk 25 minutes 小田急線「鶴川」歩21分 小田急線「鶴川」バス8分東平歩1分 小田急多摩線「栗平」歩25分
| Related links 関連リンク | | [Related Sites of this company] 【この会社の関連サイト】 | Contact お問い合せ先 | | Misawa Homes Tokyo Co., Ltd. Yokohama Branch TEL: 0800-603-0342 [Toll free] mobile phone ・ Also available from PHS Caller ID is not notified Please contact the "saw SUUMO (Sumo)" If it does not lead, If the real estate company ミサワホーム東京(株)横浜支店TEL:0800-603-0342【通話料無料】携帯電話・PHSからもご利用いただけます 発信者番号は通知されません 「SUUMO(スーモ)を見た」と問い合わせください つながらない方、不動産会社の方は
| Most price range 最多価格帯 | | 1500 million units 1500 (3 compartment) 1500万円台1500(3区画) | Land of the right form 土地の権利形態 | | Ownership 所有権 | Building condition 建築条件 | | With 付 | Time delivery 引き渡し時期 | | Consultation 相談 | Land category 地目 | | Residential land 宅地 | Use district 用途地域 | | One low-rise, Two mid-high 1種低層、2種中高 | Other limitations その他制限事項 | | Regulations have by the Landscape Act, Residential land development construction regulation area, Height district, Quasi-fire zones, Site area minimum Yes, Shade limit Yes, Setback Yes 景観法による規制有、宅地造成工事規制区域、高度地区、準防火地域、敷地面積最低限度有、日影制限有、壁面後退有 | Overview and notices その他概要・特記事項 | | Facilities: Public Water Supply, This sewage, City gas 設備:公営水道、本下水、都市ガス | Company profile 会社概要 | | <Marketing alliance (mediated)> Minister of Land, Infrastructure and Transport (12) No. 001064 (one company) National Housing Industry Association (Corporation) metropolitan area real estate Fair Trade Council member Misawa Tokyo Co., Ltd. Yokohama branch Yubinbango244-0805 Kanagawa Prefecture, Totsuka-ku, Yokohama-shi Kawakami cho, 90-6 <販売提携(媒介)>国土交通大臣(12)第001064号(一社)全国住宅産業協会会員 (公社)首都圏不動産公正取引協議会加盟ミサワホーム東京(株)横浜支店〒244-0805 神奈川県横浜市戸塚区川上町90-6 |
Compartment figure区画図  It is a community of all 5 compartment.
全5区画のコミュニティーです。
Local land photo現地土地写真 ![Local land photo. [Compartment No.2] Local (12 May 2013) Shooting](/images/tokyo/machida/efbba70018.jpg) [Compartment No.2] Local (12 May 2013) Shooting
【区画No.2】現地(2013年12月)撮影
![Local land photo. [Compartment No.3] Local (12 May 2013) Shooting](/images/tokyo/machida/efbba70019.jpg) [Compartment No.3] Local (12 May 2013) Shooting
【区画No.3】現地(2013年12月)撮影
![Local land photo. [Compartment No.4] Local (12 May 2013) Shooting](/images/tokyo/machida/efbba70020.jpg) [Compartment No.4] Local (12 May 2013) Shooting
【区画No.4】現地(2013年12月)撮影
 Local (12 May 2013) Shooting
現地(2013年12月)撮影
The entire compartment Figure全体区画図  PASTORAL Chapter 2 Popularity is in sale.
PASTORAL第2章 好評分譲中です。
Building plan example (floor plan)建物プラン例(間取り図)  Building plan example (NO.2) 3LDK, Land price 15.5 million yen, Land area 130.67 sq m , Building price 23,970,000 yen, Building area 96.05 sq m
建物プラン例(NO.2)3LDK、土地価格1550万円、土地面積130.67m2、建物価格2397万円、建物面積96.05m2
 Building plan example (NO.2) 3LDK, Land price 15.5 million yen, Land area 130.67 sq m , Building price 23,970,000 yen, Building area 96.05 sq m
建物プラン例(NO.2)3LDK、土地価格1550万円、土地面積130.67m2、建物価格2397万円、建物面積96.05m2
Other Environmental Photoその他環境写真  Until Takesho Zhuang 900m
武相荘まで900m
Convenience storeコンビニ  300m until the Three F Hirohakama shop
スリーエフ広袴店まで300m
Park公園  Until Tsurukawa Central Park 500m
鶴川中央公園まで500m
High school ・ College高校・高専  Until Tokogakuen 1500m
桐光学園まで1500m
Primary school小学校  Municipal Tsurukawa third elementary school up to 400m
市立鶴川第三小学校まで400m
Junior high school中学校  Municipal Tsurukawa until the second junior high school 400m
市立鶴川第二中学校まで400m
Supermarketスーパー  1200m to Super Sanwa
スーパー三和まで1200m
Local guide map現地案内図  Odakyu line Tsurukawa Station walk 21 minutes. There is bus service
小田急線鶴川駅徒歩21分。バス便有り
 Dongping Tomafu is a 1-minute.
東平停歩1分です。
Location
|