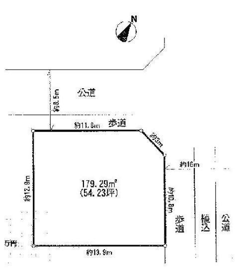
48 million yen, 179.29 sq m
Land/Building » Kanto » Tokyo » Machida
 
| | Machida, Tokyo 東京都町田市 |
| Denentoshi Tokyu "Minami Machida" walk 6 minutes 東急田園都市線「南町田」歩6分 |
| Tokyu Land Corporation is an old subdivision in. There is a feeling of opening per corner lot. Since it is about 200m to Granbury Mall (walk about 3 minutes), It is convenient to shopping. . . 東急不動産旧分譲地内です。角地につき開放感あります。グランベリーモールまで約200m(徒歩約3分)ですので、お買い物に便利です。。。 |
Price 価格 | | 48 million yen 4800万円 | Building coverage, floor area ratio 建ぺい率・容積率 | | Fifty percent ・ Hundred percent 50%・100% | Sales compartment 販売区画数 | | 1 compartment 1区画 | Land area 土地面積 | | 179.29 sq m (measured) 179.29m2(実測) | Driveway burden-road 私道負担・道路 | | Nothing 無 | Land situation 土地状況 | | Vacant lot 更地 | Address 住所 | | Machida, Tokyo Tsuruma 2 東京都町田市鶴間2 | Traffic 交通 | | Denentoshi Tokyu "Minami Machida" walk 6 minutes 東急田園都市線「南町田」歩6分
| Related links 関連リンク | | [Related Sites of this company] 【この会社の関連サイト】 | Contact お問い合せ先 | | TEL: 0800-805-6244 [Toll free] mobile phone ・ Also available from PHS Caller ID is not notified Please contact the "saw SUUMO (Sumo)" If it does not lead, If the real estate company TEL:0800-805-6244【通話料無料】携帯電話・PHSからもご利用いただけます 発信者番号は通知されません 「SUUMO(スーモ)を見た」と問い合わせください つながらない方、不動産会社の方は
| Land of the right form 土地の権利形態 | | Ownership 所有権 | Time delivery 引き渡し時期 | | Consultation 相談 | Land category 地目 | | Residential land 宅地 | Use district 用途地域 | | One low-rise 1種低層 | Overview and notices その他概要・特記事項 | | Facilities: Public Water Supply, This sewage, City gas 設備:公営水道、本下水、都市ガス | Company profile 会社概要 | | <Mediation> Minister of Land, Infrastructure and Transport (3) The 006,183 No. housing Information Center Aobadai store Seongnam Construction (Ltd.) Yubinbango227-0046 Kanagawa Prefecture, Aoba-ku, Yokohama City Tachibanadai 1-11-1 <仲介>国土交通大臣(3)第006183号住宅情報館 青葉台店城南建設(株)〒227-0046 神奈川県横浜市青葉区たちばな台1-11-1 |
Local land photo現地土地写真  Local Photos
現地写真
 Local Photos
現地写真
 Local Photos
現地写真
Compartment figure区画図  Land price 48 million yen, Land area 179.29 sq m
土地価格4800万円、土地面積179.29m2
Local photos, including front road前面道路含む現地写真  Frontal road
前面道路
 Frontal road
前面道路
Location
|