Land/Building » Kanto » Tokyo » Minato-ku
 
| | Minato-ku, Tokyo 東京都港区 |
| JR Yamanote Line "Ebisu" walk 14 minutes JR山手線「恵比寿」歩14分 |
Features pickup 特徴ピックアップ | | 2 along the line more accessible / Vacant lot passes / Super close / It is close to the city / Flat to the station / Siemens south road / No construction conditions / City gas / Flat terrain 2沿線以上利用可 /更地渡し /スーパーが近い /市街地が近い /駅まで平坦 /南側道路面す /建築条件なし /都市ガス /平坦地 | Price 価格 | | 81,800,000 yen 8180万円 | Building coverage, floor area ratio 建ぺい率・容積率 | | 80% ・ 400% 80%・400% | Sales compartment 販売区画数 | | 1 compartment 1区画 | Total number of compartments 総区画数 | | 1 compartment 1区画 | Land area 土地面積 | | 88.82 sq m (26.86 tsubo) (measured) 88.82m2(26.86坪)(実測) | Driveway burden-road 私道負担・道路 | | 24 sq m , South 4m width 24m2、南4m幅 | Land situation 土地状況 | | Furuya There vacant lot passes 古家有り更地渡し | Address 住所 | | Minato-ku, Tokyo platinum 6 東京都港区白金6 | Traffic 交通 | | JR Yamanote Line "Ebisu" walk 14 minutes Tokyo Metro Hibiya Line "Hiroo" walk 10 minutes Tokyo Metro Nanboku Line "Shiroganedai" walk 12 minutes JR山手線「恵比寿」歩14分 東京メトロ日比谷線「広尾」歩10分 東京メトロ南北線「白金台」歩12分
| Related links 関連リンク | | [Related Sites of this company] 【この会社の関連サイト】 | Person in charge 担当者より | | Rep FP Inoue Daisuke Age: 30 Daigyokai Experience: 4 years real estate does not have the same properties as one. Since A similar property is different from many points where the invisible even, I firmly explained. Please feel free to contact us. I will do my best in everything! 担当者FP井上 大輔年齢:30代業界経験:4年不動産は一つとして同じ物件はありません。似たような物件はあっても目に見えない所で違う点が多いので、しっかり説明致します。お気軽にご相談下さい。全力で頑張ります! | Contact お問い合せ先 | | TEL: 0800-603-7091 [Toll free] mobile phone ・ Also available from PHS Caller ID is not notified Please contact the "saw SUUMO (Sumo)" If it does not lead, If the real estate company TEL:0800-603-7091【通話料無料】携帯電話・PHSからもご利用いただけます 発信者番号は通知されません 「SUUMO(スーモ)を見た」と問い合わせください つながらない方、不動産会社の方は
| Land of the right form 土地の権利形態 | | Ownership 所有権 | Time delivery 引き渡し時期 | | Consultation 相談 | Land category 地目 | | Residential land 宅地 | Use district 用途地域 | | Residential 近隣商業 | Other limitations その他制限事項 | | Setback: upon セットバック:要 | Overview and notices その他概要・特記事項 | | Contact: Inoue Daisuke, Facilities: Public Water Supply, This sewage, City gas 担当者:井上 大輔、設備:公営水道、本下水、都市ガス | Company profile 会社概要 | | <Mediation> Governor of Tokyo (2) No. 086581 (Ltd.) ad cast Yubinbango150-0022 Shibuya-ku, Tokyo Ebisuminami 1-25-1 <仲介>東京都知事(2)第086581号(株)アドキャスト〒150-0022 東京都渋谷区恵比寿南1-25-1 |
Local land photo現地土地写真  Local (12 May 2013) Shooting Frontage 5.8m
現地(2013年12月)撮影 間口5.8m
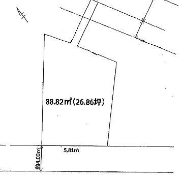
Compartment figure区画図  Land price 81,800,000 yen, Land area 88.82 sq m southwest road Frontage 5.8m
土地価格8180万円、土地面積88.82m2 南西道路 間口5.8m
Local photos, including front road前面道路含む現地写真  Local (12 May 2013) Shooting Frontal road
現地(2013年12月)撮影 前面道路
Station駅  Hibiya Line 800m to Hiroo Station YA, Shopping facilities such as the National Azabu also has been enhanced.
日比谷線 広尾駅まで800m 明治屋、ナショナル麻布など買物施設も充実しております。
Other localその他現地  Local (12 May 2013) Shooting Platinum Kitasato shopping street
現地(2013年12月)撮影 白金北里通り商店街
Otherその他  God 応小 school
神応小学校
Station駅  1000m Toei until Shirokanedai Station Mita ・ Tokyo Metro Nanboku Line two-wire available
白金台駅まで1000m 都営三田線・東京メトロ南北線の2線利用可能
Otherその他  Platinum Street close
プラチナ通り至近
Shopping centreショッピングセンター  Queens Isetan Up to 1100m Queens Isetan You can also use platinum Takanawa shop.
クイーンズ伊勢丹 まで1100m クイーンズ伊勢丹 白金高輪店もご利用できます。
Location
|