Land/Building » Kanto » Tokyo » Nakano
 
| | Nakano-ku, Tokyo 東京都中野区 |
| Toei Oedo Line "New Ekoda" walk 7 minutes 都営大江戸線「新江古田」歩7分 |
| [The remaining 1 compartment! ! ] Also performed at any time presentation exciting Why do not you design your favorite floor plan 【残り1区画!!】お好きな間取りで設計してみませんかワクワクするプレゼンテーションも随時行います |
| 2 along the line more accessible, Immediate delivery Allowed, Yang per good, A quiet residential area, Around traffic fewer, Shaping land, Leafy residential area, City gas, Flat terrain 2沿線以上利用可、即引渡し可、陽当り良好、閑静な住宅地、周辺交通量少なめ、整形地、緑豊かな住宅地、都市ガス、平坦地 |
Features pickup 特徴ピックアップ | | 2 along the line more accessible / Immediate delivery Allowed / Yang per good / A quiet residential area / Around traffic fewer / Shaping land / Leafy residential area / City gas / Flat terrain 2沿線以上利用可 /即引渡し可 /陽当り良好 /閑静な住宅地 /周辺交通量少なめ /整形地 /緑豊かな住宅地 /都市ガス /平坦地 | Event information イベント情報 | | Local guide Board (Please be sure to ask in advance) schedule / During the public time / 10:00 ~ 20:00 現地案内会(事前に必ずお問い合わせください)日程/公開中時間/10:00 ~ 20:00 | Price 価格 | | 31,800,000 yen 3180万円 | Building coverage, floor area ratio 建ぺい率・容積率 | | 60% ・ 150% 60%・150% | Sales compartment 販売区画数 | | 1 compartment 1区画 | Total number of compartments 総区画数 | | 5 compartment 5区画 | Land area 土地面積 | | 66.11 sq m (measured) 66.11m2(実測) | Driveway burden-road 私道負担・道路 | | 10.34 sq m , Southwest 4m width (contact the road width 5.4m) 10.34m2、南西4m幅(接道幅5.4m) | Land situation 土地状況 | | Vacant lot 更地 | Address 住所 | | Nakano-ku, Tokyo Gangwon-cho 1 東京都中野区江原町1 | Traffic 交通 | | Toei Oedo Line "New Ekoda" walk 7 minutes Seibu Ikebukuro Line "Higashi Nagasaki" walk 11 minutes Toei Oedo Line "Ochiaiminami Nagasaki" walk 15 minutes 都営大江戸線「新江古田」歩7分 西武池袋線「東長崎」歩11分 都営大江戸線「落合南長崎」歩15分
| Related links 関連リンク | | [Related Sites of this company] 【この会社の関連サイト】 | Person in charge 担当者より | | Rep Yokokura Sachiko bright has risked mind a cheerful service! (It is in the study day-to-day expertise! ! ) Local guidance, Billing, etc. More Information, At any time please feel free to contact us 担当者横倉 佐知子明るく元気な接客を心懸けています!(専門知識も日々勉強中です!!)現地のご案内、詳細資料のご請求等、いつでもお気軽にご相談ください | Contact お問い合せ先 | | TEL: 0800-603-4657 [Toll free] mobile phone ・ Also available from PHS Caller ID is not notified Please contact the "saw SUUMO (Sumo)" If it does not lead, If the real estate company TEL:0800-603-4657【通話料無料】携帯電話・PHSからもご利用いただけます 発信者番号は通知されません 「SUUMO(スーモ)を見た」と問い合わせください つながらない方、不動産会社の方は
| Land of the right form 土地の権利形態 | | Ownership 所有権 | Building condition 建築条件 | | With 付 | Time delivery 引き渡し時期 | | Immediate delivery allowed 即引渡し可 | Land category 地目 | | Residential land 宅地 | Use district 用途地域 | | One low-rise 1種低層 | Other limitations その他制限事項 | | Quasi-fire zones 準防火地域 | Overview and notices その他概要・特記事項 | | Contact: Yokokura Sachiko, Facilities: Public Water Supply, This sewage, City gas 担当者:横倉 佐知子、設備:公営水道、本下水、都市ガス | Company profile 会社概要 | | <Mediation> Governor of Tokyo (1) No. 094444 (Ltd.) Marvelous Yubinbango151-0053, Shibuya-ku, Tokyo Yoyogi 5-67-5 <仲介>東京都知事(1)第094444号(株)マーベラス〒151-0053 東京都渋谷区代々木5-67-5 |
Local land photo現地土地写真  Local (12 May 2013) Shooting
現地(2013年12月)撮影
 Local (12 May 2013) Shooting
現地(2013年12月)撮影
 Local (12 May 2013) Shooting
現地(2013年12月)撮影
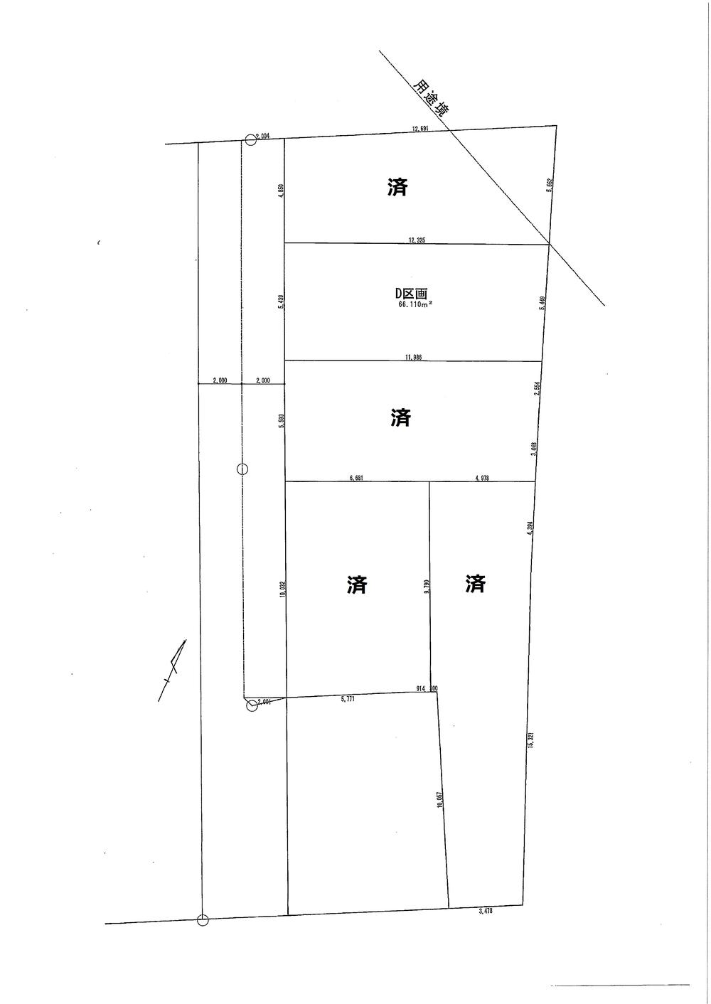
Compartment figure区画図  Land price 31,800,000 yen, Land area 66.11 sq m
土地価格3180万円、土地面積66.11m2
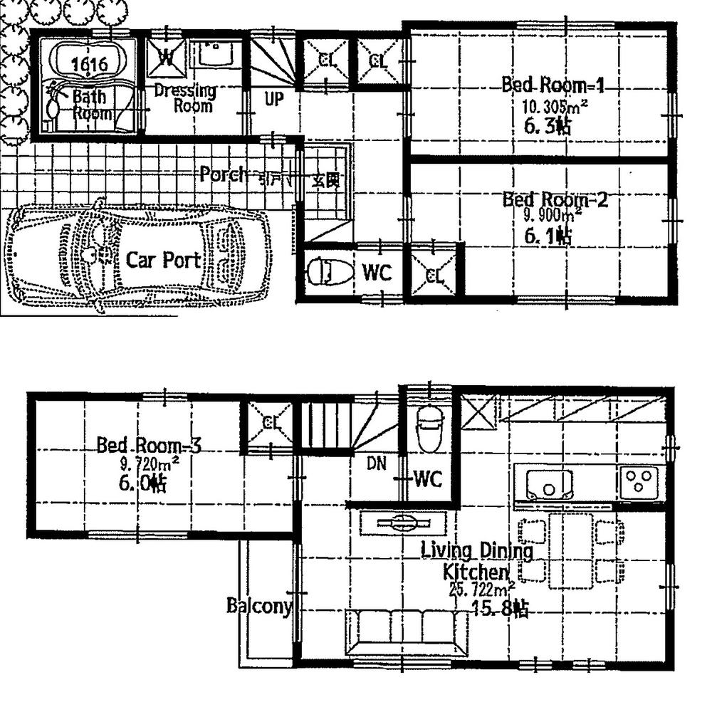
Compartment view + building plan example区画図+建物プラン例  Building plan example, Land price 31,800,000 yen, Land area 66.11 sq m , Building price 15 million yen, Building area 76.85 sq m
建物プラン例、土地価格3180万円、土地面積66.11m2、建物価格1500万円、建物面積76.85m2
Location
|