|
|
Ota-ku, Tokyo
東京都大田区
|
|
Tokyu Ikegami Line "Ishikawadai" walk 13 minutes
東急池上線「石川台」歩13分
|
|
We will be building the conditional sales areas of Higashiyukigaya. Please tell us, such as do not hesitate to floor plan consultation and building specifications description.
東雪谷の建築条件付売地になります。 間取り相談や建物の仕様説明などお気軽にお申し付け下さい。
|
|
Yang per good, Good view, Around traffic fewer, Maintained sidewalk, Super close, Shaping land, Leafy residential area, A quiet residential area, Flat terrain, Corner lot, Urban neighborhood, Siemens south road, Or more before road 6m, Flat to the station, 2 along the line more accessible, Immediate delivery Allowed, No construction conditions, Building plan example there
陽当り良好、眺望良好、周辺交通量少なめ、整備された歩道、スーパーが近い、整形地、緑豊かな住宅地、閑静な住宅地、平坦地、角地、都市近郊、南側道路面す、前道6m以上、駅まで平坦、2沿線以上利用可、即引渡し可、建築条件なし、建物プラン例有り
|
Features pickup 特徴ピックアップ | | 2 along the line more accessible / Immediate delivery Allowed / Super close / Yang per good / Flat to the station / A quiet residential area / Around traffic fewer / Or more before road 6m / Corner lot / Shaping land / No construction conditions / Leafy residential area / Urban neighborhood / Good view / Maintained sidewalk / Flat terrain / Building plan example there 2沿線以上利用可 /即引渡し可 /スーパーが近い /陽当り良好 /駅まで平坦 /閑静な住宅地 /周辺交通量少なめ /前道6m以上 /角地 /整形地 /建築条件なし /緑豊かな住宅地 /都市近郊 /眺望良好 /整備された歩道 /平坦地 /建物プラン例有り |
Price 価格 | | 30,600,000 yen 3060万円 |
Building coverage, floor area ratio 建ぺい率・容積率 | | 60% ・ 200% 60%・200% |
Sales compartment 販売区画数 | | 1 compartment 1区画 |
Total number of compartments 総区画数 | | 6 compartment 6区画 |
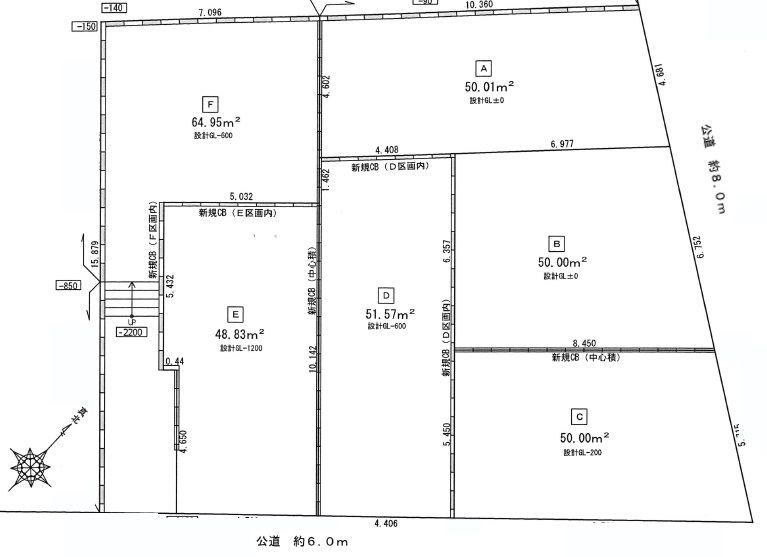
Land area 土地面積 | | 48.83 sq m (registration) 48.83m2(登記) |
Driveway burden-road 私道負担・道路 | | Nothing, Southeast 6m width 無、南東6m幅 |
Land situation 土地状況 | | Vacant lot 更地 |
Address 住所 | | Ota-ku, Tokyo Higashiyukigaya 5 東京都大田区東雪谷5 |
Traffic 交通 | | Tokyu Ikegami Line "Ishikawadai" walk 13 minutes Tokyu Ikegami Line "Ontakesan" walk 13 minutes Tokyu Ikegami Line "Yukigayaotsuka" walk 13 minutes 東急池上線「石川台」歩13分 東急池上線「御嶽山」歩13分 東急池上線「雪が谷大塚」歩13分
|
Related links 関連リンク | | [Related Sites of this company] 【この会社の関連サイト】 |
Person in charge 担当者より | | Rep Murakami 担当者村上 |
Contact お問い合せ先 | | TEL: 0800-603-8969 [Toll free] mobile phone ・ Also available from PHS Caller ID is not notified Please contact the "saw SUUMO (Sumo)" If it does not lead, If the real estate company TEL:0800-603-8969【通話料無料】携帯電話・PHSからもご利用いただけます 発信者番号は通知されません 「SUUMO(スーモ)を見た」と問い合わせください つながらない方、不動産会社の方は
|
Expenses 諸費用 | | Facilities contributions: 315,000 yen / Bulk 設備負担金:31万5000円/一括 |
Land of the right form 土地の権利形態 | | Ownership 所有権 |
Time delivery 引き渡し時期 | | Immediate delivery allowed 即引渡し可 |
Land category 地目 | | Residential land 宅地 |
Use district 用途地域 | | One middle and high 1種中高 |
Other limitations その他制限事項 | | Regulations have by the Aviation Law, Height district, Quasi-fire zones, Shade limit Yes, Irregular land 航空法による規制有、高度地区、準防火地域、日影制限有、不整形地 |
Overview and notices その他概要・特記事項 | | Contact: Murakami, Facilities: Public Water Supply, This sewage, City gas 担当者:村上、設備:公営水道、本下水、都市ガス |
Company profile 会社概要 | | <Marketing alliance (mediated)> Governor of Tokyo (2) No. 089271 (Ltd.) planning Estate Yubinbango153-0063 Meguro-ku, Tokyo Meguro 1-6-17 <販売提携(媒介)>東京都知事(2)第089271号(株)プランニングエステート〒153-0063 東京都目黒区目黒1-6-17 |