Land/Building » Kanto » Tokyo » Ota City
 
| | Ota-ku, Tokyo 東京都大田区 |
| Tokyu Ikegami Line "Chidoricho" walk 5 minutes 東急池上線「千鳥町」歩5分 |
| Contact Donan'nishi side roads 5m 2-wire 3-Station Available No construction conditions 接道南西側公道5m 2線3駅利用可 建築条件なし |
Features pickup 特徴ピックアップ | | 2 along the line more accessible / Immediate delivery Allowed / Flat to the station / No construction conditions / Building plan example there 2沿線以上利用可 /即引渡し可 /駅まで平坦 /建築条件なし /建物プラン例有り | Price 価格 | | 37,800,000 yen 3780万円 | Building coverage, floor area ratio 建ぺい率・容積率 | | Fifty percent ・ Hundred percent 50%・100% | Sales compartment 販売区画数 | | 1 compartment 1区画 | Total number of compartments 総区画数 | | 3 compartment 3区画 | Land area 土地面積 | | 78.47 sq m (measured) 78.47m2(実測) | Driveway burden-road 私道負担・道路 | | Nothing, Southwest 5.4m width 無、南西5.4m幅 | Land situation 土地状況 | | Vacant lot 更地 | Address 住所 | | Ota-ku, Tokyo Minamikugahara 1 東京都大田区南久が原1 | Traffic 交通 | | Tokyu Ikegami Line "Chidoricho" walk 5 minutes Tokyu Ikegami Line "Kugahara" walk 7 minutes Tamagawa Tokyu "Shimomaruko" walk 8 minutes 東急池上線「千鳥町」歩5分 東急池上線「久が原」歩7分 東急多摩川線「下丸子」歩8分
| Related links 関連リンク | | [Related Sites of this company] 【この会社の関連サイト】 | Person in charge 担当者より | | Rep Nakayama Mitsutoshi industry experience: is the sincerity of that in mind from 10 years my daily life. I want to be a good guide to you live for our customers. 担当者仲山 充敏業界経験:10年常日頃から心がけているのは誠実さです。お客様にとってお住まいへの良き案内人でありたいです。 | Contact お問い合せ先 | | TEL: 0800-603-1869 [Toll free] mobile phone ・ Also available from PHS Caller ID is not notified Please contact the "saw SUUMO (Sumo)" If it does not lead, If the real estate company TEL:0800-603-1869【通話料無料】携帯電話・PHSからもご利用いただけます 発信者番号は通知されません 「SUUMO(スーモ)を見た」と問い合わせください つながらない方、不動産会社の方は
| Land of the right form 土地の権利形態 | | Ownership 所有権 | Time delivery 引き渡し時期 | | Immediate delivery allowed 即引渡し可 | Land category 地目 | | Residential land 宅地 | Use district 用途地域 | | One low-rise 1種低層 | Overview and notices その他概要・特記事項 | | Contact: Nakayama Mitsutoshi, Facilities: Public Water Supply, This sewage, City gas 担当者:仲山 充敏、設備:公営水道、本下水、都市ガス | Company profile 会社概要 | | <Mediation> Governor of Tokyo (5) No. 060733 (Corporation) All Japan Real Estate Association (Corporation) metropolitan area real estate Fair Trade Council member Century 21 (Ltd.) Tokio run Dix Yubinbango144-0051 Ota-ku, Tokyo Nishikamata 7-18-4 <仲介>東京都知事(5)第060733号(公社)全日本不動産協会会員 (公社)首都圏不動産公正取引協議会加盟センチュリー21(株)トキオランディックス〒144-0051 東京都大田区西蒲田7-18-4 |
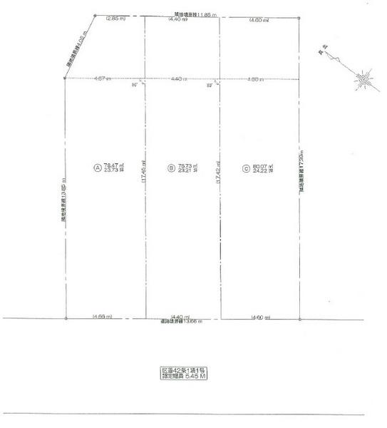
Compartment figure区画図  Land price 37,800,000 yen, Land area 78.47 sq m
土地価格3780万円、土地面積78.47m2
Local land photo現地土地写真  Local (12 May 2013) Shooting
現地(2013年12月)撮影
 Local (12 May 2013) Shooting
現地(2013年12月)撮影
Local photos, including front road前面道路含む現地写真  Local (12 May 2013) Shooting
現地(2013年12月)撮影
Primary school小学校  Ota Tatsuhigashi Chofu to the third elementary school 556m
大田区立東調布第三小学校まで556m
Local photos, including front road前面道路含む現地写真  Local (12 May 2013) Shooting
現地(2013年12月)撮影
Junior high school中学校  470m to Ota Ward Omori seventh junior high school
大田区立大森第七中学校まで470m
Kindergarten ・ Nursery幼稚園・保育園  310m until plover nursery
千鳥保育園まで310m
Station駅  Tokyu Ikegami Line "Chidoricho" 390m to the station
東急池上線「千鳥町」駅まで390m
Location
|