Land/Building » Kanto » Tokyo » Shinagawa


Shinagawa-ku, Tokyo
JR Yamanote Line "Meguro" walk 8 minutes
Architecture possible Yamanote Line available in the millionaire round of land sale your favorite House manufacturer
Yang per good, Around traffic fewer, Free design support, Located on a hill, A quiet residential area, Urban neighborhood, Siemens south road, 2 along the line more accessible, Immediate delivery Allowed, No construction conditions, Vacant lot passes
Features pickup
2 along the line more accessible / Vacant lot passes / Immediate delivery Allowed / Yang per good / Siemens south road / A quiet residential area / Around traffic fewer / No construction conditions / Urban neighborhood / Located on a hill
Price
100 million 33.6 million yen
Building coverage, floor area ratio
60% ・ 150%
Sales compartment
1 compartment
Total number of compartments
1 compartment
Land area
148.62 sq m (measured)
Driveway burden-road
Nothing, South 3.4m width (contact the road width 11.2m)
Land situation
Vacant lot
Address
Shinagawa-ku, Tokyo Kamiosaki 2
Traffic
JR Yamanote Line "Meguro" walk 8 minutes
JR Yamanote Line "Ebisu" walk 12 minutes
Tokyo Metro Nanboku Line "Shiroganedai" walk 13 minutes
Related links
[Related Sites of this company]
Contact
TEL: 0800-603-8969 [Toll free] mobile phone ・ Also available from PHS
Caller ID is not notified
Please contact the "saw SUUMO (Sumo)"
If it does not lead, If the real estate company
Land of the right form
Ownership
Time delivery
Immediate delivery allowed
Land category
Residential land
Use district
One low-rise
Other limitations
Setback: upon 1.41 sq m , Height district, Quasi-fire zones, Shade limit Yes
Overview and notices
Facilities: Public Water Supply, This sewage, City gas
Company profile
<Marketing alliance (mediated)> Governor of Tokyo (2) No. 089271 (Ltd.) planning Estate Yubinbango153-0063 Meguro-ku, Tokyo Meguro 1-6-17


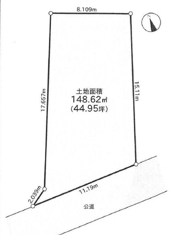
Compartment figure

Compartment figure. Land price 100 million 33.6 million yen, Land area 148.62 sq m
Land price 100 million 33.6 million yen, Land area 148.62 sq m

Other building plan example

Other building plan example. Rendering
Rendering

Other building plan example. Rendering
Rendering

Other building plan example. Example of construction
Example of construction

Supermarket

Supermarket. 487m caption to Meguro Tokyu Store Chain
487m caption to Meguro Tokyu Store Chain

Other building plan example

Other building plan example. Example of construction
Example of construction

Other Environmental Photo

Other Environmental Photo. 324m caption to Ebisu Garden Place
324m caption to Ebisu Garden Place

Other building plan example

Other building plan example. Example of construction
Example of construction

Other building plan example. Example of construction
Example of construction

Other building plan example. Example of construction
Example of construction

Other building plan example. Example of construction
Example of construction

Other building plan example. Example of construction
Example of construction

Other building plan example. Example of construction
Example of construction

Other building plan example. Example of construction
Example of construction

Other building plan example. Example of construction
Example of construction

Other building plan example. Example of construction
Example of construction

Other building plan example. Example of construction
Example of construction

Other building plan example. Example of construction
Example of construction



Location