83 million yen, 191.04 sq m
Land/Building » Kanto » Tokyo » Suginami
 
| | Suginami-ku, Tokyo 東京都杉並区 |
| Tokyo Metro Marunouchi Line "Honancho" walk 7 minutes 東京メトロ丸ノ内線「方南町」歩7分 |
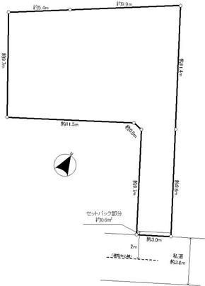
Price 価格 | | 83 million yen 8300万円 | Building coverage, floor area ratio 建ぺい率・容積率 | | 40% ・ 80% 40%・80% | Sales compartment 販売区画数 | | 1 compartment 1区画 | Land area 土地面積 | | 191.04 sq m (registration) 191.04m2(登記) | Driveway burden-road 私道負担・道路 | | Nothing, Southeast 3.6m width (contact the road width 3m) 無、南東3.6m幅(接道幅3m) | Land situation 土地状況 | | Furuya There 古家有り | Address 住所 | | Suginami-ku, Tokyo Izumi 4 東京都杉並区和泉4 | Traffic 交通 | | Tokyo Metro Marunouchi Line "Honancho" walk 7 minutes 東京メトロ丸ノ内線「方南町」歩7分
| Person in charge 担当者より | | Rep Watari Daisuke 担当者渡利 大介 | Contact お問い合せ先 | | Sumitomo Real Estate Sales Co., Ltd. Yoga business center TEL: 03-3707-2151 Please contact as "saw SUUMO (Sumo)" 住友不動産販売(株)用賀営業センターTEL:03-3707-2151「SUUMO(スーモ)を見た」と問い合わせください | Land of the right form 土地の権利形態 | | Ownership 所有権 | Time delivery 引き渡し時期 | | Consultation 相談 | Land category 地目 | | Residential land 宅地 | Use district 用途地域 | | One low-rise 1種低層 | Other limitations その他制限事項 | | / Land area: set-back partial area 0.6m2 required / There Notices (Additional information is available at charge) / Terrain: flat /土地面積:セットバック部分面積0.6m2要/告知事項あり(詳細は担当まで)/地勢:平坦 | Overview and notices その他概要・特記事項 | | Contact: Watari Daisuke 担当者:渡利 大介 | Company profile 会社概要 | | <Mediation> Minister of Land, Infrastructure and Transport (11) No. 002077 (one company) Real Estate Association (Corporation) metropolitan area real estate Fair Trade Council member Sumitomo Real Estate Sales Co., Ltd. Yoga business center Yubinbango158-0097 Setagaya-ku, Tokyo Yoga 2-36-15 Sambir first floor <仲介>国土交通大臣(11)第002077号(一社)不動産協会会員 (公社)首都圏不動産公正取引協議会加盟住友不動産販売(株)用賀営業センター〒158-0097 東京都世田谷区用賀2-36-15 サンビル1階 |
Local land photo現地土地写真  appearance
外観
 Compartment figure
区画図
Location
|