|
|
Suginami-ku, Tokyo
東京都杉並区
|
|
Seibu Shinjuku Line "Shimo Igusa" walk 11 minutes
西武新宿線「下井草」歩11分
|
|
No construction conditions, Good view
建築条件なし、眺望良好
|
|
No construction conditions, Good view
建築条件なし、眺望良好
|
Features pickup 特徴ピックアップ | | No construction conditions / Good view 建築条件なし /眺望良好 |
Price 価格 | | 46,800,000 yen 4680万円 |
Building coverage, floor area ratio 建ぺい率・容積率 | | Fifty percent ・ Hundred percent 50%・100% |
Sales compartment 販売区画数 | | 1 compartment 1区画 |
Total number of compartments 総区画数 | | 1 compartment 1区画 |
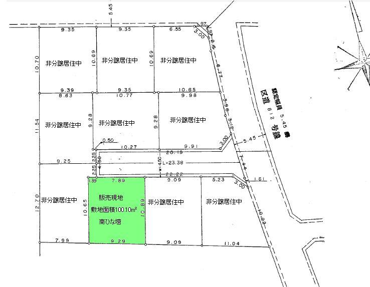
Land area 土地面積 | | 100.1 sq m (registration) 100.1m2(登記) |
Driveway burden-road 私道負担・道路 | | Share equity 100.21 sq m × (18 / 100.21), North 4.5m width (contact the road width 7.8m) 共有持分100.21m2×(18/100.21)、北4.5m幅(接道幅7.8m) |
Land situation 土地状況 | | Furuya There 古家有り |
Address 住所 | | Suginami-ku, Tokyo Shimizu 3 東京都杉並区清水3 |
Traffic 交通 | | Seibu Shinjuku Line "Shimo Igusa" walk 11 minutes JR Chuo Line "Ogikubo" bus 7 minutes Nakase junior high school before walking 1 minute 西武新宿線「下井草」歩11分 JR中央線「荻窪」バス7分中瀬中学校前歩1分
|
Person in charge 担当者より | | Rep Owada 担当者大和田 |
Contact お問い合せ先 | | Misawa Homes Tokyo Co., Ltd. Tokyo Branch real estate section TEL: 0800-603-0341 [Toll free] mobile phone ・ Also available from PHS Caller ID is not notified Please contact the "saw SUUMO (Sumo)" If it does not lead, If the real estate company ミサワホーム東京(株)東京支社 不動産部TEL:0800-603-0341【通話料無料】携帯電話・PHSからもご利用いただけます 発信者番号は通知されません 「SUUMO(スーモ)を見た」と問い合わせください つながらない方、不動産会社の方は
|
Land of the right form 土地の権利形態 | | Ownership 所有権 |
Time delivery 引き渡し時期 | | Immediate delivery allowed 即引渡し可 |
Land category 地目 | | Residential land 宅地 |
Use district 用途地域 | | One low-rise 1種低層 |
Other limitations その他制限事項 | | Height district, Quasi-fire zones 高度地区、準防火地域 |
Overview and notices その他概要・特記事項 | | Contact: Owada, Facilities: Public Water Supply, This sewage, City gas 担当者:大和田、設備:公営水道、本下水、都市ガス |
Company profile 会社概要 | | <Mediation> Minister of Land, Infrastructure and Transport (12) No. 001064 (one company) National Housing Industry Association (Corporation) metropolitan area real estate Fair Trade Council member Misawa Tokyo Co., Ltd. Tokyo Branch real estate section Yubinbango168-0072 Suginami-ku, Tokyo Takaidohigashi 2-4-5 <仲介>国土交通大臣(12)第001064号(一社)全国住宅産業協会会員 (公社)首都圏不動産公正取引協議会加盟ミサワホーム東京(株)東京支社 不動産部〒168-0072 東京都杉並区高井戸東2-4-5 |